沖縄旅行記(ブログ) 一覧に戻る
2002年に初めて沖縄旅行してから、沖縄ファンになり毎年訪れています<br /><br />9回目の沖縄、今回は伊豆で出会ったダイビング仲間4名で、沖縄本島2泊3日の弾丸ツアーです<br /><br />11/22 朝一便で那覇へ <br />      チービシ2ダイブ<br />      ステーキハウスで夕食<br /><br />11/23 ケラマ3ダイブ<br />      民謡酒場で夕食<br /><br />11/24 美ら海水族館など観光<br />      最終便で羽田へ<br /><br />今回はトラブル続出の珍道中になりました

9回目の沖縄  トラブル続出の弾丸ツアー2泊3日

22いいね!

2008/11/22 - 2008/11/24

15811位(同エリア49959件中)

0

76

海人

海人さん

2002年に初めて沖縄旅行してから、沖縄ファンになり毎年訪れています

9回目の沖縄、今回は伊豆で出会ったダイビング仲間4名で、沖縄本島2泊3日の弾丸ツアーです

11/22 朝一便で那覇へ 
      チービシ2ダイブ
      ステーキハウスで夕食

11/23 ケラマ3ダイブ
      民謡酒場で夕食

11/24 美ら海水族館など観光
      最終便で羽田へ

今回はトラブル続出の珍道中になりました

同行者
友人
一人あたり費用
5万円 - 10万円
交通手段
レンタカー ANAグループ 私鉄
旅行の手配内容
ツアー(添乗員同行なし)
  • 11/22<br /><br />始発電車で羽田空港到着<br /><br />すでにクリスマスイルミネーションです<br /><br />

    11/22

    始発電車で羽田空港到着

    すでにクリスマスイルミネーションです

  • 6時半出発なんですが、リーダーIさんまだ来てません<br />電話をかけても繋がらないし嫌な予感が・・・<br /><br />やっとIさんから連絡があり<br /><br />Iさん「ゴメン、今起きた」<br />私  「ネタですか?」<br />Iさん「先に行ってて。追いかけるから」<br /><br />あの〜〜ディズニーランドあたりに行くわけではないんですが・・・・(笑)<br />

    6時半出発なんですが、リーダーIさんまだ来てません
    電話をかけても繋がらないし嫌な予感が・・・

    やっとIさんから連絡があり

    Iさん「ゴメン、今起きた」
    私  「ネタですか?」
    Iさん「先に行ってて。追いかけるから」

    あの〜〜ディズニーランドあたりに行くわけではないんですが・・・・(笑)

  • 出発時間が迫っているので行くしかない<br /><br />日も上がってきました

    出発時間が迫っているので行くしかない

    日も上がってきました

  • 1名不足で定刻どおり出発<br /><br />私、この時点でIさん参加出来ないかもしれないと思ってました

    1名不足で定刻どおり出発

    私、この時点でIさん参加出来ないかもしれないと思ってました

  • だいたいマイレージの関係でJALばかり利用してますが、今回はひさびさにANAです

    だいたいマイレージの関係でJALばかり利用してますが、今回はひさびさにANAです

  • 一面に雲海がひろがり沖縄の天気が気になります<br /><br />今回の3連休、天気予報イマイチなんですよ

    一面に雲海がひろがり沖縄の天気が気になります

    今回の3連休、天気予報イマイチなんですよ

  • 沖縄に近づいてきたら一気に晴れてきました<br /><br />普段の行いがいいからですね

    沖縄に近づいてきたら一気に晴れてきました

    普段の行いがいいからですね

  • この方、飛行機の中ずっと寝てました<br /><br />現在の奥様、Cさんです

    この方、飛行機の中ずっと寝てました

    現在の奥様、Cさんです

  • 無事、那覇空港到着<br /><br />メール着信1件<br />Iさんからです<br /><br />なんと12時頃到着の便に乗り込み、すでに飛行中のようです<br />Iさんナイスリカバリー

    無事、那覇空港到着

    メール着信1件
    Iさんからです

    なんと12時頃到着の便に乗り込み、すでに飛行中のようです
    Iさんナイスリカバリー

  • 初めてきたころはなった、ゆいレールに乗り込み県庁前まで移動

    初めてきたころはなった、ゆいレールに乗り込み県庁前まで移動

  • 午後からダイビングですが、まだ時間があるので国際どおりを散策します

    午後からダイビングですが、まだ時間があるので国際どおりを散策します

  • ベニイモソフト

    ベニイモソフト

  • 飲んだことないハブ酒<br /><br />おいしいいんだろうか

    飲んだことないハブ酒

    おいしいいんだろうか

  • 店名忘れましたが国際通りから少し入った所で早めの昼食<br /><br />ソーキそば<br />旅の記録係り、Kさんの注文

    店名忘れましたが国際通りから少し入った所で早めの昼食

    ソーキそば
    旅の記録係り、Kさんの注文

  • ポークエッグ定食 <br />行動開始した、Cさんの注文<br /><br />スパムおいしいですよね

    ポークエッグ定食 
    行動開始した、Cさんの注文

    スパムおいしいですよね

  • そして私、沖縄に来たらこれを食べないと始まらない<br /><br />ゴーヤチャンプルー定食です

    そして私、沖縄に来たらこれを食べないと始まらない

    ゴーヤチャンプルー定食です

  • 一旦ホテルに戻り、ダイビングの準備をしているとIさん登場<br /><br />約6時間遅れで全員集合<br /><br /><br />ダイビングに間に合ってよかった<br /><br />今回利用するダイビングショップはP<br />過去に2回利用したことがありますが・・・<br /><br />今回で二度と利用したくないショップになるとは、このときは思いませんでした<br />

    一旦ホテルに戻り、ダイビングの準備をしているとIさん登場

    約6時間遅れで全員集合


    ダイビングに間に合ってよかった

    今回利用するダイビングショップはP
    過去に2回利用したことがありますが・・・

    今回で二度と利用したくないショップになるとは、このときは思いませんでした

  • 普段はほとんど伊豆ダイバーばかりなので、まず船の違いに感動してるCさん、Kさん<br />この二人は沖縄初ダイブです

    普段はほとんど伊豆ダイバーばかりなので、まず船の違いに感動してるCさん、Kさん
    この二人は沖縄初ダイブです

  • ちゃんとキャビンもあります

    ちゃんとキャビンもあります

  • すでに準備万端です

    すでに準備万端です

  • ポイントまで40分ほど。今日はチービシに潜ります<br /><br />那覇で到着日ダイブする場合は、やはりここになる場合が多いんですかね

    ポイントまで40分ほど。今日はチービシに潜ります

    那覇で到着日ダイブする場合は、やはりここになる場合が多いんですかね

  • 1本目<br /><br />ポイント:神山南ラビリンス<br />ガイド :Sさん<br /><br />チービシは透明度はいいんですが、あまり魚がいなかった記憶が・・・<br />

    1本目

    ポイント:神山南ラビリンス
    ガイド :Sさん

    チービシは透明度はいいんですが、あまり魚がいなかった記憶が・・・

  • 初沖縄の2名組が満足してるからよしとしよう

    初沖縄の2名組が満足してるからよしとしよう

  • ウミウシと

    ウミウシと

  • ウミウシ<br /><br />よく見るけど名前覚えられず<br /><br />Dive Time:55分<br />Ave      :9.5m<br />Max      :13.1m<br /><br />

    ウミウシ

    よく見るけど名前覚えられず

    Dive Time:55分
    Ave :9.5m
    Max :13.1m

  • 2本目<br /><br />1本目と同じく神山南ラビリンスに潜ります<br />同じポイントで気を使ったのか、ガイドのSさんかなりの距離移動して何かを探しに向かいますが、変わった魚見つかりません<br /><br />30分過ぎた頃、今度は急いで今来たところを戻りますが船がなかなか見つかりません<br />ここで待てとゲストを残しSさん一人で船を探しに・・・その頃私はすでにエアー切れて浮上開始<br /><br />結局5分ほどたってから、やっと戻ってきたSさん<br />完全に迷子になってたようです<br />しっかりしてくれ。Sさん<br /><br />Dive Time:57分<br />Ave :12.1m<br />Max :20.6m

    2本目

    1本目と同じく神山南ラビリンスに潜ります
    同じポイントで気を使ったのか、ガイドのSさんかなりの距離移動して何かを探しに向かいますが、変わった魚見つかりません

    30分過ぎた頃、今度は急いで今来たところを戻りますが船がなかなか見つかりません
    ここで待てとゲストを残しSさん一人で船を探しに・・・その頃私はすでにエアー切れて浮上開始

    結局5分ほどたってから、やっと戻ってきたSさん
    完全に迷子になってたようです
    しっかりしてくれ。Sさん

    Dive Time:57分
    Ave :12.1m
    Max :20.6m

  • 本日の夕食はステーキハウス(名前忘れました)<br /><br />気を取り直しオリオンビールで乾杯<br />目の前でステーキを焼いてくれる店です<br /><br />私はこのシチュエーションだけでビールいけちゃいます

    本日の夕食はステーキハウス(名前忘れました)

    気を取り直しオリオンビールで乾杯
    目の前でステーキを焼いてくれる店です

    私はこのシチュエーションだけでビールいけちゃいます

  • 最初にスープ

    最初にスープ

  • サラダ

    サラダ

  • メインの肉登場<br /><br />焼いてくれた店員さんのパフォーマンス、Goodでした<br /><br />この後、偶然通りかかったイノキ酒場で1杯飲んで帰りました

    メインの肉登場

    焼いてくれた店員さんのパフォーマンス、Goodでした

    この後、偶然通りかかったイノキ酒場で1杯飲んで帰りました

  • 11/23<br /><br />今日も天気良くなりそうです

    11/23

    今日も天気良くなりそうです

  • 久米島行きのタンカー<br /><br />飛行機だと30分でいけますよね

    久米島行きのタンカー

    飛行機だと30分でいけますよね

  • 船を飛ばして今日の目的地、ケラマ諸島へレッツゴー

    船を飛ばして今日の目的地、ケラマ諸島へレッツゴー

  • 渡嘉敷島かな<br /><br />到着しました

    渡嘉敷島かな

    到着しました

  • 1本目<br /><br />ポイント:カミグー<br /><br />唯一の不安は今日もガイドのSさん<br /><br />今日は頼みまっせ

    1本目

    ポイント:カミグー

    唯一の不安は今日もガイドのSさん

    今日は頼みまっせ

  • 透明度は今日もいいですね

    透明度は今日もいいですね

  • ツノダシ? ムレハタタテダイ?<br /><br />何度聞いても私には違いがわかりません<br /><br />

    ツノダシ? ムレハタタテダイ?

    何度聞いても私には違いがわかりません

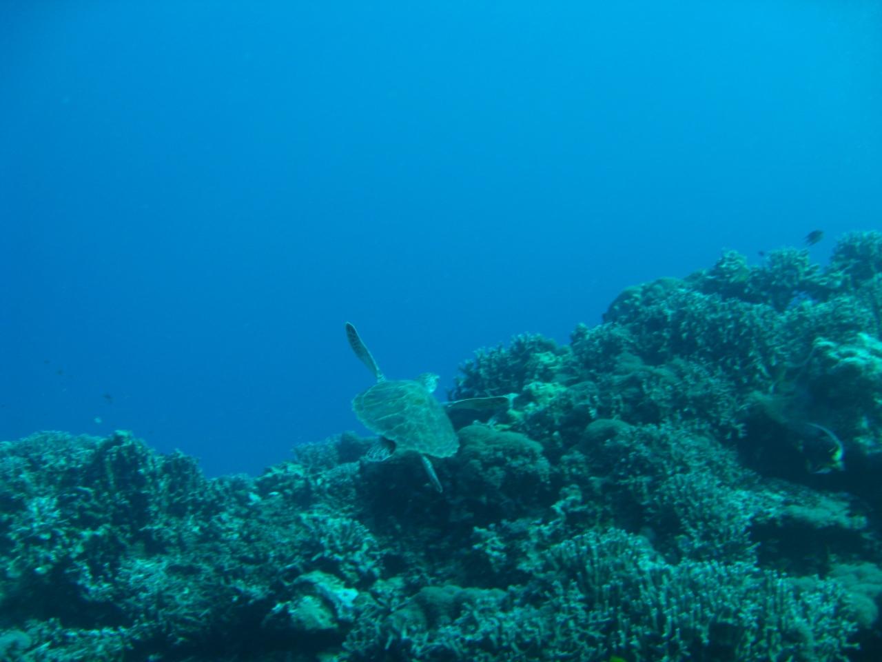
  • アオウミガメ

    アオウミガメ

  • 追いかけてアオウミガメ

    追いかけてアオウミガメ

  • 砂地でバディCさんに指示出してたのかな?

    砂地でバディCさんに指示出してたのかな?

  • なんとたなくエアーとってみた

    なんとたなくエアーとってみた

  • ウミテング

    ウミテング

  • 踏んだら悲鳴上げそうなウニ<br /><br />Dive Time:56分<br />Ave :10.4m<br />Max :18.3m

    踏んだら悲鳴上げそうなウニ

    Dive Time:56分
    Ave :10.4m
    Max :18.3m

  • 少し移動して2本目<br /><br />ポイント:中自津留<br /><br />アカククリですか<br /><br />

    少し移動して2本目

    ポイント:中自津留

    アカククリですか

  • ちょっと小さいけどカクレクマノミ<br /><br />ニモですね

    ちょっと小さいけどカクレクマノミ

    ニモですね

  • ケラマも最初に来た6年前に比べたら、かなりサンゴがなくなってました

    ケラマも最初に来た6年前に比べたら、かなりサンゴがなくなってました

  • ウミヘビ<br /><br />Dive Time:53分<br />Ave :10.0m<br />Max :18.8m<br /><br />午前中2ダイブは何事もなく終了<br /><br />午後の1ダイブはガイドSさんとやたら仲のいい女性(私たちは彼女と疑う)が合流です<br />ブリーフィングでも彼女と二人で盛り上がり、ピグミー見れるかもに彼女のテンションアップ<br /><br />Sさん冷静になってくれ<br />ゲストは彼女だけではないよ<br />

    ウミヘビ

    Dive Time:53分
    Ave :10.0m
    Max :18.8m

    午前中2ダイブは何事もなく終了

    午後の1ダイブはガイドSさんとやたら仲のいい女性(私たちは彼女と疑う)が合流です
    ブリーフィングでも彼女と二人で盛り上がり、ピグミー見れるかもに彼女のテンションアップ

    Sさん冷静になってくれ
    ゲストは彼女だけではないよ

  • 不安な3本目<br /><br />ポイント:自津留<br /><br />写真はこの1枚のみ<br /><br />ドリフトで何もいないまま40分経過した頃、ピグミー見に行くとSさん<br />ピグミーいるの30mオーバーですよね<br />私、そのとき残圧50きっていたので、Sさんに伝えたのですがOK行くよって<br />普通はエキジットでしょ。余程、彼女の期待に答えたいのか<br /><br />5分ほど探すがピグミーいません<br />残圧10近くなりバディと先に上がろうとしたところ、やっとSさんも自身と彼女の残圧ないことに気づいて大慌てで急浮上<br /><br />フロートも上げられず、安全停止もしないで全員強制浮上させられました<br />当然ダイコンはDECOでロック<br /><br />このとき改めてダイビングはバディと行動することが大事だと思い知りました<br />ガイドを信用しすぎては駄目ですね<br /><br /><br />

    不安な3本目

    ポイント:自津留

    写真はこの1枚のみ

    ドリフトで何もいないまま40分経過した頃、ピグミー見に行くとSさん
    ピグミーいるの30mオーバーですよね
    私、そのとき残圧50きっていたので、Sさんに伝えたのですがOK行くよって
    普通はエキジットでしょ。余程、彼女の期待に答えたいのか

    5分ほど探すがピグミーいません
    残圧10近くなりバディと先に上がろうとしたところ、やっとSさんも自身と彼女の残圧ないことに気づいて大慌てで急浮上

    フロートも上げられず、安全停止もしないで全員強制浮上させられました
    当然ダイコンはDECOでロック

    このとき改めてダイビングはバディと行動することが大事だと思い知りました
    ガイドを信用しすぎては駄目ですね


  • 多少の頭痛があったけど少したったら回復したので、気分転換に夕食へ地酒横丁に向かいます<br /><br />まずは島らっきょ

    多少の頭痛があったけど少したったら回復したので、気分転換に夕食へ地酒横丁に向かいます

    まずは島らっきょ

  • 海ぶどう

    海ぶどう

  • もずくのてんぷら

    もずくのてんぷら

  • ゴーヤチャンプル

    ゴーヤチャンプル

  • ソーミンチャンプル

    ソーミンチャンプル

  • そして民謡ライブ開始<br /><br />2時間ぐらいに1回ライブがあり数曲歌った後、お客さんのリクエスト曲を歌ってくれます<br />そして最後はカチャーシーで、お客さんも一緒に好き勝手に踊ります<br /><br />まったりと2ライブ見てしまった<br />

    そして民謡ライブ開始

    2時間ぐらいに1回ライブがあり数曲歌った後、お客さんのリクエスト曲を歌ってくれます
    そして最後はカチャーシーで、お客さんも一緒に好き勝手に踊ります

    まったりと2ライブ見てしまった

  • 11/24<br /><br />昨日までと打って変わり曇天です

    11/24

    昨日までと打って変わり曇天です

  • 昨日の夜にレンタカーを借りておいて、7時に出発<br /><br />最初の目的地は真栄田岬 <br />青の洞窟シュノーケリングにいきます

    昨日の夜にレンタカーを借りておいて、7時に出発

    最初の目的地は真栄田岬 
    青の洞窟シュノーケリングにいきます

  • 今回お世話になるマリンスポーツNAGI<br /><br />昨日までさんざんダイビングやったのにまだ海に潜ります

    今回お世話になるマリンスポーツNAGI

    昨日までさんざんダイビングやったのにまだ海に潜ります

  • 機材が濡れると嫌なのでフルレンタルして

    機材が濡れると嫌なのでフルレンタルして

  • 雰囲気ある道を行くと

    雰囲気ある道を行くと

  • 見えてきました

    見えてきました

  • このガケのようなところを歩いて洞窟を目指します<br /><br />海がしけてきていて午後は入れなかったようです<br />

    このガケのようなところを歩いて洞窟を目指します

    海がしけてきていて午後は入れなかったようです

  • 昨日までダイビングやってるんだから、たいした魚いないですね<br /><br />ここはダイバー向けではない

    昨日までダイビングやってるんだから、たいした魚いないですね

    ここはダイバー向けではない

  • ブランチに本部のきしもと食堂へ行きます<br /><br />ここは有名なので、気合を入れて開店直後に到着<br /><br />それでも結構、人いました

    ブランチに本部のきしもと食堂へ行きます

    ここは有名なので、気合を入れて開店直後に到着

    それでも結構、人いました

  • メニューは<br /><br />そば大<br />そば小<br />ジューシー<br /><br />シンプルです<br />評判の店。やはりおいしかったです

    メニューは

    そば大
    そば小
    ジューシー

    シンプルです
    評判の店。やはりおいしかったです

  • また魚<br />どんだけ魚好きメンバーなのか<br /><br />美ら海水族館に来ました

    また魚
    どんだけ魚好きメンバーなのか

    美ら海水族館に来ました

  • 天気悪いですが3連休なので混んでますね

    天気悪いですが3連休なので混んでますね

  • ダイビングではこんなによれないなぁ

    ダイビングではこんなによれないなぁ

  • まだ海で見たことないナポレオン

    まだ海で見たことないナポレオン

  • 海でこの光景みたら感動でしょ<br /><br />ジンベエ&マンタ

    海でこの光景みたら感動でしょ

    ジンベエ&マンタ

  • 小雨が降ってきてしまったため美ら海の屋外施設は見に行かなかったので、時間が余りました<br /><br />近くの植物園に立ち寄ります

    小雨が降ってきてしまったため美ら海の屋外施設は見に行かなかったので、時間が余りました

    近くの植物園に立ち寄ります

  • この置物きになる

    この置物きになる

  • 植物園内のカフェ<br /><br />あやしいスイーツを食してみます<br /><br />忘れちゃったけど、スターフルーツのソルベ?とかゴーヤーのスムージー?とかそんな感じ。。。

    植物園内のカフェ

    あやしいスイーツを食してみます

    忘れちゃったけど、スターフルーツのソルベ?とかゴーヤーのスムージー?とかそんな感じ。。。

  • この店あたりからCさんの体調が急速に悪化。<br />熱39度オーバー(後に急性胃腸炎と発覚)<br /><br />

    この店あたりからCさんの体調が急速に悪化。
    熱39度オーバー(後に急性胃腸炎と発覚)

  • タコライス発祥の地・金武に移動しておやつです<br /><br />ここパーラー千里<br />TVで見て、一度はきてみたかった<br /><br />大盛りのタコライスと

    タコライス発祥の地・金武に移動しておやつです

    ここパーラー千里
    TVで見て、一度はきてみたかった

    大盛りのタコライスと

  • ドデカハンバーガー<br /><br />4人いても2つで満腹<br /><br />

    ドデカハンバーガー

    4人いても2つで満腹

  • いろいろあったけど楽しい旅行でした<br /><br />沖縄はやっぱりいいですね<br /><br /><br />次は10回目の沖縄久米島ツアーを近日アップ予定です<br />海ばかりですがよければまた見に来てください

    いろいろあったけど楽しい旅行でした

    沖縄はやっぱりいいですね


    次は10回目の沖縄久米島ツアーを近日アップ予定です
    海ばかりですがよければまた見に来てください

この旅行記のタグ

関連タグ

22いいね!

利用規約に違反している投稿は、報告する事ができます。 問題のある投稿を連絡する

コメントを投稿する前に

十分に確認の上、ご投稿ください。 コメントの内容は攻撃的ではなく、相手の気持ちに寄り添ったものになっていますか?

サイト共通ガイドライン(利用上のお願い)

報道機関・マスメディアの方へ 画像提供などに関するお問い合わせは、専用のお問い合わせフォームからお願いいたします。

旅の計画・記録

マイルに交換できるフォートラベルポイントが貯まる
フォートラベルポイントって?

フォートラベル公式LINE@

おすすめの旅行記や旬な旅行情報、お得なキャンペーン情報をお届けします!
QRコードが読み取れない場合はID「@4travel」で検索してください。

\その他の公式SNSはこちら/

タグから国内旅行記(ブログ)を探す

PAGE TOP