グレートバリアリーフ周辺旅行記(ブログ) 一覧に戻る
初めてのオーストラリア。<br />初めてのグレートバリアリーフ。<br />とにかく、最高!竜宮城に行ってしまった気分。<br />もう知らなかった頃には戻れない。。。

グレートバリアリーフ(2004/12)

0いいね!

2004/12 - 2004/12

147位(同エリア153件中)

3

22

暁

暁さん

初めてのオーストラリア。
初めてのグレートバリアリーフ。
とにかく、最高!竜宮城に行ってしまった気分。
もう知らなかった頃には戻れない。。。

  • 1日目。エアはカンタス航空と共同就航便のJAL。ピンボケしてるけど、翼にはカンガルーの模様。たぶん。席はとても狭いけど、ご飯はそこそこ。量が少ないのが逆に嬉しい感じ。ワインはもちろんオーストラリア産だしね。深夜発の便で、8時間程度でオーストラリアのケアンズ空港に到着。オーストラリアの入国は結構厳しい&時間がかかる。でも裏ワザはあるので、オーストラリアに行く人は直接聞いてください!

    1日目。エアはカンタス航空と共同就航便のJAL。ピンボケしてるけど、翼にはカンガルーの模様。たぶん。席はとても狭いけど、ご飯はそこそこ。量が少ないのが逆に嬉しい感じ。ワインはもちろんオーストラリア産だしね。深夜発の便で、8時間程度でオーストラリアのケアンズ空港に到着。オーストラリアの入国は結構厳しい&時間がかかる。でも裏ワザはあるので、オーストラリアに行く人は直接聞いてください!

  • 2日目。ケアンズ空港から1時間ほど車で北に向かってポートダグラスという町のシェラトンホテルに到着。部屋はこんな感じ。意外にというか、結構広い。

    2日目。ケアンズ空港から1時間ほど車で北に向かってポートダグラスという町のシェラトンホテルに到着。部屋はこんな感じ。意外にというか、結構広い。

  • ベランダからはこんな感じ。ラグーンビューです。

    ベランダからはこんな感じ。ラグーンビューです。

  • ラグーンって何か分からなかったのだけど、要は砂がしいてあるプールとのこと。でもこれが結構泳ぐと気持ち良いんだよね。夜ご飯の後、酔っ払って飛び込んで泳いでみたけど、かなり気持ちよかった。

    ラグーンって何か分からなかったのだけど、要は砂がしいてあるプールとのこと。でもこれが結構泳ぐと気持ち良いんだよね。夜ご飯の後、酔っ払って飛び込んで泳いでみたけど、かなり気持ちよかった。

  • このホテルはほんとに綺麗。サービスも良いし、ツアーデスクには何と日本人の方もいました。

    このホテルはほんとに綺麗。サービスも良いし、ツアーデスクには何と日本人の方もいました。

  • ホテルの横を抜けると。。。

    ホテルの横を抜けると。。。

  • 4マイルビーチに出る。

    4マイルビーチに出る。

  • 天気が悪かったので暗いけど、とにかく広い!そして海に足を入れて歩いてると気持ちいい〜

    天気が悪かったので暗いけど、とにかく広い!そして海に足を入れて歩いてると気持ちいい〜

  • 日本の海よりもミネラルが強い感じの香りがする。気のせいか??

    日本の海よりもミネラルが強い感じの香りがする。気のせいか??

  • 3日目、4日目は、ひたすらグレートバリアリーフに船で向かって潜る。

    3日目、4日目は、ひたすらグレートバリアリーフに船で向かって潜る。

  • 綺麗な海〜♪

    綺麗な海〜♪

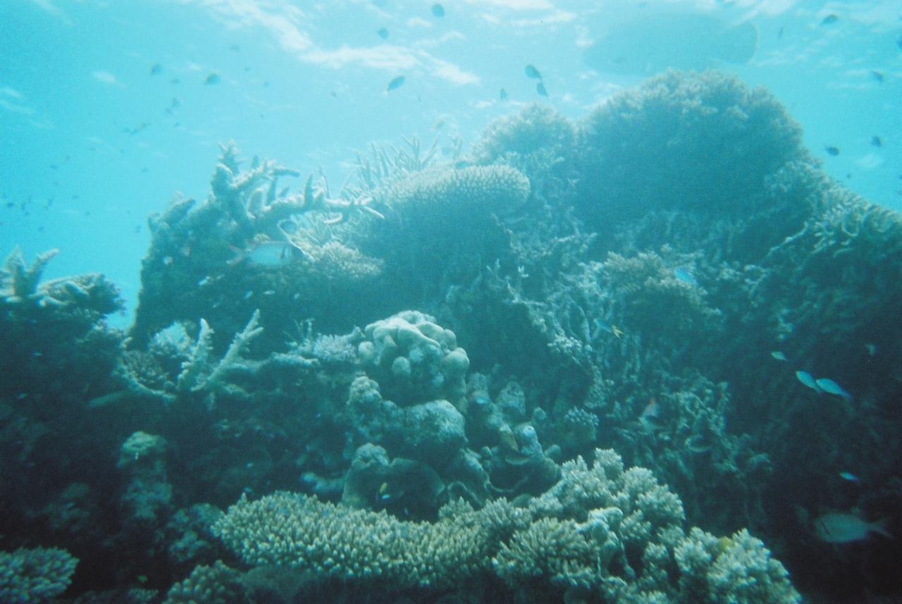
  • 海の中はこんな感じ。フラッシュがないカメラだったので暗く写ってるけど、実物はこれより何十倍も感動的な光景。

    海の中はこんな感じ。フラッシュがないカメラだったので暗く写ってるけど、実物はこれより何十倍も感動的な光景。

  • この大きな貝は、触るとびくっと閉じる。いわゆる定番物みたい。

    この大きな貝は、触るとびくっと閉じる。いわゆる定番物みたい。

  • 岩みたいな魚もいたり。

    岩みたいな魚もいたり。

  • イソギンチャクの中には、ニモ。あの映画はグレートバリアリーフが舞台だから、これがほんとのニモだ!!

    イソギンチャクの中には、ニモ。あの映画はグレートバリアリーフが舞台だから、これがほんとのニモだ!!

  • 大きなハゼも触り放題。写っているのはインストラクターさん。

    大きなハゼも触り放題。写っているのはインストラクターさん。

  • とにかくたくさんの魚たち。

    とにかくたくさんの魚たち。

  • これらのほかにも、写真を撮れなかったけど、ナポレオンフィッシュがたくさんいた。

    これらのほかにも、写真を撮れなかったけど、ナポレオンフィッシュがたくさんいた。

  • 5日目。最終日はケアンズに戻ってDFSに寄ってから空港へ。昼頃の便で日本へ。

    5日目。最終日はケアンズに戻ってDFSに寄ってから空港へ。昼頃の便で日本へ。

  • ケアンズの街なみはこんな感じ。ケアンズを見たのはこのタイミングだけだったけど、日本人はこの街に泊まることが多いみたい。子供連れとかだと空港から近いしいいと思う。ただ、ダイビングを考えるのであれば絶対ポートダグラスの方が断然いい。港も近いし、グレートバリアリーフの中でも北の方に行けて、とにかく最高。またぜひ来たいよ〜♪

    ケアンズの街なみはこんな感じ。ケアンズを見たのはこのタイミングだけだったけど、日本人はこの街に泊まることが多いみたい。子供連れとかだと空港から近いしいいと思う。ただ、ダイビングを考えるのであれば絶対ポートダグラスの方が断然いい。港も近いし、グレートバリアリーフの中でも北の方に行けて、とにかく最高。またぜひ来たいよ〜♪

この旅行記のタグ

関連タグ

0いいね!

利用規約に違反している投稿は、報告する事ができます。 問題のある投稿を連絡する

この旅行記へのコメント (3)

開く

閉じる

  • cyappyさん 2005/10/03 18:35:48
    はじめまして。教えていただきたいのですが。。。
    今年の12月にケアンズ&グリーン島に行く予定なのですが、暁さんの旅行記にあるオーストラリアは入国に時間がかかるとの事、出来れば裏ワザ教えていただけませんか?
    あと12月頃の朝晩は涼しいですか?暑かったですか?
    お忙しいとは思いますが教えてください。m(__)m

    暁

    暁さん からの返信 2005/10/03 21:45:26
    RE: はじめまして。教えていただきたいのですが。。。
    すいません、裏ワザというほどではないのですが、
    入国の時に持ち込み食品ありとなしで並ぶ列が別になります。
    そのとき、持ち込み食品ありの方が列の進みが早い場合があるので、
    肉とかはダメですが、問題ないお菓子とかをあえて持っていき、
    持ち込み品ありの列に並びます。

    ただ、私が行った時は上の方法で早く出れたのですが、
    後で聞いたところによると、どちらの列の進みが早いかはその時によるみたいなので、
    あまり参考にならないワザみたいです。ごめんなさい。。。

    12月のケアンズは現地の夏なので寒くないですよ。
    ただ、雨の季節みたいなんで、時々降られたりするので、
    その対策はしておいた方がいいと思います。

    ケアンズ私も大好きで2回ほど行きました。
    また近いうちに行こうと思ってます。
    cyappyさんも旅行楽しんできてくださいね〜!!

    cyappy

    cyappyさん からの返信 2005/10/04 17:03:54
    裏ワザ
    そうでしたか!
    列の具合を見てやってみますよ♪
    初めて行くので何事も楽しんで来たいと思います
    お早いお返事ありがとうございました!

暁さんのトラベラーページ

コメントを投稿する前に

十分に確認の上、ご投稿ください。 コメントの内容は攻撃的ではなく、相手の気持ちに寄り添ったものになっていますか?

サイト共通ガイドライン(利用上のお願い)

報道機関・マスメディアの方へ 画像提供などに関するお問い合わせは、専用のお問い合わせフォームからお願いいたします。

旅の計画・記録

マイルに交換できるフォートラベルポイントが貯まる
フォートラベルポイントって?

オーストラリアで使うWi-Fiはレンタルしましたか?

フォートラベル GLOBAL WiFiなら
オーストラリア最安 305円/日~

  • 空港で受取・返却可能
  • お得なポイントがたまる

オーストラリアの料金プランを見る

フォートラベル公式LINE@

おすすめの旅行記や旬な旅行情報、お得なキャンペーン情報をお届けします!
QRコードが読み取れない場合はID「@4travel」で検索してください。

\その他の公式SNSはこちら/

タグから海外旅行記(ブログ)を探す

PAGE TOP