グアム旅行記(ブログ) 一覧に戻る
オプショナルツアーで<br />ココパームガーデンビーチへ

グアム旅行3日目

2いいね!

2008/01/09 - 2008/01/09

8835位(同エリア10493件中)

0

31

にんにん

にんにんさん

オプショナルツアーで
ココパームガーデンビーチへ

同行者
家族旅行
一人あたり費用
1万円未満
交通手段
観光バス
  • 前日に申し込んだオプショナルツアーの<br />グアム北部にあるココパームガーデンビーチへ<br />ホテルからバスで約30分<br />

    前日に申し込んだオプショナルツアーの
    グアム北部にあるココパームガーデンビーチへ
    ホテルからバスで約30分

  • 1人$78と高いですがのんびり出来て<br />グアム一海水の透明度が良いとの事で決めた。<br />

    1人$78と高いですがのんびり出来て
    グアム一海水の透明度が良いとの事で決めた。

  • オーナーが日本人なので細かい所まで<br />気が利いた施設でした<br /><br />ヤシ・白浜・青い海<br />最高のシチュエーション<br />

    オーナーが日本人なので細かい所まで
    気が利いた施設でした

    ヤシ・白浜・青い海
    最高のシチュエーション

  • 閑散期なので貸切状態でした

    閑散期なので貸切状態でした

  • 海に入らなくても透明度の素晴らしさが分かりました。<br /><br />焦る気持ちを抑えながら義務のライフジャケットだけは借り<br />日焼け止め塗ってシュノーケリングへ<br />

    海に入らなくても透明度の素晴らしさが分かりました。

    焦る気持ちを抑えながら義務のライフジャケットだけは借り
    日焼け止め塗ってシュノーケリングへ

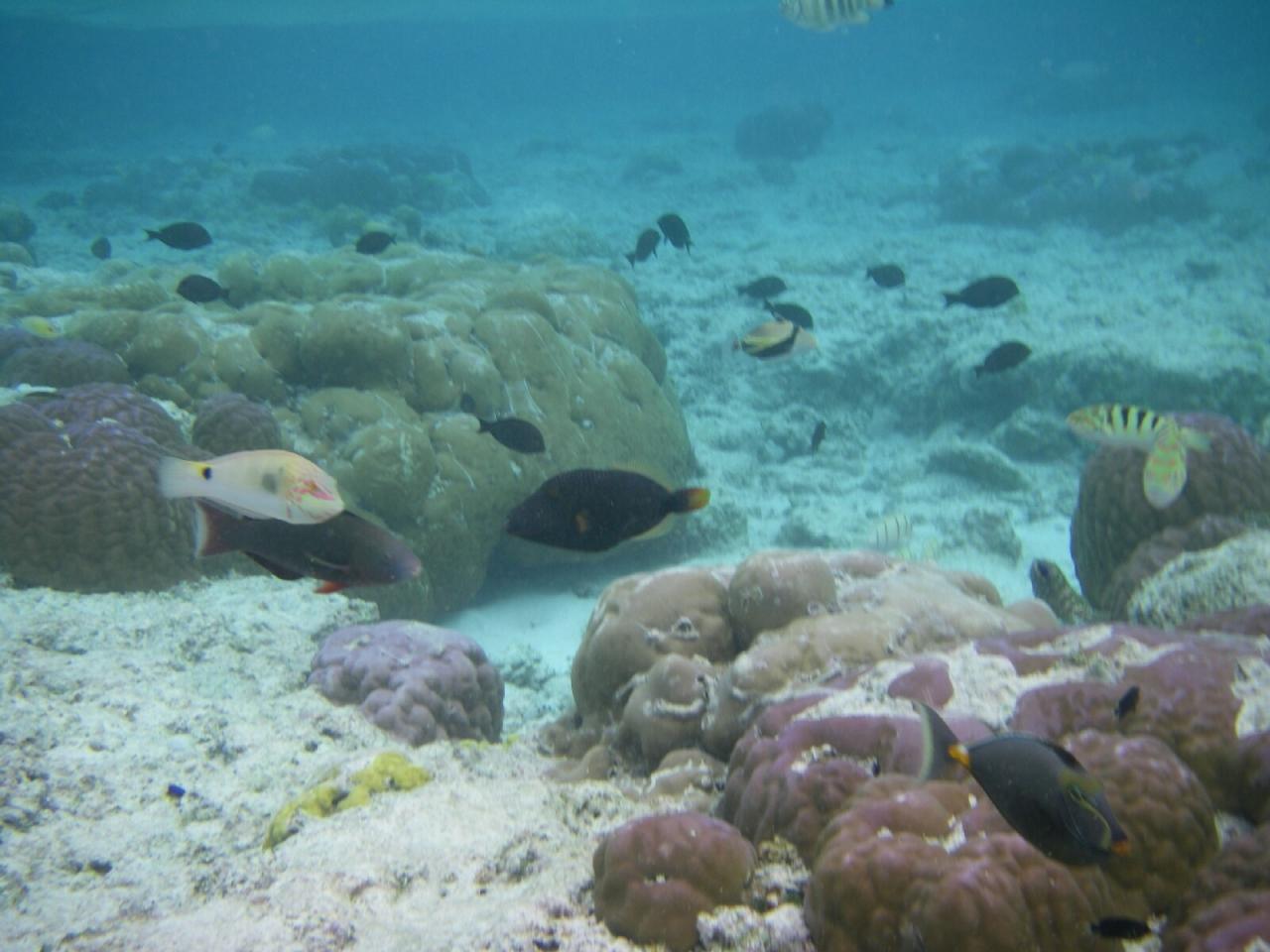
  • 少し入っただけでこの透明度と魚

    少し入っただけでこの透明度と魚

  • かなり遠くまで見えるので感動

    かなり遠くまで見えるので感動

  • エサくれると思ってたくさんの魚が寄ってきます。

    エサくれると思ってたくさんの魚が寄ってきます。

  • 色とりどりの魚

    色とりどりの魚

  • 回遊魚の群れも時々通り幻想的な雰囲気に

    回遊魚の群れも時々通り幻想的な雰囲気に

  • 子供連れの人は正面エリアのビーチで遊んでました。

    子供連れの人は正面エリアのビーチで遊んでました。

  • 12時にホラ貝の合図で昼食タイム

    12時にホラ貝の合図で昼食タイム

  • ビーフかチキンのハンバーガー<br />事前に選択しておく<br /><br />アイスティー飲み放題<br />ハンバーガーのベースはバーガーキングらしいですが<br />セパレートタイプなので別物でした<br />

    ビーフかチキンのハンバーガー
    事前に選択しておく

    アイスティー飲み放題
    ハンバーガーのベースはバーガーキングらしいですが
    セパレートタイプなので別物でした

  • 昼食後のビーチ?

    昼食後のビーチ?

  • 昼食後のビーチ?

    昼食後のビーチ?

  • 魚のエサ(ソーセージ)$1を買い餌付け

    魚のエサ(ソーセージ)$1を買い餌付け

  • 警戒心ゼロで寄ってきます

    警戒心ゼロで寄ってきます

  • 堅い口で噛まれると痛いです

    堅い口で噛まれると痛いです

  • 満腹かな??

    満腹かな??

  • リーフ内から見たビーチと山?

    リーフ内から見たビーチと山?

  • リーフ内から見たビーチと山?

    リーフ内から見たビーチと山?

  • リーフ内から見たビーチと山?

    リーフ内から見たビーチと山?

  • 甥が餌付け中

    甥が餌付け中

  • 3時前にホテルへ帰り<br /><br />今日も夕陽を拝めない様子・・・・<br />

    3時前にホテルへ帰り

    今日も夕陽を拝めない様子・・・・

  • 買物と夕食のため街へ<br /><br />「ヤバイヨー」の出川ガニ股で歩いてました。(左)<br />

    買物と夕食のため街へ

    「ヤバイヨー」の出川ガニ股で歩いてました。(左)

  • アメリカンな料理をしたくT.G.I.フライデーズへ<br /><br />私たちのテーブル担当のクリスティーが陽気で<br />フレンドリーで英語のみで会話してくれるので<br />楽しい食事にさせてくれた。<br />

    アメリカンな料理をしたくT.G.I.フライデーズへ

    私たちのテーブル担当のクリスティーが陽気で
    フレンドリーで英語のみで会話してくれるので
    楽しい食事にさせてくれた。

  • バドワイザー22oz(550ml)とトロピカルジュース<br />暑かったのでバドが美味しかった〜<br />

    バドワイザー22oz(550ml)とトロピカルジュース
    暑かったのでバドが美味しかった〜

  • ロブスターラバーズ注文後<br />「今からロブスター持ってくるので<br />写真用意してね」と言われパチリ<br /><br />持って行く時に爪持って「バイバーイ!」<br />複雑・・・・<br />

    ロブスターラバーズ注文後
    「今からロブスター持ってくるので
    写真用意してね」と言われパチリ

    持って行く時に爪持って「バイバーイ!」
    複雑・・・・

  • ロブスターラバーズ$45<br /><br />真ん中の油に付けて食べる様ですが<br />そのままでも美味しいそうです。<br />

    ロブスターラバーズ$45

    真ん中の油に付けて食べる様ですが
    そのままでも美味しいそうです。

  • サーロインステーキ(ミディアム)<br /><br />ガーリックソース・マッシュポテト添え$26.95<br />

    サーロインステーキ(ミディアム)

    ガーリックソース・マッシュポテト添え$26.95

  • サーロインステーキ(レア)<br /><br />ケイジャンクリーム マッシュフライ添え$26.95<br />この組み合わせが最高の様でオーダー後「ベリーナイズ!」って褒められました☆<br /><br />通常日本ではライス等付けますが無くても十分満腹になり<br />ステーキを味わうのに最高の場所でした。<br />

    サーロインステーキ(レア)

    ケイジャンクリーム マッシュフライ添え$26.95
    この組み合わせが最高の様でオーダー後「ベリーナイズ!」って褒められました☆

    通常日本ではライス等付けますが無くても十分満腹になり
    ステーキを味わうのに最高の場所でした。

この旅行記のタグ

2いいね!

利用規約に違反している投稿は、報告する事ができます。 問題のある投稿を連絡する

コメントを投稿する前に

十分に確認の上、ご投稿ください。 コメントの内容は攻撃的ではなく、相手の気持ちに寄り添ったものになっていますか?

サイト共通ガイドライン(利用上のお願い)

報道機関・マスメディアの方へ 画像提供などに関するお問い合わせは、専用のお問い合わせフォームからお願いいたします。

旅の計画・記録

マイルに交換できるフォートラベルポイントが貯まる
フォートラベルポイントって?

グアムで使うWi-Fiはレンタルしましたか?

フォートラベル GLOBAL WiFiなら
グアム最安 447円/日~

  • 空港で受取・返却可能
  • お得なポイントがたまる

グアムの料金プランを見る

フォートラベル公式LINE@

おすすめの旅行記や旬な旅行情報、お得なキャンペーン情報をお届けします!
QRコードが読み取れない場合はID「@4travel」で検索してください。

\その他の公式SNSはこちら/

PAGE TOP