北マーレ環礁旅行記(ブログ) 一覧に戻る
私たちの部屋の前のビーチからサンダウナーズバーを見た感じ。<br />ダイビングサービスから近い部屋を、とリクエストし、DSから3ブロックめの位置でした。<br />ダイビングサービスは、サンダウナーの続きにあります。

バンドスアイランドリゾート&スパ 3・4日目 【作成中】

4いいね!

2008/09 - 2008/09

601位(同エリア814件中)

0

21

つばめうお

つばめうおさん

私たちの部屋の前のビーチからサンダウナーズバーを見た感じ。
ダイビングサービスから近い部屋を、とリクエストし、DSから3ブロックめの位置でした。
ダイビングサービスは、サンダウナーの続きにあります。

  • ダイビング2日目<br />午前のボートダイブ1本目のポイントは、KUDA HAA TILA。<br />大きな山のような根が二つあり、その根の周りを流されながら周ります。<br /><br />初めてセルフで潜るボートダイビング!<br />エントリーして潜行してる最中もめっちゃ緊張!!<br />ボートにはガイドが二人乗ってたけど、それぞれ講習かなにかで別のゲストとマンツーで潜ってました。

    ダイビング2日目
    午前のボートダイブ1本目のポイントは、KUDA HAA TILA。
    大きな山のような根が二つあり、その根の周りを流されながら周ります。

    初めてセルフで潜るボートダイビング!
    エントリーして潜行してる最中もめっちゃ緊張!!
    ボートにはガイドが二人乗ってたけど、それぞれ講習かなにかで別のゲストとマンツーで潜ってました。

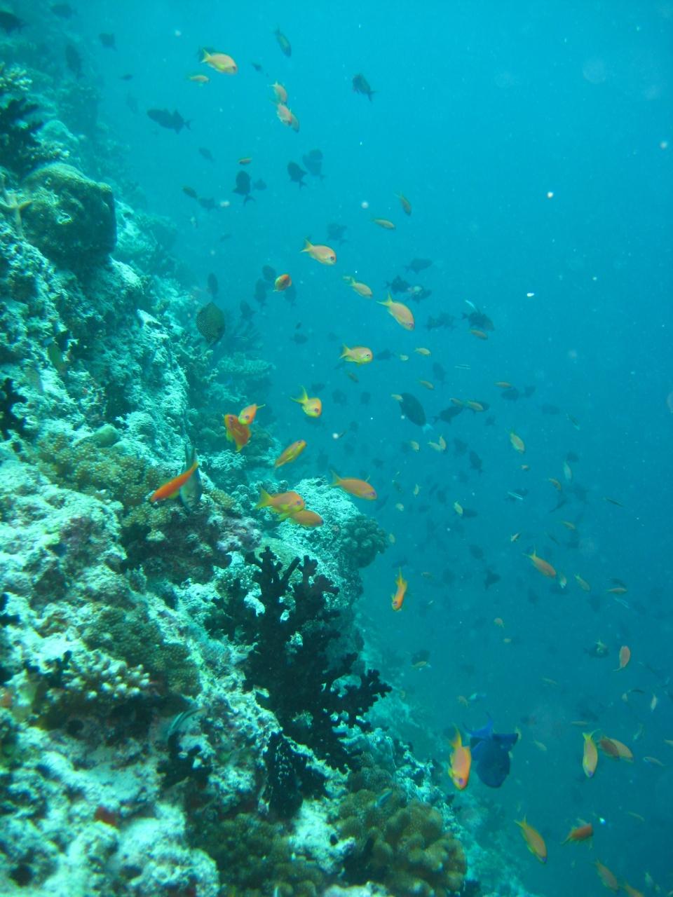
  • エントリーしたのがリーフトップの近くだったのか、根の上のほうから徐々に深度を下げていき、中層を流れに乗って流されていく。<br /><br />私達の先のほうにガイドの1人がいるのが見えたので、初めの内だけガイドに着かず離れずの距離をとって潜ってました。<br /><br />ヨスジフエダイの群れ

    エントリーしたのがリーフトップの近くだったのか、根の上のほうから徐々に深度を下げていき、中層を流れに乗って流されていく。

    私達の先のほうにガイドの1人がいるのが見えたので、初めの内だけガイドに着かず離れずの距離をとって潜ってました。

    ヨスジフエダイの群れ

  • 全体的にアカモンガラやハナダイの多いポイントらいいけど、場所によっちゃアカモンガラにハナダイが混じり、川になってました。<br /><br />ところどころ若干流れの強いところもあったけど、気持ちよかったです。<br /><br />水中でオクトパスを使って初のシグナルフロートをあげ、3分間の安全停止。<br />浮上しあたりを見渡すと、ちゃんとボートは拾いに来てくれました〜<br /><br />

    全体的にアカモンガラやハナダイの多いポイントらいいけど、場所によっちゃアカモンガラにハナダイが混じり、川になってました。

    ところどころ若干流れの強いところもあったけど、気持ちよかったです。

    水中でオクトパスを使って初のシグナルフロートをあげ、3分間の安全停止。
    浮上しあたりを見渡すと、ちゃんとボートは拾いに来てくれました〜

  • 2本目のポイントは、BANDOS ROCK。<br />バンドスのハウスリーフの一部です。<br />ハウスリーフとはいえ、DS近くからビーチエントリーしてるポイントの、ちょうど島の反対側って言ってたかな。<br />ハウスリーフだけど、ボートで行くポイント。<br /><br />勿論ここもセルフで潜れますが、壁沿いに潜るだけなので1本目のような不安は全くなし。

    2本目のポイントは、BANDOS ROCK。
    バンドスのハウスリーフの一部です。
    ハウスリーフとはいえ、DS近くからビーチエントリーしてるポイントの、ちょうど島の反対側って言ってたかな。
    ハウスリーフだけど、ボートで行くポイント。

    勿論ここもセルフで潜れますが、壁沿いに潜るだけなので1本目のような不安は全くなし。

  • せっかくのボートダイビングなのに、なんでわざわざハウスリーフ??って全く期待してなかったポイント。<br /><br />がっ しかし、ちょっと岩を覗いたらエビとか小物がとにかく満載で楽しい楽しい(*^^*)<br /><br />ヒメゴンベ

    せっかくのボートダイビングなのに、なんでわざわざハウスリーフ??って全く期待してなかったポイント。

    がっ しかし、ちょっと岩を覗いたらエビとか小物がとにかく満載で楽しい楽しい(*^^*)

    ヒメゴンベ

  • 途中大きなオーバーハングがあったり、大きなロックがあったり、地形的にも楽しめます。<br />ムスジコショウダイの群れやサメ、他にも魚影が濃くてとにかく楽しめるポイントです。<br />っていうか、じっくり見るには時間が足りない。

    途中大きなオーバーハングがあったり、大きなロックがあったり、地形的にも楽しめます。
    ムスジコショウダイの群れやサメ、他にも魚影が濃くてとにかく楽しめるポイントです。
    っていうか、じっくり見るには時間が足りない。

  • 大きなロックあたりでウロウロしたあと、壁を左にして戻りました。<br />大きなオーバーハングを過ぎると、ドロップオフになってます。<br /><br />フロートを上げ、安全停止後に浮上。<br /><br />このポイントはもう一度潜りたいな〜

    大きなロックあたりでウロウロしたあと、壁を左にして戻りました。
    大きなオーバーハングを過ぎると、ドロップオフになってます。

    フロートを上げ、安全停止後に浮上。

    このポイントはもう一度潜りたいな〜

  • この日は午後のボートは予約せず、ハウスリーフで潜る予定が・・・。<br />子供がキッズクラブ行くの嫌がって泣いたので、午前中潜ったしって事で、ハウスリーフで潜るのを断念(><)<br /><br />で、私は・・・スパへ行ってきました〜

    この日は午後のボートは予約せず、ハウスリーフで潜る予定が・・・。
    子供がキッズクラブ行くの嫌がって泣いたので、午前中潜ったしって事で、ハウスリーフで潜るのを断念(><)

    で、私は・・・スパへ行ってきました〜

この旅行記のタグ

関連タグ

4いいね!

利用規約に違反している投稿は、報告する事ができます。 問題のある投稿を連絡する

コメントを投稿する前に

十分に確認の上、ご投稿ください。 コメントの内容は攻撃的ではなく、相手の気持ちに寄り添ったものになっていますか?

サイト共通ガイドライン(利用上のお願い)

報道機関・マスメディアの方へ 画像提供などに関するお問い合わせは、専用のお問い合わせフォームからお願いいたします。

旅の計画・記録

マイルに交換できるフォートラベルポイントが貯まる
フォートラベルポイントって?

モルディブで使うWi-Fiはレンタルしましたか?

フォートラベル GLOBAL WiFiなら
モルディブ最安 562円/日~

  • 空港で受取・返却可能
  • お得なポイントがたまる

モルディブの料金プランを見る

フォートラベル公式LINE@

おすすめの旅行記や旬な旅行情報、お得なキャンペーン情報をお届けします!
QRコードが読み取れない場合はID「@4travel」で検索してください。

\その他の公式SNSはこちら/

タグから海外旅行記(ブログ)を探す

PAGE TOP