慶良間諸島旅行記(ブログ) 一覧に戻る
この日も、安室島へ渡りました。<br />天気は雨こそ降っていないものの、生憎の曇天。<br />安室島の海況は、昨日より波が立っていなく穏やかでした。<br />日が差さないため、午前中は海から上がると少し肌寒かったです。<br />それでも、この日は、めったに見られない海中生物を目の当たりにして大満足の一日でした。

2023 慶良間の旅 2日目

15いいね!

2023/09/08 - 2023/09/09

800位(同エリア1667件中)

0

26

昌蔵さん

この日も、安室島へ渡りました。
天気は雨こそ降っていないものの、生憎の曇天。
安室島の海況は、昨日より波が立っていなく穏やかでした。
日が差さないため、午前中は海から上がると少し肌寒かったです。
それでも、この日は、めったに見られない海中生物を目の当たりにして大満足の一日でした。

旅行の満足度
5.0
観光
5.0
ホテル
2.5
グルメ
3.5
同行者
一人旅
一人あたり費用
5万円 - 10万円
交通手段
ANAグループ
  • 今日も無人島渡しで安室島へ。<br />見事な曇天。中々、快晴の青空、青い海・・・とは行かない。<br />天気については、どうしようもない。

    今日も無人島渡しで安室島へ。
    見事な曇天。中々、快晴の青空、青い海・・・とは行かない。
    天気については、どうしようもない。

  • 安室島が見えてきた。<br />曇天だけど、昨日より風が弱く、海面は穏やかなように見えた。

    安室島が見えてきた。
    曇天だけど、昨日より風が弱く、海面は穏やかなように見えた。

  • 安室島に上陸し、浜辺の松の木の下に荷物を置く。<br />フィン付けて、早速海中へ。<br />潜ってすぐの岩場でクモウツボ出現。

    安室島に上陸し、浜辺の松の木の下に荷物を置く。
    フィン付けて、早速海中へ。
    潜ってすぐの岩場でクモウツボ出現。

  • 個人的にお気に入りのスポットに行ってみる。<br />ちょうど、昨日も会った、カスミアジの群れ feat ウミヘビに遭遇する。<br />

    個人的にお気に入りのスポットに行ってみる。
    ちょうど、昨日も会った、カスミアジの群れ feat ウミヘビに遭遇する。

  • 潜って近寄ってみる。<br />カスミアジは逃げる素振りも無く、結構接近して撮ることが出来た。<br />体長40~50cmで銀と蛍光色青と黄色の体色が鮮やか。結構な迫力。

    潜って近寄ってみる。
    カスミアジは逃げる素振りも無く、結構接近して撮ることが出来た。
    体長40~50cmで銀と蛍光色青と黄色の体色が鮮やか。結構な迫力。

  • そして、このカスミアジの群れの中にデカいウミヘビが3匹混じっている。<br />ウミヘビも、2m近くの大型。<br />何でカスミアジの群れに混じっているのかわからない。<br />カスミアジと共生することで何かしらメリットがあるんだろうか?

    そして、このカスミアジの群れの中にデカいウミヘビが3匹混じっている。
    ウミヘビも、2m近くの大型。
    何でカスミアジの群れに混じっているのかわからない。
    カスミアジと共生することで何かしらメリットがあるんだろうか?

  • このカスミアジの群れ feat ウミヘビ3匹は、回遊して定期的にこのスポットにやってきた。<br />カスミアジの泳ぐスピードについて行けず、ギリギリ息続く限り潜って撮った。

    このカスミアジの群れ feat ウミヘビ3匹は、回遊して定期的にこのスポットにやってきた。
    カスミアジの泳ぐスピードについて行けず、ギリギリ息続く限り潜って撮った。

  • 今日は曇天だけど、昨日より波立ってないので透明度はそこそこ。<br />少し沖の方へ出て、水中で宙返りしながら撮ってみた。

    今日は曇天だけど、昨日より波立ってないので透明度はそこそこ。
    少し沖の方へ出て、水中で宙返りしながら撮ってみた。

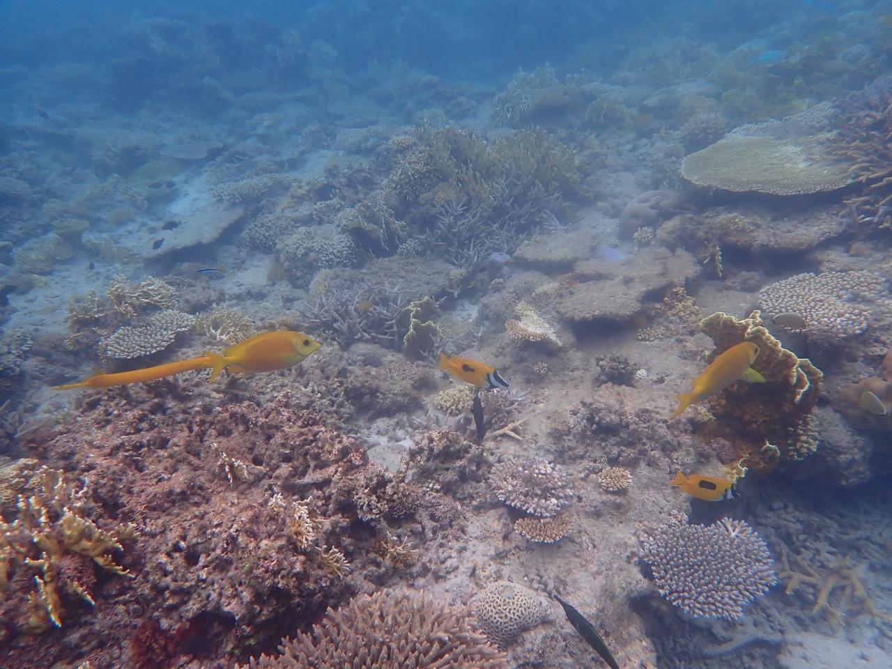
  • イエローブラザーズ。どうして、黄色同士まとまっているんだろう?

    イエローブラザーズ。どうして、黄色同士まとまっているんだろう?

  • 12:00頃、一旦、浜に上がる。<br />亜熱帯と言えど曇天のため、少し風が吹くと、濡れた体にとっては寒い。<br />昼食後、ウミガメを見たくなったので北側エリアに向かう。<br />案の定、藻場に小さめのウミガメ発見。

    12:00頃、一旦、浜に上がる。
    亜熱帯と言えど曇天のため、少し風が吹くと、濡れた体にとっては寒い。
    昼食後、ウミガメを見たくなったので北側エリアに向かう。
    案の定、藻場に小さめのウミガメ発見。

  • ゆっくり、ゆったり泳いでいる所を撮る。<br />やっぱり、ウミガメは写真映えする。

    ゆっくり、ゆったり泳いでいる所を撮る。
    やっぱり、ウミガメは写真映えする。

  • しきりに藻を食べている。<br />確実にとは言えないけど、ウミガメを見たい場合、こういう、サンゴの無い地味な藻場に行くと高確率で遭遇できる。

    しきりに藻を食べている。
    確実にとは言えないけど、ウミガメを見たい場合、こういう、サンゴの無い地味な藻場に行くと高確率で遭遇できる。

  • 何枚か撮らせてもらって、さようなら。元気でな。<br />再び、南側エリアに向かう。

    何枚か撮らせてもらって、さようなら。元気でな。
    再び、南側エリアに向かう。

  • 南側エリアに戻って、シコクスズメダイの群れを撮る。<br />サンゴと良く似合う。

    南側エリアに戻って、シコクスズメダイの群れを撮る。
    サンゴと良く似合う。

  • 少し沖の方へ行って、デバスズメダイを撮る。<br />慶良間ブルーで、色とりどりの魚たちでキレイなんだけど・・・<br />・・・正直、何だか、マンネリ感というか、そういうものを感じ始める。

    少し沖の方へ行って、デバスズメダイを撮る。
    慶良間ブルーで、色とりどりの魚たちでキレイなんだけど・・・
    ・・・正直、何だか、マンネリ感というか、そういうものを感じ始める。

  • 珍しいレアな魚とか出現しないかな~。<br />何かちょっと退屈だなー、などと思ってきた。<br />退屈凌ぎに近くを泳いでいた、小型のキヘリモンガラを撮ってみる。

    珍しいレアな魚とか出現しないかな~。
    何かちょっと退屈だなー、などと思ってきた。
    退屈凌ぎに近くを泳いでいた、小型のキヘリモンガラを撮ってみる。

  • キヘリモンガラ撮った直後くらいだった。<br />何だか、変わった姿形のモノがこっちに近づいてくる。<br />シャープな体型、サメ?

    キヘリモンガラ撮った直後くらいだった。
    何だか、変わった姿形のモノがこっちに近づいてくる。
    シャープな体型、サメ?

  • おぉっ、ホワイトチップシャーク(ネムリブカ)!!<br />実は、去年から安室島に渡り続けていた理由の一つが、このサメを撮るため。<br />やっと会えた。<br />ネムリブカ自体は、さほど珍しいモノでも無いのだけど、自分にとって、はっきりとしたサメの姿を撮ったのは、これが初めてなので興奮した。

    おぉっ、ホワイトチップシャーク(ネムリブカ)!!
    実は、去年から安室島に渡り続けていた理由の一つが、このサメを撮るため。
    やっと会えた。
    ネムリブカ自体は、さほど珍しいモノでも無いのだけど、自分にとって、はっきりとしたサメの姿を撮ったのは、これが初めてなので興奮した。

  • そして、ホワイトチップシャークの後ろをつけ狙うように泳ぐ大型魚一匹。<br />GT(ロウニンアジ) !!<br />これもレア。シュノーケリング中に撮れることなんて、ほとんど無いはず。<br />(有ったらスミマセン)<br /><br />

    そして、ホワイトチップシャークの後ろをつけ狙うように泳ぐ大型魚一匹。
    GT(ロウニンアジ) !!
    これもレア。シュノーケリング中に撮れることなんて、ほとんど無いはず。
    (有ったらスミマセン)

  • 興奮して夢中でシャッターを切っていたため、尻尾が見切れている写真になってしまった。<br />それでも、大きい銀色の体型と大きい口がくっきり撮れた。<br />体長は50~60cmくらい?

    興奮して夢中でシャッターを切っていたため、尻尾が見切れている写真になってしまった。
    それでも、大きい銀色の体型と大きい口がくっきり撮れた。
    体長は50~60cmくらい?

  • GT(ロウニンアジ)は、ホワイトチップシャークの後を追って泳いでいた。<br />隙あらば、ホワイトチップシャークを襲おうと狙っているのだろうか?<br />それとも、さっきのカスミアジ群れ feat ウミヘビ3匹と同じく、何か共生関係にあるのだろうか?<br />

    GT(ロウニンアジ)は、ホワイトチップシャークの後を追って泳いでいた。
    隙あらば、ホワイトチップシャークを襲おうと狙っているのだろうか?
    それとも、さっきのカスミアジ群れ feat ウミヘビ3匹と同じく、何か共生関係にあるのだろうか?

  • 迎えの船が来る時間が迫ってきたので浜に上がる。<br />午後遅くになって晴れてきた。<br />一気に夏の無人島、という雰囲気になった。(既に9月中旬になろうとしているが)<br />

    迎えの船が来る時間が迫ってきたので浜に上がる。
    午後遅くになって晴れてきた。
    一気に夏の無人島、という雰囲気になった。(既に9月中旬になろうとしているが)

  • 16:00に迎えの船が来た。<br />今日は、ホワイトチップシャークといい、GTといい、レアな海中生物を見ることが出来て、大満足だった。

    16:00に迎えの船が来た。
    今日は、ホワイトチップシャークといい、GTといい、レアな海中生物を見ることが出来て、大満足だった。

  • 16:00過ぎに座間味島に戻る。<br />洗濯・道具手入れの後、ジュースを飲むために105ストアに向かう。

    16:00過ぎに座間味島に戻る。
    洗濯・道具手入れの後、ジュースを飲むために105ストアに向かう。

  • 105ストアで、アルコール入りジュース調達。オリオン レモンティー風味サワー。<br />店前のベンチでチビチビと味わっていた。

    105ストアで、アルコール入りジュース調達。オリオン レモンティー風味サワー。
    店前のベンチでチビチビと味わっていた。

    105ストアー スーパー・コンビニ・量販店

  • 店先ベンチでアルコール入りジュース飲みながら、今日の海中写真見ながら、悦に浸っていた。<br />空にはウロコ雲。夕方に吹く風も何だか涼しいような。<br />座間味にも秋が来ているんだな、と思った。

    店先ベンチでアルコール入りジュース飲みながら、今日の海中写真見ながら、悦に浸っていた。
    空にはウロコ雲。夕方に吹く風も何だか涼しいような。
    座間味にも秋が来ているんだな、と思った。

    105ストアー スーパー・コンビニ・量販店

15いいね!

利用規約に違反している投稿は、報告する事ができます。 問題のある投稿を連絡する

コメントを投稿する前に

十分に確認の上、ご投稿ください。 コメントの内容は攻撃的ではなく、相手の気持ちに寄り添ったものになっていますか?

サイト共通ガイドライン(利用上のお願い)

報道機関・マスメディアの方へ 画像提供などに関するお問い合わせは、専用のお問い合わせフォームからお願いいたします。

この旅行で行ったスポット

旅の計画・記録

マイルに交換できるフォートラベルポイントが貯まる
フォートラベルポイントって?

フォートラベル公式LINE@

おすすめの旅行記や旬な旅行情報、お得なキャンペーン情報をお届けします!
QRコードが読み取れない場合はID「@4travel」で検索してください。

\その他の公式SNSはこちら/

この旅行記の地図

拡大する

価格.com旅行・トラベルホテル・旅館を比較

PAGE TOP