慶良間諸島旅行記(ブログ) 一覧に戻る
 水中写真デビューのダイビングです。<br />まだダイビング初心者なので、本当は写真どころではないのですが、、でも2本目は少し思うように撮れるようになりました。<br />でもけっこう明るいのにノンストロボでは、見た色が出ない、、<br /><br />それにお魚の名前がよく分かりません。

沖縄、渡嘉敷島 2.(ダイビング)

12いいね!

2006/10/03 - 2006/10/03

937位(同エリア1669件中)

10

37

招き猫

招き猫さん

 水中写真デビューのダイビングです。
まだダイビング初心者なので、本当は写真どころではないのですが、、でも2本目は少し思うように撮れるようになりました。
でもけっこう明るいのにノンストロボでは、見た色が出ない、、

それにお魚の名前がよく分かりません。

  •  ホテルの目の前に、ダイビングショップがあります。

    ホテルの目の前に、ダイビングショップがあります。

  •  フェリーが15:30発なので、午前に2本潜ります。

     フェリーが15:30発なので、午前に2本潜ります。

  •  今日の海の状態です。

     今日の海の状態です。

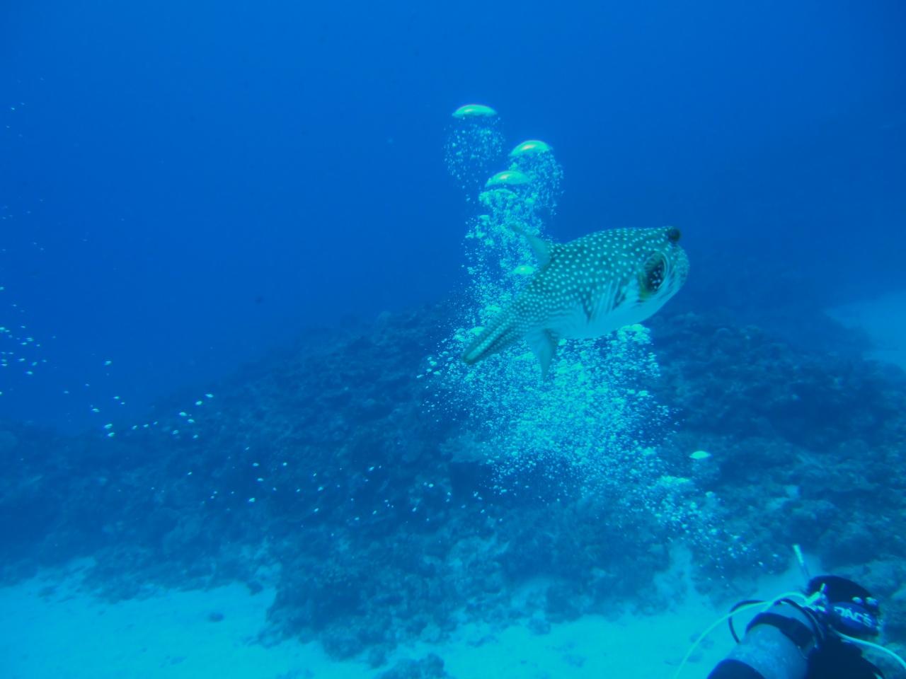
  •  サザナミフグ

     サザナミフグ

  •  トゲチョウチョウウオ

     トゲチョウチョウウオ

  •  イソギンチャクにクマノミ

     イソギンチャクにクマノミ

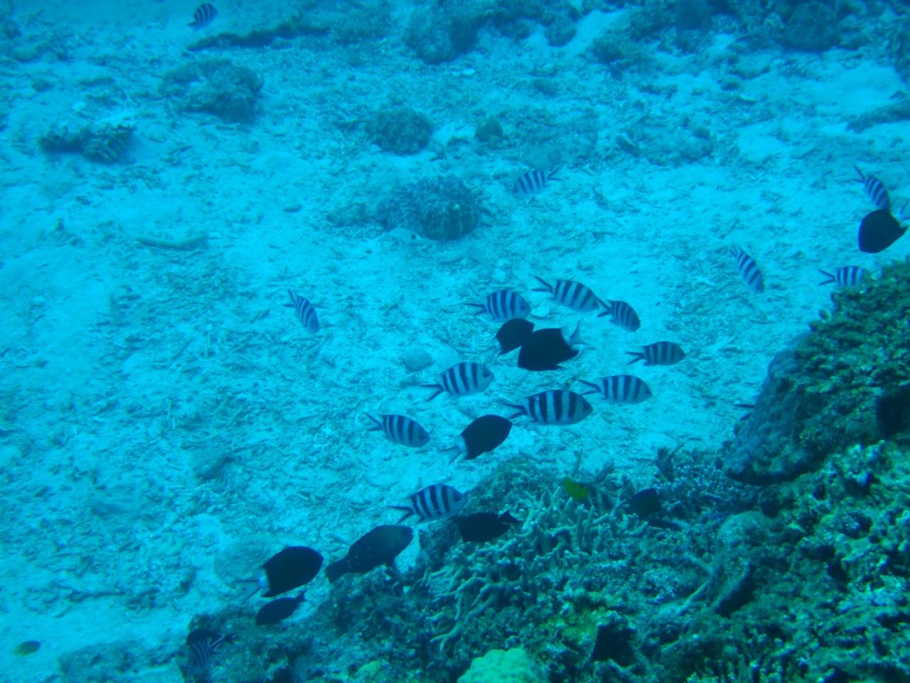
  •  デバスズメダイ

     デバスズメダイ

  • 自分で〜す、手を伸ばして自分で撮りました、ピントばっちりでした。

    自分で〜す、手を伸ばして自分で撮りました、ピントばっちりでした。

  •  キンメモドキの群生

     キンメモドキの群生

  •  デバスズメダイの群生

     デバスズメダイの群生

  •  昼食は、オリオンビールに

     昼食は、オリオンビールに

  •  沖縄そばです、

     沖縄そばです、

  •  高速船は波が荒いため欠航のため、帰りはフェリーけらまにしました。<br />明日も欠航のおそれがあるため、船内は満員でした。<br />ちょっとした低気圧でも波が荒いと欠航になるので、<br />離島に船を利用する時は天気予報に注意が必要です。

     高速船は波が荒いため欠航のため、帰りはフェリーけらまにしました。
    明日も欠航のおそれがあるため、船内は満員でした。
    ちょっとした低気圧でも波が荒いと欠航になるので、
    離島に船を利用する時は天気予報に注意が必要です。

  •  渡嘉敷港を出航、

     渡嘉敷港を出航、

  •  大きなフェリーが途中かなり揺れました、小さな高速船が欠航になるはずだ。<br />穏やかになったと思ったら、泊大橋が見えてきました。

     大きなフェリーが途中かなり揺れました、小さな高速船が欠航になるはずだ。
    穏やかになったと思ったら、泊大橋が見えてきました。

この旅行記のタグ

関連タグ

12いいね!

利用規約に違反している投稿は、報告する事ができます。 問題のある投稿を連絡する

この旅行記へのコメント (10)

開く

閉じる

  • Deep Blueさん 2006/11/09 21:27:42
    ベトナム・ダイビングの件
    はじめまして。

    現在旅先で、ベトナム・ダイビングの質問を知りました。
    回答をしようとしていますが、トラブルなのか、何か間違えているのか
    書き込みのページに接続出来ないので、お返事出来ません。

    ベトナム・ダイビングの経験、わずかですがありますので、後日、自宅の
    パソコンから、連絡します。

    こんなところに書き込みし、失礼しました。
    私も、年末にSGNにいます。

    では。

    招き猫

    招き猫さん からの返信 2006/11/10 00:13:13
    RE: ベトナム・ダイビングの件
    Deep Blueさん、ありがとうございます。

    楽しみにしています、またそちらに訪ねます。

    招き猫
  • パパスさん 2006/10/30 07:52:05
    流石、招き猫さんです!
    招き猫さん、若いですね!
    ダイビングとは!!

    それに水中写真も初めてなのに良く撮れてますね。
    感心致しました。
    流石ですね!!

    これからも水陸両用で綺麗な写真期待しています。

    パパス。

    招き猫

    招き猫さん からの返信 2006/10/30 11:17:55
    RE: 流石、招き猫さんです!
    パパスさん、お早うございます。

    海の中イイですよ、5年前に50過ぎで初めて潜った時に人生観が変わるほどの感動を受けました。それでも今までは、たまに潜るだけでしたがこれからは、ちょくちょく潜りに行こうかと思ってます。

    あまり話題になりませんが、けっこうダイビングでの事故多いと聞きます、ひとつ間違えば死にいたるので、体調を整えて楽しみたいと思います。

    では、ありがとうございました。
  • Rockyさん 2006/10/28 15:37:26
    ピントばっちり
    招き猫さんの沖縄見ました。1票です。

    >自分で〜す、手を伸ばして自分で撮りました、ピントばっちりでした。
    この余裕にビックリです!

    自分は潜らないので、この旅行記で海中公園を楽しませて頂きました。

    興味有る写真は、ゴルフコースでの人物入れない風景です。
    どんな風景画が見る人にアピールできるか興味有ります。

    ところで、今回2枚当確でした!!2007年カレンダーです。
    皆様の暖かい投票&偶然なるシーンとの遭遇であったようです。

    専門家からの目からも気になる所ですが、
    日々デジカメを楽しんでる Rockyです。

    招き猫

    招き猫さん からの返信 2006/10/28 18:47:10
    RE: ピントばっちり
     Rockyさん、ありがとうございます。

    同じ写真でも、水中での写真はちょっと大変ですが、でもダイビングに慣れれば、徐々に良い写真が撮れるでしょう。

    コミュ「美しい写真を撮ろう」の件ですが、使用のカメラ名と初めに何を聞きたいか簡単でよいので書いていただけますか?宜しくお願いします。

    招き猫

  • ジュリままさん 2006/10/19 11:51:40
    祝ライセンス取得!
    招き猫さん、おめでとーございます!
    しかも写真にもはまりそーな勢いですねー
    カメラ本体だけじゃー光が足りないんですよ。
    見たのと同じ色を出したいなら外部ストロボ買わないと・・・
    と、私も思っております。
    それにしてもよくあの激安チケット取れましたね♪

    ジュリまま

    招き猫

    招き猫さん からの返信 2006/10/19 13:47:17
    RE: 祝ライセンス取得!
    ジュリままさんこんにちわ、そして書き込みありがとうございます。

    海中と言うフィルターがかかっているので、所詮今のカメラではまだまだ素晴らしい色を出すのは無理のようですね、ストロボを使いなお後処理で直すしかないのかな?

    また宜しく、
  • kokonoさん 2006/10/17 06:01:28
    将来の海中写真が楽しみです
    招き猫さん、おはようさんです

    いやぁー 驚きましたぁー 海中撮影ですかぁー
    からだ ふぁー ふぁー で撮影難しいようですね 色合いが・・

    はっきりしてたのは ピントの合った 目線 素顔を確認できました 
    ヨイ男さんです

    あと キンキンに冷えた 生ビール ??

    編集中にお邪魔しました。

    kokono

    招き猫

    招き猫さん からの返信 2006/10/18 23:24:13
    RE: 将来の海中写真が楽しみです
     kokonoさん、こんばんわ。

    10月の沖縄は、温度は30度前後あるのに湿気が少ないので過ごしやすくて良かったです、水温はまだまだ高いので1時間近く潜っていても寒くならないです。
    今回の海中写真は全てノンストロボで撮ったのがいけなかったみたいです?
    かなり明るくても青みがかって単色になるから、ストロボを強制発光させないといけないみたいです、、
    分かっていたのですが、予想以上に明るくて透明度があったので大丈夫だと思ったのですが、やはり海の中は特別ですね。

    次の海中写真に期待してください??

    ありがとうございました。

招き猫さんのトラベラーページ

コメントを投稿する前に

十分に確認の上、ご投稿ください。 コメントの内容は攻撃的ではなく、相手の気持ちに寄り添ったものになっていますか?

サイト共通ガイドライン(利用上のお願い)

報道機関・マスメディアの方へ 画像提供などに関するお問い合わせは、専用のお問い合わせフォームからお願いいたします。

旅の計画・記録

マイルに交換できるフォートラベルポイントが貯まる
フォートラベルポイントって?

フォートラベル公式LINE@

おすすめの旅行記や旬な旅行情報、お得なキャンペーン情報をお届けします!
QRコードが読み取れない場合はID「@4travel」で検索してください。

\その他の公式SNSはこちら/

タグから国内旅行記(ブログ)を探す

PAGE TOP