宮古島旅行記(ブログ) 一覧に戻る
ことの始りは、8月串本から。<br /><br />ドリフトダイブをDSに申し込んだところ経験本数では無理との<br />こと。それなら、’あなたAOW取っちゃいな!’と副司令官。<br /><br />天気予報は雨or曇の連続でいたが、同行された方の晴れパワーで<br />ピーカン続き。<br /><br />11/3 関空→宮古<br /><br />11/4 ファンダイブ<br />    1本目:中ノ島ホール<br />   2本目:アントニオガウディ<br />   3本目:中ノ島チャネル<br /><br />11/5 AOW講習<br />   1本目:本ドロップ ボート講習<br />      2本目:魔王の宮殿 ディープ<br />      3本目:ミニ通り池 ナチュラリスト<br /><br />11/6 AOW講習<br />   1本目:女王の部屋 ナビゲーション<br />      2本目:333   中性浮力<br /><br />11/7 超弾丸陸ツアー<br />   砂山ビーチ→来間島→前浜ビーチ→東平安名崎→<br />      イムギャーマリンガーデン<br /><br />   宮古→関空<br /><br />ファンの1・3本目は初カメラ。ボケボケの写真ばかり、<br />メモリのゴミに・・・・<br /><br />素敵なお仲間に支えられ楽しい5日間でした。<br />

宮古島 AOW取得作戦

21いいね!

2011/11/03 - 2011/11/07

1804位(同エリア4785件中)

2

15

へなちょこダイバー

へなちょこダイバーさん

ことの始りは、8月串本から。

ドリフトダイブをDSに申し込んだところ経験本数では無理との
こと。それなら、’あなたAOW取っちゃいな!’と副司令官。

天気予報は雨or曇の連続でいたが、同行された方の晴れパワーで
ピーカン続き。

11/3 関空→宮古

11/4 ファンダイブ
    1本目:中ノ島ホール
   2本目:アントニオガウディ
   3本目:中ノ島チャネル

11/5 AOW講習
   1本目:本ドロップ ボート講習
2本目:魔王の宮殿 ディープ
3本目:ミニ通り池 ナチュラリスト

11/6 AOW講習
   1本目:女王の部屋 ナビゲーション
2本目:333   中性浮力

11/7 超弾丸陸ツアー
   砂山ビーチ→来間島→前浜ビーチ→東平安名崎→
イムギャーマリンガーデン

   宮古→関空

ファンの1・3本目は初カメラ。ボケボケの写真ばかり、
メモリのゴミに・・・・

素敵なお仲間に支えられ楽しい5日間でした。

同行者
友人
一人あたり費用
10万円 - 15万円
交通手段
JALグループ
旅行の手配内容
ツアー(添乗員同行なし)
  • 中ノ島ホール

    中ノ島ホール

  • 中の島ホール

    中の島ホール

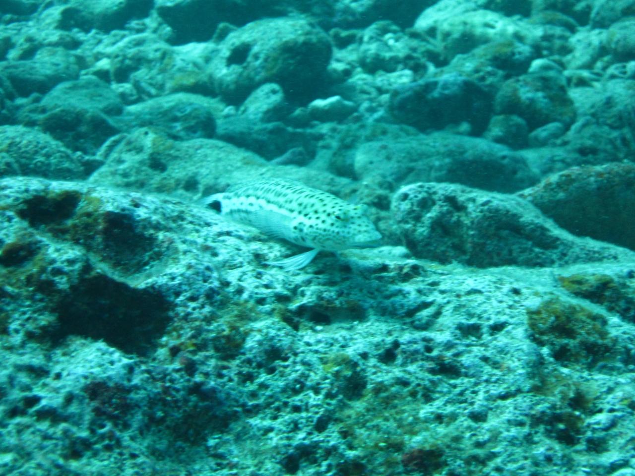
  • 中の島チャネル<br /><br />なんちゃらかんちゃら<br />

    中の島チャネル

    なんちゃらかんちゃら

  • 中の島チャネル

    中の島チャネル

  • 中の島チャネル

    中の島チャネル

  • 中の島チャネル

    中の島チャネル

  • 中の島チャネル<br /><br />エキジット前

    中の島チャネル

    エキジット前

  • セントラルマリンホテル7Fから<br /><br />街越しに海が見えます

    セントラルマリンホテル7Fから

    街越しに海が見えます

  • 砂山ビーチ<br /><br />

    砂山ビーチ

  • 来間島展望台から前浜ビーチ方面

    来間島展望台から前浜ビーチ方面

  • 来間大橋

    来間大橋

  • 東平安名崎

    東平安名崎

  • 東平安名崎

    東平安名崎

  • イムギャーマリンガーデンの<br />インギャー橋<br /><br />当初、橋の上から飛び込む計画もありましたが<br />日程の都合でボツ<br /><br />高さ7Mくらいでしょうか?

    イムギャーマリンガーデンの
    インギャー橋

    当初、橋の上から飛び込む計画もありましたが
    日程の都合でボツ

    高さ7Mくらいでしょうか?

  • 宮古島をTake Off

    宮古島をTake Off

この旅行記のタグ

関連タグ

21いいね!

利用規約に違反している投稿は、報告する事ができます。 問題のある投稿を連絡する

この旅行記へのコメント (2)

開く

閉じる

  • マチャさん 2011/11/12 19:59:21
    AOWおめでとうございます。
    へなちょこダイバーさん、こんばんは。
    (4トラ上でのお名前とはいえ「へなちょこ」とお呼びしてもいいのかと…)

    宮古島でのAOW取得、やったね!
    しかも講習前にしっかりファンダイブしているところが余裕じゃないですか。
    ドリフトダイビングは経験本数で断られちゃったのですか?
    私はどうだったんだろう???記憶が飛んでます。。。
    だけど、AOWは結構楽しみながら取得した様な???
    「アドバンス取っちゃいな!」は正解ですね。

    ナビゲーション講習の女王の部屋がとっても気になります(笑)

    宮古島はどんな感じの海でしたか?
    一度行ってみたいな〜

    これからはじゃんじゃん潜れますね。
    今後のダイビング旅行記、楽しみです。

    マチャ

    へなちょこダイバー

    へなちょこダイバーさん からの返信 2011/11/13 10:19:16
    RE: AOWおめでとうございます。
    マチャさん、こんにちわ!

    ありがとうございます。なんとか取れました。

    先ファンにしたのは余裕ではなく、一緒に行った方が
    6日に帰阪するので一緒にファンができるように順番を逆にしました。

    講習ははじめに課題(足し算とか)をやって時間があれば
    普通のファンと同じでした。

    女王の部屋はナビの講習時間が結構あったので残念ながら
    部屋へはいけませんでした。

    宮古は洞窟とか地形のポイントが多いですねえ。
    今回は下地島ばっかりで潜ってましたので特にそうかも。

    洞窟とか多いのでライトはもっていった方がベターです。

    水面休息の時ボートから飛行機のタッチアンドゴーも見えました。

    ビーチも綺麗なとこが多いのでシュノーケリングも楽しそうです。

    早く、また行ってみたいですね。

    マチャさんの旅行記もお待ちしています!!

へなちょこダイバーさんのトラベラーページ

コメントを投稿する前に

十分に確認の上、ご投稿ください。 コメントの内容は攻撃的ではなく、相手の気持ちに寄り添ったものになっていますか?

サイト共通ガイドライン(利用上のお願い)

報道機関・マスメディアの方へ 画像提供などに関するお問い合わせは、専用のお問い合わせフォームからお願いいたします。

旅の計画・記録

マイルに交換できるフォートラベルポイントが貯まる
フォートラベルポイントって?

フォートラベル公式LINE@

おすすめの旅行記や旬な旅行情報、お得なキャンペーン情報をお届けします!
QRコードが読み取れない場合はID「@4travel」で検索してください。

\その他の公式SNSはこちら/

タグから国内旅行記(ブログ)を探す

価格.com旅行・トラベルホテル・旅館を比較

PAGE TOP