サイパン旅行記(ブログ) 一覧に戻る
~3日目~<br /><br />ライセンス実習の2日目!!<br /><br />AMにライセンス実習の2本を潜って、<br /><br />PMに1本ファンダイビング!!<br /><br />いろんな魚たちに会えました☆<br /><br />中でもアオウミガメの「ポピーちゃん」に会えたのが<br /><br />嬉しかったな~♪♪♪

《2007年6月》ダイビングライセンス取得!inサイパン~3日目~

4いいね!

2007/06/07 - 2007/06/10

1720位(同エリア2919件中)

0

42

chikapon

chikaponさん

~3日目~

ライセンス実習の2日目!!

AMにライセンス実習の2本を潜って、

PMに1本ファンダイビング!!

いろんな魚たちに会えました☆

中でもアオウミガメの「ポピーちゃん」に会えたのが

嬉しかったな~♪♪♪

旅行の満足度
5.0
観光
3.5
ホテル
5.0
グルメ
5.0
ショッピング
3.5
交通
5.0
同行者
カップル・夫婦(シニア)
一人あたり費用
10万円 - 15万円
旅行の手配内容
ツアー(添乗員同行なし)
  • 朝〜!<br /><br />今日は朝から海へ・・・!!<br /><br />インストラクターさんの車で<br /><br />ラウラウビーチへ!<br /><br />今日もいい天気〜♪(^^)<br /><br />

    朝〜!

    今日は朝から海へ・・・!!

    インストラクターさんの車で

    ラウラウビーチへ!

    今日もいい天気〜♪(^^)

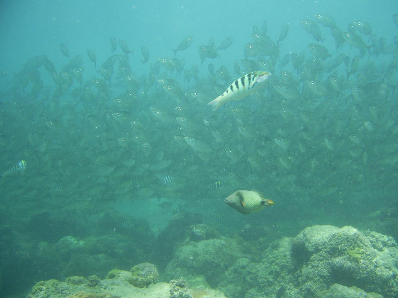
  • 〜3本目〜(ラウラウビーチ)<br /><br />今日もアジダマ発見♪<br /><br />・コンパス(直線ナビゲーション)<br />・コントロールされた緊急スイミングアクセントによる浮上<br />・マスク全水<br />・フィンピボット(オーラル)<br /><br />今日は、水中デジカメを貸してもらいました♪<br /><br />やっぱり画像が全然違う〜!!<br /><br />今度潜る時までには・・・!!!!(>ー<)/

    〜3本目〜(ラウラウビーチ)

    今日もアジダマ発見♪

    ・コンパス(直線ナビゲーション)
    ・コントロールされた緊急スイミングアクセントによる浮上
    ・マスク全水
    ・フィンピボット(オーラル)

    今日は、水中デジカメを貸してもらいました♪

    やっぱり画像が全然違う〜!!

    今度潜る時までには・・・!!!!(>ー<)/

  • ボードを使いながら<br /><br />実習中・・・。<br /><br />マスク全水はキライ〜〜(><)

    ボードを使いながら

    実習中・・・。

    マスク全水はキライ〜〜(><)

  • 手を挙げながら・・・緊急浮上・・・。。<br /><br />ドキドキ・・・

    手を挙げながら・・・緊急浮上・・・。。

    ドキドキ・・・

  • ちょっとわかりにくいけど・・・<br /><br />角が生えている魚が!!<br /><br />「ホシテンス」の稚魚なんだって!

    ちょっとわかりにくいけど・・・

    角が生えている魚が!!

    「ホシテンス」の稚魚なんだって!

  • 3本目の実習の後、<br /><br />時間が少し余ったから周りをお散歩♪<br /><br />海のトンネルに連れて行ってもらいました♪<br /><br />なんか幻想的〜!!<br /><br />トンネル近くには「アカマツカサ」がいっぱいいました!

    3本目の実習の後、

    時間が少し余ったから周りをお散歩♪

    海のトンネルに連れて行ってもらいました♪

    なんか幻想的〜!!

    トンネル近くには「アカマツカサ」がいっぱいいました!

  • 3本目、無事終了〜!<br /><br />これから上がるよ〜!

    3本目、無事終了〜!

    これから上がるよ〜!

  • ラウラウビーチはこんな感じ・・・

    ラウラウビーチはこんな感じ・・・

  • 〜4本目〜(ラウラウビーチ)<br /><br />もうお馴染み♪アジダマくん♪<br /><br />・ホバリング<br />・マスク脱着

    〜4本目〜(ラウラウビーチ)

    もうお馴染み♪アジダマくん♪

    ・ホバリング
    ・マスク脱着

  • 何て魚だったか・・・

    何て魚だったか・・・

  • 大分余裕が出てきた感じ〜♪

    大分余裕が出てきた感じ〜♪

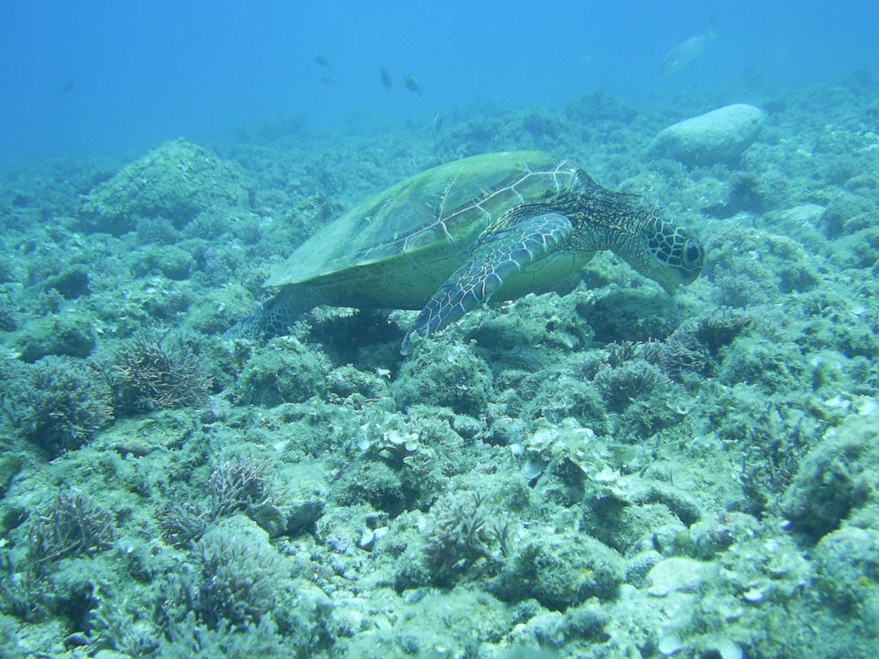
  • はっっ!!!!!<br /><br />よ〜〜〜く目を凝らして見ると・・・<br /><br />あれは・・・!!!!

    はっっ!!!!!

    よ〜〜〜く目を凝らして見ると・・・

    あれは・・・!!!!

  • カメだ〜〜♪♪(>▽<)/<br /><br />アオウミガメでこの近くに住んでる?んだって!<br /><br />名前は「ポピーちゃん」というらしい(^▽^)<br /><br />岩についたコケ?を食べてるのかな?

    カメだ〜〜♪♪(>▽<)/

    アオウミガメでこの近くに住んでる?んだって!

    名前は「ポピーちゃん」というらしい(^▽^)

    岩についたコケ?を食べてるのかな?

  • 3人で大興奮の中、<br /><br />しばらく観察していると・・・

    3人で大興奮の中、

    しばらく観察していると・・・

  • ポピーちゃんは水面へ・・・

    ポピーちゃんは水面へ・・・

  • しばらくすると・・・<br /><br />また同じところに戻ってきてくれました♪<br /><br />息つぎしにいくんだって!!<br /><br />同じところに戻ってきてくれるなんて♪♪<br /><br />ダイバーに慣れてるんだね〜♪

    しばらくすると・・・

    また同じところに戻ってきてくれました♪

    息つぎしにいくんだって!!

    同じところに戻ってきてくれるなんて♪♪

    ダイバーに慣れてるんだね〜♪

  • 大接近vvv

    大接近vvv

  • 彼氏とポピーちゃんの2ショット!!<br /><br />ポピーちゃん、全然逃げない・・・(^^;

    彼氏とポピーちゃんの2ショット!!

    ポピーちゃん、全然逃げない・・・(^^;

  • ポピーちゃん、バイバイ〜(^▽^)/<br /><br />元気でね〜!!

    ポピーちゃん、バイバイ〜(^▽^)/

    元気でね〜!!

  • 実習に戻って・・・<br /><br />マスク脱着・・・<br /><br />海水が目にしみるぅ〜〜(>_<)

    実習に戻って・・・

    マスク脱着・・・

    海水が目にしみるぅ〜〜(>_<)

  • 実習を全部クリア!!!<br /><br />合格の記念にしょうこさんが<br /><br />写真を撮ってくれました♪<br /><br />「二人とも無事合格!!」<br /><br />やった〜!!(^▽^)/

    実習を全部クリア!!!

    合格の記念にしょうこさんが

    写真を撮ってくれました♪

    「二人とも無事合格!!」

    やった〜!!(^▽^)/

  • ポピーちゃんがお祝いに?<br /><br />来てくれました♪<br /><br />私も2ショットvv

    ポピーちゃんがお祝いに?

    来てくれました♪

    私も2ショットvv

  • ウミウシがいるよ!って教えてもらいました。<br /><br />ウミウシって何・・・?(^^;<br /><br />こんな生物がいるなんて、初めて知った・・・<br /><br />いろんな種類がいるから好きな人も多いみたい。<br /><br />これは「レモンウミウシ」だって。<br /><br />なんでこんな色になるんだろ〜??<br /><br />私はやっぱり魚の方がいいな〜♪

    ウミウシがいるよ!って教えてもらいました。

    ウミウシって何・・・?(^^;

    こんな生物がいるなんて、初めて知った・・・

    いろんな種類がいるから好きな人も多いみたい。

    これは「レモンウミウシ」だって。

    なんでこんな色になるんだろ〜??

    私はやっぱり魚の方がいいな〜♪

  • 一度ホテルへ戻ってランチ♪<br /><br />お弁当美味しそう〜♪

    一度ホテルへ戻ってランチ♪

    お弁当美味しそう〜♪

  • ホテルに住みついている?ネコちゃん。<br /><br />(この子には名前はないらしい・・・)<br /><br />お弁当の時間はいつも狙ってるんだって(笑)<br /><br />スリムだね〜!

    ホテルに住みついている?ネコちゃん。

    (この子には名前はないらしい・・・)

    お弁当の時間はいつも狙ってるんだって(笑)

    スリムだね〜!

  • あまりにもお腹がすいていたのか??<br /><br />あげる量が足りなかったのか・・・(^^;<br /><br />そのうちお弁当から直接物色・・・!!!(@0@)

    あまりにもお腹がすいていたのか??

    あげる量が足りなかったのか・・・(^^;

    そのうちお弁当から直接物色・・・!!!(@0@)

  • ランチのあと、<br /><br />勧められてウェイクボードを初体験!!<br /><br />うまくできるかな〜??

    ランチのあと、

    勧められてウェイクボードを初体験!!

    うまくできるかな〜??

  • まずは彼氏から〜<br /><br />ボードをはいて・・・<br /><br />海の中で待機・・・

    まずは彼氏から〜

    ボードをはいて・・・

    海の中で待機・・・

  • 立ちあがって・・・・

    立ちあがって・・・・

  • おぉっ!!<br /><br />立てた・・・!?

    おぉっ!!

    立てた・・・!?

  • ハッ!!<br /><br />バランスがぁ〜〜(><)<br /><br />(この後ドボン)

    ハッ!!

    バランスがぁ〜〜(><)

    (この後ドボン)

  • 次は私〜♪<br /><br />準備をして・・・<br /><br />いざ!というときに大雨・・・(><)<br /><br />しかたなく海の中で待機・・・(^^;

    次は私〜♪

    準備をして・・・

    いざ!というときに大雨・・・(><)

    しかたなく海の中で待機・・・(^^;

  • 気を取り直して・・・!!<br /><br />私も立てた〜!!!(>▽<)<br /><br />結構長時間立っていられました♪<br /><br />でも見た目よりウェイクボードって難しい・・・。

    気を取り直して・・・!!

    私も立てた〜!!!(>▽<)

    結構長時間立っていられました♪

    でも見た目よりウェイクボードって難しい・・・。

  • 午後はファンダイビングをすることに・・・♪<br /><br />ポイントを変えてオブジャンビーチへ!

    午後はファンダイビングをすることに・・・♪

    ポイントを変えてオブジャンビーチへ!

  • ここは下が白い砂浜でとってもキレイ♪<br /><br />サンゴの周りに魚がいっぱい♪<br /><br />魚と向かい合って話してるみたい♪

    ここは下が白い砂浜でとってもキレイ♪

    サンゴの周りに魚がいっぱい♪

    魚と向かい合って話してるみたい♪

  • 透明度がすごくよくてv<br /><br />影が底に写ってる(^^)<br /><br />空を飛んでいるみたい♪

    透明度がすごくよくてv

    影が底に写ってる(^^)

    空を飛んでいるみたい♪

  • 「ハナミノカサゴ」発見〜!!<br /><br />キレイだけど、毒をもってるんだって!<br /><br />他にも<br /><br />「モンツキカエルウオ」<br /><br />「ハタタテハゼ」<br /><br />「クロユリハゼ」<br /><br />「チンアナゴ」<br /><br />がいました♪

    「ハナミノカサゴ」発見〜!!

    キレイだけど、毒をもってるんだって!

    他にも

    「モンツキカエルウオ」

    「ハタタテハゼ」

    「クロユリハゼ」

    「チンアナゴ」

    がいました♪

  • 3人で記念撮影♪♪♪<br /><br />しょうこさん、カワイイ・・・(^^)

    3人で記念撮影♪♪♪

    しょうこさん、カワイイ・・・(^^)

  • ホテルに戻って合格証の授与式を<br /><br />やってもらいました♪

    ホテルに戻って合格証の授与式を

    やってもらいました♪

  • 直接しょうこさんから渡してもらって<br /><br />感動〜☆☆☆

    直接しょうこさんから渡してもらって

    感動〜☆☆☆

  • 最後はSPAでリラックス♪♪<br /><br />フラワーバス気持ちいい〜♪

    最後はSPAでリラックス♪♪

    フラワーバス気持ちいい〜♪

  • ディナーは、SPAの中のレストラン<br /><br />ボリューム満点!!<br /><br />その後ホテルへ・・・<br /><br />着いてすぐバタンキュー(^^;<br /><br />かなりアクティブな1日でした☆☆☆<br /><br />でも楽しかった♪

    ディナーは、SPAの中のレストラン

    ボリューム満点!!

    その後ホテルへ・・・

    着いてすぐバタンキュー(^^;

    かなりアクティブな1日でした☆☆☆

    でも楽しかった♪

この旅行記のタグ

関連タグ

4いいね!

利用規約に違反している投稿は、報告する事ができます。 問題のある投稿を連絡する

コメントを投稿する前に

十分に確認の上、ご投稿ください。 コメントの内容は攻撃的ではなく、相手の気持ちに寄り添ったものになっていますか?

サイト共通ガイドライン(利用上のお願い)

報道機関・マスメディアの方へ 画像提供などに関するお問い合わせは、専用のお問い合わせフォームからお願いいたします。

旅の計画・記録

マイルに交換できるフォートラベルポイントが貯まる
フォートラベルポイントって?

北マリアナ諸島で使うWi-Fiはレンタルしましたか?

フォートラベル GLOBAL WiFiなら
北マリアナ諸島最安 586円/日~

  • 空港で受取・返却可能
  • お得なポイントがたまる

北マリアナ諸島の料金プランを見る

フォートラベル公式LINE@

おすすめの旅行記や旬な旅行情報、お得なキャンペーン情報をお届けします!
QRコードが読み取れない場合はID「@4travel」で検索してください。

\その他の公式SNSはこちら/

タグから海外旅行記(ブログ)を探す

PAGE TOP