竹富島旅行記(ブログ) 一覧に戻る
石垣島以外のシュノーケル高波で全滅。午前中は海を楽しみ昼から竹富島。素敵なカフェで出会ったマイキー。猫が続きますが、好きなもんで…ご容赦下さい(^^;。詰め込み過ぎて家着いた時にはゾンビの様にフラフラなりました。石垣島弾丸3日間の最終日の様子です。

石垣シュノーケル後竹富島 猫に夢中な最終日

85いいね!

2020/11/01 - 2020/11/01

61位(同エリア1309件中)

4

67

kichi

kichiさん

石垣島以外のシュノーケル高波で全滅。午前中は海を楽しみ昼から竹富島。素敵なカフェで出会ったマイキー。猫が続きますが、好きなもんで…ご容赦下さい(^^;。詰め込み過ぎて家着いた時にはゾンビの様にフラフラなりました。石垣島弾丸3日間の最終日の様子です。

旅行の満足度
5.0
観光
5.0
ホテル
2.5
グルメ
5.0
交通
3.0
同行者
カップル・夫婦
一人あたり費用
3万円 - 5万円
交通手段
高速・路線バス 自転車 Peach
旅行の手配内容
個別手配
利用旅行会社
一休.com
  • 最終日。アートホテル石垣島で朝ご飯。Gotoで朝食付きふたりで1万ちょい+クーポン3千円。どんだけ食う(*_*)

    最終日。アートホテル石垣島で朝ご飯。Gotoで朝食付きふたりで1万ちょい+クーポン3千円。どんだけ食う(*_*)

  • 石垣島ツアーで青の洞窟&シュノーケルでしたが。青の洞窟が台風影響でボツ。他の客ピックアップでANAコンチネンタル。待ち時間あるからお散歩どうぞ~って言われたけど…

    石垣島ツアーで青の洞窟&シュノーケルでしたが。青の洞窟が台風影響でボツ。他の客ピックアップでANAコンチネンタル。待ち時間あるからお散歩どうぞ~って言われたけど…

  • 挙動不審に歩く。チャイナシー、アートホテルとの違いが半端ない。素敵な場所でした。のんびりホテルステイの時にまた来ます(^-^)

    挙動不審に歩く。チャイナシー、アートホテルとの違いが半端ない。素敵な場所でした。のんびりホテルステイの時にまた来ます(^-^)

  • 他の離島海ツアーがほぼ全滅なので、石垣島周辺シュノーケルに予約殺到。私達も離島ツアーが中止なので急遽半日お願いした次第。

    他の離島海ツアーがほぼ全滅なので、石垣島周辺シュノーケルに予約殺到。私達も離島ツアーが中止なので急遽半日お願いした次第。

  • ギリギリ迄どこのポイントにするかスタッフ同士連絡をとり続けてた様。浅瀬を歩き泳いで行ける所。場所は…忘れた(笑)石垣市街地は近くだと思う。皆それぞれウェットスーツ来ていざ海へ。

    ギリギリ迄どこのポイントにするかスタッフ同士連絡をとり続けてた様。浅瀬を歩き泳いで行ける所。場所は…忘れた(笑)石垣市街地は近くだと思う。皆それぞれウェットスーツ来ていざ海へ。

  • これ見てどこの海岸か判る方いらっしゃるでしょうか……毎度ええ加減な奴でごめんなさい。

    これ見てどこの海岸か判る方いらっしゃるでしょうか……毎度ええ加減な奴でごめんなさい。

  • シュノーケル開始

    シュノーケル開始

  • 深くなったり浅くなったりを繰り返し、久々の海という事もあり…なんと。開始20分程で足がつるというカッコ悪い事態。先導のスタッフさんに即報告。これにつかまってください~と渡された。

    深くなったり浅くなったりを繰り返し、久々の海という事もあり…なんと。開始20分程で足がつるというカッコ悪い事態。先導のスタッフさんに即報告。これにつかまってください~と渡された。

  • 急遽浮き輪専属人…写真撮りますよ~、こっち見て~♪必死。旦那はただ呆れるばかり。

    急遽浮き輪専属人…写真撮りますよ~、こっち見て~♪必死。旦那はただ呆れるばかり。

  • ヒトデWith足つり人。痛てて!が続き足先を引っ張りながら何とか楽しもうと努力中。

    ヒトデWith足つり人。痛てて!が続き足先を引っ張りながら何とか楽しもうと努力中。

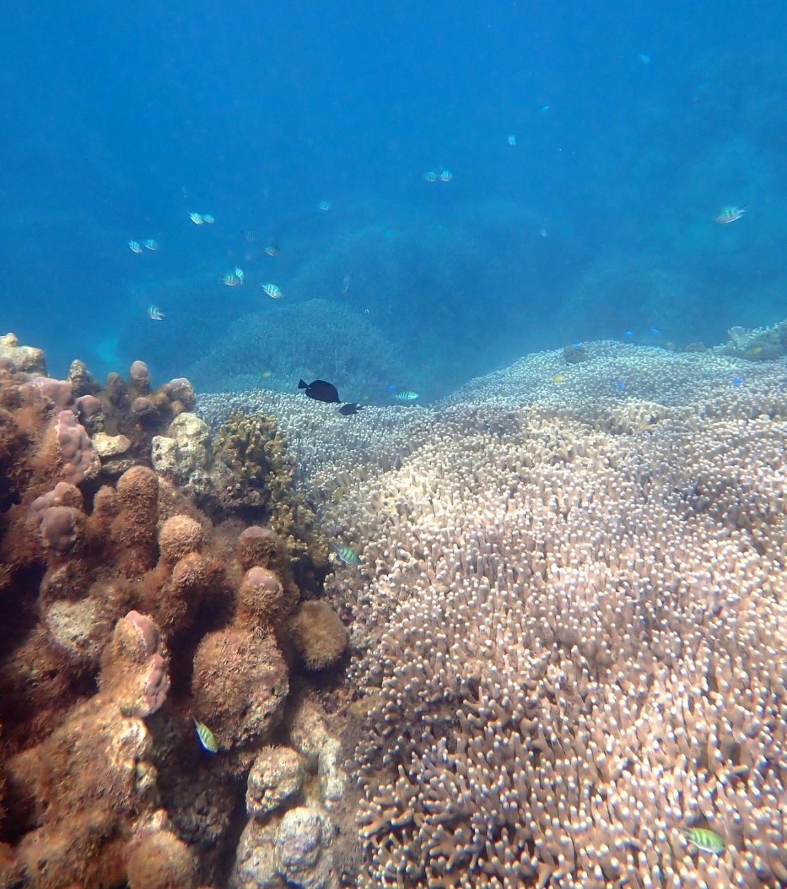
  • 旦那が水中カメラで撮った写真を何枚か。

    旦那が水中カメラで撮った写真を何枚か。

  • 旦那撮影

    旦那撮影

  • この辺からプツっと途切れる。足つり人の介抱…。ほんと申し訳ない。後はpipi石垣島さんからのありがたい画像です(^^;

    この辺からプツっと途切れる。足つり人の介抱…。ほんと申し訳ない。後はpipi石垣島さんからのありがたい画像です(^^;

  • この辺から大丈夫になった。水中で見た記憶あり。

    この辺から大丈夫になった。水中で見た記憶あり。

  • 炭のような…ナマコ!違ったらごめんなさい

    炭のような…ナマコ!違ったらごめんなさい

  • 後半は巻き返すようにシュノーケルを楽しめた。波が高く普段より魚が少ないかも…との事でしたが。

    後半は巻き返すようにシュノーケルを楽しめた。波が高く普段より魚が少ないかも…との事でしたが。

  • ツアー参加者、皆さんが大満足の内容でした!通常11時チェックアウトを予め12時にして貰ってたけど。既にギリギリ。ヤバいな(汗)ホテルへ電話。

    ツアー参加者、皆さんが大満足の内容でした!通常11時チェックアウトを予め12時にして貰ってたけど。既にギリギリ。ヤバいな(汗)ホテルへ電話。

  • Gotoでめちゃ混み、これ以上の延長は絶対無理言われてた。が、ありがたい事に一休ダイヤモンド(何でか知らんけど勝手になってた)のお陰なのか??13時迄目一杯でチェックアウトOK。延長料金はきっちり払いましたよ。2時間分4千円…

    Gotoでめちゃ混み、これ以上の延長は絶対無理言われてた。が、ありがたい事に一休ダイヤモンド(何でか知らんけど勝手になってた)のお陰なのか??13時迄目一杯でチェックアウトOK。延長料金はきっちり払いましたよ。2時間分4千円…

  • 竹富島行く前昼御飯。ここにしますマルハ鮮魚。離島ターミナルすぐ。

    竹富島行く前昼御飯。ここにしますマルハ鮮魚。離島ターミナルすぐ。

  • 天ぷらもマグロも500円。ここのおかあさん良い!

    天ぷらもマグロも500円。ここのおかあさん良い!

  • 午前中の失態を旦那に謝りながらの昼食。気になる貼り紙。おかあさんに聞けずじまい。

    午前中の失態を旦那に謝りながらの昼食。気になる貼り紙。おかあさんに聞けずじまい。

  • 離島ターミナル内で購入。竹富島へのフェリーでロールサンドイッチ。感染症対策で飲食は船上でしかできません。

    離島ターミナル内で購入。竹富島へのフェリーでロールサンドイッチ。感染症対策で飲食は船上でしかできません。

  • 船上からの景色。釣りを楽しむ人達、後ろに見えるはホテルイーストチャイナシー。1泊目に宿泊。ここ良かった。超便利だし安い♪

    船上からの景色。釣りを楽しむ人達、後ろに見えるはホテルイーストチャイナシー。1泊目に宿泊。ここ良かった。超便利だし安い♪

  • 竹富島到着。バス移動後。宜しくお願いします!

    竹富島到着。バス移動後。宜しくお願いします!

  • あ、受付所にこんなんありました。思い出と共にどうでしょうか。

    あ、受付所にこんなんありました。思い出と共にどうでしょうか。

  • 島唄聴きながら。

    島唄聴きながら。

  • のんびり時間。贅沢だなぁ。

    のんびり時間。贅沢だなぁ。

  • 案内してくれた牛。名前は忘れたけど感謝。あご、ななめ。

    案内してくれた牛。名前は忘れたけど感謝。あご、ななめ。

  • チャリンコ借りに歩く。

    チャリンコ借りに歩く。

  • 両親指突き上げ型シーサーをよく見かけた。

    両親指突き上げ型シーサーをよく見かけた。

  • ファットバイクレンタル到着。ここは旅行前に旦那がチェック済。砂利道に強そうなチャリが勢揃い。運動音痴な私にはピッタリ。あざす

    ファットバイクレンタル到着。ここは旅行前に旦那がチェック済。砂利道に強そうなチャリが勢揃い。運動音痴な私にはピッタリ。あざす

  • ミネラルウォーターそれぞれ1本サービスで頂き、スタート。

    ミネラルウォーターそれぞれ1本サービスで頂き、スタート。

  • ちょっと分かりにくい場所ではありますが。ファットバイク近く素敵なカフェ発見。

    ちょっと分かりにくい場所ではありますが。ファットバイク近く素敵なカフェ発見。

  • フローズンカリビアンピニャコラーダ選択。

    フローズンカリビアンピニャコラーダ選択。

  • ヤバい、好き…日本人の奥様と多分アメリカ人御主人。kuchu&PARADISECAFE。

    ヤバい、好き…日本人の奥様と多分アメリカ人御主人。kuchu&PARADISECAFE。

  • 一緒に写真も快く撮って頂きありがたい(^-^)カフェスペースもあります。少し覗かせてもらいましたが素敵な空間でした。

    一緒に写真も快く撮って頂きありがたい(^-^)カフェスペースもあります。少し覗かせてもらいましたが素敵な空間でした。

  • ここで看板猫。PARADISECAFEの御主人が名前教えてくれた。多分マイキーだったと思う。

    ここで看板猫。PARADISECAFEの御主人が名前教えてくれた。多分マイキーだったと思う。

  • ついてこい的な感じ

    ついてこい的な感じ

  • もう、ええよ。なででくれても。

    もう、ええよ。なででくれても。

  • よしよし。し続けた結果、満足の大あくび。旅行記表紙に決定。

    よしよし。し続けた結果、満足の大あくび。旅行記表紙に決定。

  • 予想以上に魅了されてしまい大幅な時間をマイキーにさく。急げ!

    予想以上に魅了されてしまい大幅な時間をマイキーにさく。急げ!

  • 忘れるところでした、海。

    忘れるところでした、海。

  • ドローンと過度な泳ぎうぬぼれ禁止だそうです。

    ドローンと過度な泳ぎうぬぼれ禁止だそうです。

  • コンドイビーチ、ありがたい\(^-^)/

    コンドイビーチ、ありがたい\(^-^)/

  • この旅いちばんの海。

    この旅いちばんの海。

  • しかしここにも猫がいます

    しかしここにも猫がいます

  • 海と猫。どっちも好きですが…

    海と猫。どっちも好きですが…

  • 猫に軍配。何しに竹富島~

    猫に軍配。何しに竹富島~

  • 全く起きる気配なし

    全く起きる気配なし

  • 触りたいのを我慢。竹富島、ありがとう\(^-^)/

    触りたいのを我慢。竹富島、ありがとう\(^-^)/

  • また来ます、ほんとに。

    また来ます、ほんとに。

  • チャリンコ返却に急ぐ。ファットバイクの御主人にフェリー乗り場迄送ってもらい

    チャリンコ返却に急ぐ。ファットバイクの御主人にフェリー乗り場迄送ってもらい

  • 入島券購入。役に立てばいいな。

    入島券購入。役に立てばいいな。

  • これから石垣島行かれる方、11月からの時刻表があったので参考までに。

    これから石垣島行かれる方、11月からの時刻表があったので参考までに。

  • 飛行機の時間まで少し余裕あるので最後の散歩

    飛行機の時間まで少し余裕あるので最後の散歩

  • ユンケル自販機、これを飲んだら疲れきった身体が元気になるかも……いや、やめとこ。

    ユンケル自販機、これを飲んだら疲れきった身体が元気になるかも……いや、やめとこ。

  • ここでちょっと休憩、白熊商店。離島ターミナル近くだったと思う

    ここでちょっと休憩、白熊商店。離島ターミナル近くだったと思う

  • 疲れすぎて呑めないという珍現象(*_*)お互い一杯ずつと刺身や串を食べる。

    疲れすぎて呑めないという珍現象(*_*)お互い一杯ずつと刺身や串を食べる。

  • 初日夜に出会った猫と偶然再会。よしよし撫でて、また来るよ~で撮影。

    初日夜に出会った猫と偶然再会。よしよし撫でて、また来るよ~で撮影。

  • クーポン消費の為ユーグレナモール。今回合計6千円分。

    クーポン消費の為ユーグレナモール。今回合計6千円分。

  • 空港へむかうタクシーからの1枚。19時半Peachに乗り

    空港へむかうタクシーからの1枚。19時半Peachに乗り

  • 関空22時前着。OCAT迄のリムジンバスほぼ貸し切りでした。

    関空22時前着。OCAT迄のリムジンバスほぼ貸し切りでした。

  • 無事に家帰ると、疲れすぎて逆に寝れないというおかしな状況に。3日間、本当に心から楽しんだ石垣島。また必ず行く!最後までありがとうございました(^-^)

    無事に家帰ると、疲れすぎて逆に寝れないというおかしな状況に。3日間、本当に心から楽しんだ石垣島。また必ず行く!最後までありがとうございました(^-^)

85いいね!

利用規約に違反している投稿は、報告する事ができます。 問題のある投稿を連絡する

この旅行記へのコメント (4)

開く

閉じる

  • トットさん 2020/12/04 10:54:00
    見事な大あくび
    kichiさんおはよう御座います。

    にゃんこ余程気持ちが良かったんですね。
    「千鳥」のノブなら、こいつ大あくびじゃ。
    海中の写真も良かったです。

    トット

    kichi

    kichiさん からの返信 2020/12/04 18:07:30
    Re: 見事な大あくび
    トットさん、こんばんは。

    沖縄猫はなんとも皆ユルいです。
    来る者拒まず去る者追わず、
    自然体でのんびり、こちらもつい時間を忘れて魅了されました。

    動物お好きなのですね♪
    よく拝見してますが特に広島弁炸裂のレッサーパンダ旅行記が好きであります(^-^)
    山口県出身なので馴染み深いです。

    コメントありがとうございました、
    またこちらも伺います(^-^)

  • yumikenさん 2020/11/11 09:02:53
    いつもながらパワフル~!(^^)!
    kichiお姉さん、おはようございます('◇')ゞ

    いつもながらアクティブにパワフルな旅行記(^O^)
    初日のレゲイ?のバーは私絶対に私・・入れないです(笑)
    雰囲気がなんかちょっと恐いです・・改めてやっぱりkichiお姉さん凄いと(^^;
    鍾乳洞?洞窟もコウモリとかゲジゲジとか・・でも鍾乳石とか綺麗なのでしょうね!
    最終日の表紙のネコちゃん♪グッドタイミングですよね~(^O^)
    題名の通り本当に満喫の弾丸旅行、楽しく拝見させて頂きました\(^o^)/

    あっ!足のこむら返り・・カルシュウム取って下さいねぇ~♪
    ビールのつまみに・・ちりめん(^^)v ニシシ・・

    またお邪魔しま~す('◇')ゞ

    yumiken

    kichi

    kichiさん からの返信 2020/11/11 13:24:54
    Re: いつもながらパワフル~!(^^)!
    こんにちわ
    yumikenさんいつもありがとう(^-^)

    3日間…実質2日しかない感じで。
    大学生みたいな弾丸旅行を実行、
    年甲斐もなく遊び倒すのもたまには良いもんです♪

    大阪でもそうなんですが。
    小箱で汚く?入りにくい店ほど、
    めちゃくちゃ人が良かったり、
    旨いつまみや珍しい酒を置いてたりするような気がするんです(^-^)
    つい最近ミナミの某高級有名焼鳥に行ったけど…う~ん(*_*)て感じ。
    旨い立呑屋3軒はしごしときゃよかったと思っちゃいました。
    単に味バカ、味覚音痴な奴かも(笑)

    西表島に竹富島。良いとこです、
    石垣島シュノーケリングで足つった時にはどうしよ!と動揺。
    おかしいなぁ、ホテルの朝バイキングでじゃこ食べたのに笑

    美味しそうなもの食べてる旅行記、
    いつも拝見させて貰ってますよ~
    フラワーパークの写真、素敵♪♪

    ではまた(^-^)


kichiさんのトラベラーページ

コメントを投稿する前に

十分に確認の上、ご投稿ください。 コメントの内容は攻撃的ではなく、相手の気持ちに寄り添ったものになっていますか?

サイト共通ガイドライン(利用上のお願い)

報道機関・マスメディアの方へ 画像提供などに関するお問い合わせは、専用のお問い合わせフォームからお願いいたします。

旅の計画・記録

マイルに交換できるフォートラベルポイントが貯まる
フォートラベルポイントって?

フォートラベル公式LINE@

おすすめの旅行記や旬な旅行情報、お得なキャンペーン情報をお届けします!
QRコードが読み取れない場合はID「@4travel」で検索してください。

\その他の公式SNSはこちら/

価格.com旅行・トラベルホテル・旅館を比較

PAGE TOP