南マーレ環礁旅行記(ブログ) 一覧に戻る
ビーチは西側が景色がいい。<br /><br />でもシュノーケルは南側から東側でたくさんの魚が見れた。<br /><br />ここらへんは潮の流れが速いそうだが、あまりそれは感じなかった。<br /><br />南側の浅瀬にギンガメアジがトルネード状に泳いでいたりしたのでお勧めのポイント!<br /><br />魚の種類は豊富なので毎日飽きることなくシュノーケル三昧の日々でした。<br /><br />こちらで掲載しているものとは別の写真をブログでも載せてますのでよかったら見てください。<br /><br />https://syougaienjoy.com/2022/06/11/08biyadhoo-1/

ひたすらシュノーケル@モルディブ・ビヤドゥ#4 シュノーケル

7いいね!

2008/09/14 - 2008/09/19

383位(同エリア639件中)

0

36

zidanegto

zidanegtoさん

ビーチは西側が景色がいい。

でもシュノーケルは南側から東側でたくさんの魚が見れた。

ここらへんは潮の流れが速いそうだが、あまりそれは感じなかった。

南側の浅瀬にギンガメアジがトルネード状に泳いでいたりしたのでお勧めのポイント!

魚の種類は豊富なので毎日飽きることなくシュノーケル三昧の日々でした。

こちらで掲載しているものとは別の写真をブログでも載せてますのでよかったら見てください。

https://syougaienjoy.com/2022/06/11/08biyadhoo-1/

旅行の満足度
4.0
観光
4.0
ホテル
3.0
グルメ
3.0
同行者
カップル・夫婦
一人あたり費用
10万円 - 15万円
交通手段
航空会社
シンガポール航空
旅行の手配内容
ツアー(添乗員同行なし)
  • モルディブアネモネフィッシュ

    モルディブアネモネフィッシュ

  • うつぼ。

    うつぼ。

  • あたり一面に広がる。

    あたり一面に広がる。

  • コバンアジは西側の浅瀬で泳いでると寄ってくる。<br /><br />餌付けされているのか?

    コバンアジは西側の浅瀬で泳いでると寄ってくる。

    餌付けされているのか?

  • 青空

    青空

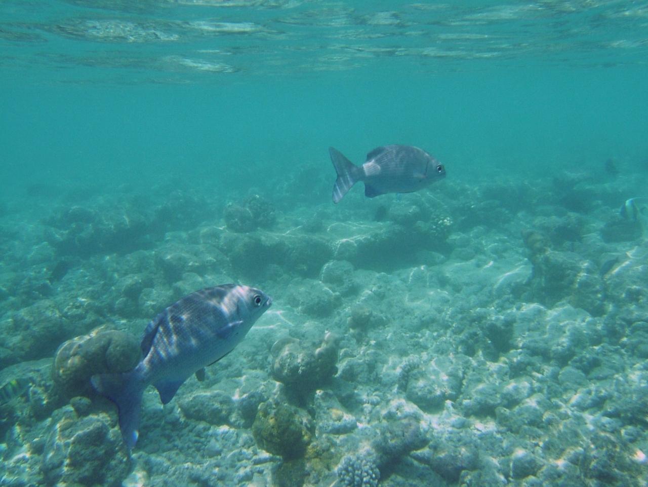
  • 群れで移動する魚はいたる場所で見ることができる。

    群れで移動する魚はいたる場所で見ることができる。

  • 大型の魚もたくさん

    大型の魚もたくさん

  • ギンガメアジの群れ。

    ギンガメアジの群れ。

  • 半水上写真に挑戦したもののうまくとれない。

    半水上写真に挑戦したもののうまくとれない。

  • ドルフィンウォッチング。<br /><br />参加者が多くてボート2艘で出発。<br />30分ほどひた走る。

    ドルフィンウォッチング。

    参加者が多くてボート2艘で出発。
    30分ほどひた走る。

  • イルカの群れに接近。

    イルカの群れに接近。

  • たまにジャンプをするけどなかなか写真が撮れない。

    たまにジャンプをするけどなかなか写真が撮れない。

  • ちょっと遠いけどジャンプした瞬間。

    ちょっと遠いけどジャンプした瞬間。

  • あちこち移動しながらたくさんのイルカを見ることができた。<br />大満足のツアーでした。<br /><br />

    あちこち移動しながらたくさんのイルカを見ることができた。
    大満足のツアーでした。

この旅行記のタグ

7いいね!

利用規約に違反している投稿は、報告する事ができます。 問題のある投稿を連絡する

コメントを投稿する前に

十分に確認の上、ご投稿ください。 コメントの内容は攻撃的ではなく、相手の気持ちに寄り添ったものになっていますか?

サイト共通ガイドライン(利用上のお願い)

報道機関・マスメディアの方へ 画像提供などに関するお問い合わせは、専用のお問い合わせフォームからお願いいたします。

旅の計画・記録

マイルに交換できるフォートラベルポイントが貯まる
フォートラベルポイントって?

モルディブで使うWi-Fiはレンタルしましたか?

フォートラベル GLOBAL WiFiなら
モルディブ最安 562円/日~

  • 空港で受取・返却可能
  • お得なポイントがたまる

モルディブの料金プランを見る

フォートラベル公式LINE@

おすすめの旅行記や旬な旅行情報、お得なキャンペーン情報をお届けします!
QRコードが読み取れない場合はID「@4travel」で検索してください。

\その他の公式SNSはこちら/

PAGE TOP