沖縄旅行記(ブログ) 一覧に戻る
台風22号の心配がありましたが、最高の宮古ブルーを見ることができました!

ともだち旅 3日間☆念願の宮古ブルー☆

38いいね!

2016/10/23 - 2016/10/25

8336位(同エリア50166件中)

1

108

とらべるこ

とらべるこさん

台風22号の心配がありましたが、最高の宮古ブルーを見ることができました!

  • 関空7:50発の宮古島行き直行便に乗る為に、3時起きで出発<br />

    関空7:50発の宮古島行き直行便に乗る為に、3時起きで出発

  • 直行便です。<br />喋って寝て起きたら宮古島がみえてきました<br />

    直行便です。
    喋って寝て起きたら宮古島がみえてきました

  • 10:20着<br />ん?<br />ちょっと蒸し暑いかも<br /><br />レンタカーを借りたら伊良部島へ。<br />途中の島の駅みやこで、マグロバーガをお昼ご飯に買いたかったのに売ってる気配がない。。<br />お腹すいたー

    10:20着
    ん?
    ちょっと蒸し暑いかも

    レンタカーを借りたら伊良部島へ。
    途中の島の駅みやこで、マグロバーガをお昼ご飯に買いたかったのに売ってる気配がない。。
    お腹すいたー

  • やってきました伊良部大橋<br />天気が良すぎて海の色がすごい<br />テンションあがりまくりです<br />

    やってきました伊良部大橋
    天気が良すぎて海の色がすごい
    テンションあがりまくりです

  • 伊良部大橋の側にある売店の屋上から

    伊良部大橋の側にある売店の屋上から

  • 伊良部大橋の右手にあるビーチ。

    伊良部大橋の右手にあるビーチ。

  • 橋の途中にある駐車スペースに停めて撮影大会

    橋の途中にある駐車スペースに停めて撮影大会

  • 強風で、髪の毛散らかります

    強風で、髪の毛散らかります

  • 島のスーパーで、ジューシーと魚のてんぷらを調達

    島のスーパーで、ジューシーと魚のてんぷらを調達

  • なんか車が多いなぁーと立ち寄った所が、佐和田の浜。<br />綺麗!<br />予定になかったのにラッキー。<br />

    なんか車が多いなぁーと立ち寄った所が、佐和田の浜。
    綺麗!
    予定になかったのにラッキー。

  • 駐車場のすぐ横から綺麗な海が見れるなんて。

    駐車場のすぐ横から綺麗な海が見れるなんて。

  • サイコー!

    サイコー!

  • 少し車を走らせるとまたまたいい場所が。

    少し車を走らせるとまたまたいい場所が。

  • 海の中はいりたい!<br />この色どうなってるの??

    海の中はいりたい!
    この色どうなってるの??

  • きてよかったねぇ~

    きてよかったねぇ~

  • 下地空港沿いの海<br />

    下地空港沿いの海

  • 決まってるよ!

    決まってるよ!

  • 気持ちいい~

    気持ちいい~

  • 通り池みにいくよー<br />結構歩くね。汗だくだく

    通り池みにいくよー
    結構歩くね。汗だくだく

  • 上からみても良さがわからない…<br />今度は潜ってみよう

    上からみても良さがわからない…
    今度は潜ってみよう

  • 中の島海岸にやってきました。<br />もう暑くて我慢できない!<br />はやくはやく

    中の島海岸にやってきました。
    もう暑くて我慢できない!
    はやくはやく

  • 水着に着替えていざ!

    水着に着替えていざ!

  • ここもきれいー<br />はやる気持ちを抑えてまずは、曇り止めをぬらなくちゃ

    ここもきれいー
    はやる気持ちを抑えてまずは、曇り止めをぬらなくちゃ

  • しかし、風が強くて波が高い。<br />沖にでたいのに戻されます。

    しかし、風が強くて波が高い。
    沖にでたいのに戻されます。

  • 曇り止めの威力は全く発揮されず。<br />見えないまま水中カメラのシャッターを押しました。<br />結構綺麗だったのかも。

    曇り止めの威力は全く発揮されず。
    見えないまま水中カメラのシャッターを押しました。
    結構綺麗だったのかも。

  • もっと沖にでられたら魚もたくさんいたのかな。

    もっと沖にでられたら魚もたくさんいたのかな。

  • 2人は早々に退散。<br />マリンシューズとグローブいるね

    2人は早々に退散。
    マリンシューズとグローブいるね

  • さあさあ時間がないよ。<br />行きたいビーチは沢山ある。

    さあさあ時間がないよ。
    行きたいビーチは沢山ある。

  • しかし途中で天気が怪しくなってきた。<br />今から行く所に雨予報

    しかし途中で天気が怪しくなってきた。
    今から行く所に雨予報

  • 本日、二ヶ所目のビーチは新城ビーチ。<br />小雨も降っていて肌寒い。<br />どう思います?とスタッフの方に聞いたら、<br />「通り雨だと思います。せっかく来られたんでぜひ泳いでください。ニモもいますから」<br />ですよねー<br />いくよ!みんな!

    本日、二ヶ所目のビーチは新城ビーチ。
    小雨も降っていて肌寒い。
    どう思います?とスタッフの方に聞いたら、
    「通り雨だと思います。せっかく来られたんでぜひ泳いでください。ニモもいますから」
    ですよねー
    いくよ!みんな!

  • 誰もいない。<br />貸切状態

    誰もいない。
    貸切状態

  • 波がないって楽だー

    波がないって楽だー

  • ニモいた!

    ニモいた!

  • カメラ撮影にもなれてきたー

    カメラ撮影にもなれてきたー

  • いいときはもっと色とりどりの珊瑚だったのかなぁ…

    いいときはもっと色とりどりの珊瑚だったのかなぁ…

  • でも、プカプカ浮きながら魚も見ることができて癒される

    でも、プカプカ浮きながら魚も見ることができて癒される

  • もう少し沖に出てみたかったな

    もう少し沖に出てみたかったな

  • 海を満喫した後は体を温めにシギラ黄金温泉へ

    海を満喫した後は体を温めにシギラ黄金温泉へ

  • まずは水着のままジャングルプールへ。<br />あったかくてら気持ちいいー<br />生き返る

    まずは水着のままジャングルプールへ。
    あったかくてら気持ちいいー
    生き返る

  • 夜ご飯は、ホテル近くの屋台村へ。<br />

    夜ご飯は、ホテル近くの屋台村へ。

  • 各自好きな物を食べて、お土産を見ながらぶーらぶら

    各自好きな物を食べて、お土産を見ながらぶーらぶら

  • ライブを見て沖縄気分満喫。<br /><br />ホテルは近くのウェルネスヴィラ ヴリッサ。<br />マンションタイプで洗濯機もありかなり便利。<br />水着を干したら即就寝<br />

    ライブを見て沖縄気分満喫。

    ホテルは近くのウェルネスヴィラ ヴリッサ。
    マンションタイプで洗濯機もありかなり便利。
    水着を干したら即就寝

  • 気持ちいい2日目です。<br />今日は楽しみにしていた八重干瀬でシュノーケル。

    気持ちいい2日目です。
    今日は楽しみにしていた八重干瀬でシュノーケル。

  • ホテルから1時間位で池間島のショップへ。

    ホテルから1時間位で池間島のショップへ。

  • 期待が高まる海の色

    期待が高まる海の色

  • お世話になるショップはカルトマリーヌです。

    お世話になるショップはカルトマリーヌです。

  • 今日は4本のポイントでシュノーケル

    今日は4本のポイントでシュノーケル

  • この時期にしては、珍しい天気らしく波も穏やかで暖かく北風も吹いていないとのこと。

    この時期にしては、珍しい天気らしく波も穏やかで暖かく北風も吹いていないとのこと。

  • さて、いよいよシュノーケル

    さて、いよいよシュノーケル

  • エメラルドグリーンのポイントが見えます

    エメラルドグリーンのポイントが見えます

  • あそこに潜るよー

    あそこに潜るよー

  • 船の上から珊瑚の色がよく見える

    船の上から珊瑚の色がよく見える

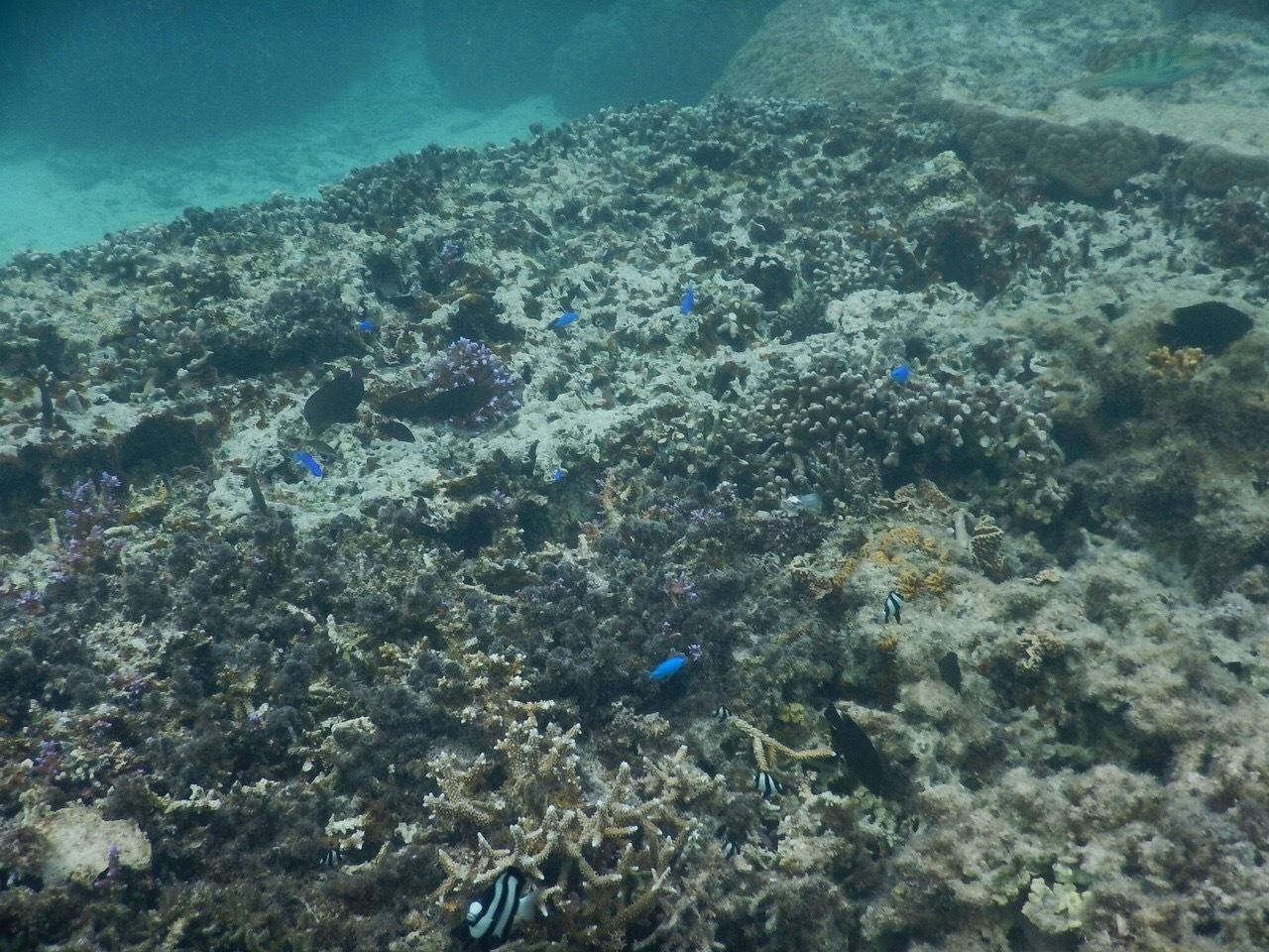
  • おおー<br />珊瑚がびっしり<br />魚の種類も数もたくさん!<br />無我夢中で泳ぎまわりシャッターを押しまくります<br /><br />しばらく水中写真お付き合いくださいませ

    おおー
    珊瑚がびっしり
    魚の種類も数もたくさん!
    無我夢中で泳ぎまわりシャッターを押しまくります

    しばらく水中写真お付き合いくださいませ

  • 最後の最後にウミガメに出会えました!

    最後の最後にウミガメに出会えました!

  • 海からあがってグッタリ。<br />でも心地いいつかれです。

    海からあがってグッタリ。
    でも心地いいつかれです。

  • ショップの方に、景色サイコーです。と紹介され、帰りにここの屋上にやってきました。

    ショップの方に、景色サイコーです。と紹介され、帰りにここの屋上にやってきました。

  • おおー!!<br />そんな声しか出てきません

    おおー!!
    そんな声しか出てきません

  • 無料クーポンがあったのでソフトクリームを食べに寄りました。

    無料クーポンがあったのでソフトクリームを食べに寄りました。

  • 夜ご飯は、情報誌で見つけたここで。

    夜ご飯は、情報誌で見つけたここで。

  • ササっと食べてドン・キホーテへ。<br />サーターアンダギーが美味しかったな。

    ササっと食べてドン・キホーテへ。
    サーターアンダギーが美味しかったな。

  • またまた屋台村に寄って買い忘れたお土産を。<br />そして、カチャーシーに参加

    またまた屋台村に寄って買い忘れたお土産を。
    そして、カチャーシーに参加

  • 今日撮った写真を見てまーす。<br /><br />そして今日も即就寝

    今日撮った写真を見てまーす。

    そして今日も即就寝

  • 今日もいい天気3日目です。<br />お昼には飛行機に乗らないといけないから朝早く動き出します。

    今日もいい天気3日目です。
    お昼には飛行機に乗らないといけないから朝早く動き出します。

  • イムギャーマリンガーデンにやってきました。<br />まだ9時くらいなのに太陽ギラギラです

    イムギャーマリンガーデンにやってきました。
    まだ9時くらいなのに太陽ギラギラです

  • 透明度が高くて魚が肉眼でみられます

    透明度が高くて魚が肉眼でみられます

  • 遊歩道の途中から下を見た風景

    遊歩道の途中から下を見た風景

  • 展望台からの眺めはすごかった…

    展望台からの眺めはすごかった…

  • 来た道を戻ります

    来た道を戻ります

  • 行きも覗いたのに帰りも覗きたくなる風景

    行きも覗いたのに帰りも覗きたくなる風景

  • 東洋一のビーチ<br />前浜ビーチです

    東洋一のビーチ
    前浜ビーチです

  • 私達以外には一組だけ。<br />

    私達以外には一組だけ。

  • 思わず走りだすよね

    思わず走りだすよね

  • そして来間大橋を渡ります

    そして来間大橋を渡ります

  • お昼ご飯目当て出来たけれどまだまだ早いので、どこかいいとこないかなーとドライブ。<br />あっここ行ってみよう!

    お昼ご飯目当て出来たけれどまだまだ早いので、どこかいいとこないかなーとドライブ。
    あっここ行ってみよう!

  • ジャングル道を抜けると…

    ジャングル道を抜けると…

  • 絶景!

    絶景!

  • なにここ!<br />やばい!やばい!<br /><br /><br />とシャッター押しまくります

    なにここ!
    やばい!やばい!


    とシャッター押しまくります

  • 綺麗な海ばっかりみていたら…

    綺麗な海ばっかりみていたら…

  • こけた。<br /><br /><br />滑りやすいので要注意

    こけた。


    滑りやすいので要注意

  • 最後の写真スポット<br />竜宮展望台へ

    最後の写真スポット
    竜宮展望台へ

  • あーここもやばかった…

    あーここもやばかった…

  • 額にいれた絵見たい

    額にいれた絵見たい

  • お昼ご飯を食べに あおぞらパーラーへやってきました

    お昼ご飯を食べに あおぞらパーラーへやってきました

  • 憧れハンモック

    憧れハンモック

  • スムージーの種類がたくさんあり迷います。

    スムージーの種類がたくさんあり迷います。

  • ボリュームたっぷりサンド

    ボリュームたっぷりサンド

  • 宮古島は、飛び立っても風景で楽しませてくれます

    宮古島は、飛び立っても風景で楽しませてくれます

  • まだまだ言ってみたいビーチがたくさん<br />リピートするぞ!

    まだまだ言ってみたいビーチがたくさん
    リピートするぞ!

この旅行記のタグ

38いいね!

利用規約に違反している投稿は、報告する事ができます。 問題のある投稿を連絡する

この旅行記へのコメント (1)

開く

閉じる

  • 南のサンゴ礁さん 2017/08/20 22:12:11
    いいね、どうもありがとうございました
     宮古ブルーは本当に何度見てもいいですね!

    10月に行こうかなと考えてるんですが、ちょっと尋ねてもよろしいでしょうか?

    と言いながら、かって書いちゃいますね、10月の半ばにシュノーケルしてて海水温とかは

    大丈夫なのでしょうか?昨年も企画して直前に台風が来てフライト出来ず断念しました。

    海水温次第では再チャレンジしようと想ってます。よろしければ教えて頂けないでしょうか

    宜しくお願いします。

とらべるこさんのトラベラーページ

コメントを投稿する前に

十分に確認の上、ご投稿ください。 コメントの内容は攻撃的ではなく、相手の気持ちに寄り添ったものになっていますか?

サイト共通ガイドライン(利用上のお願い)

報道機関・マスメディアの方へ 画像提供などに関するお問い合わせは、専用のお問い合わせフォームからお願いいたします。

旅の計画・記録

マイルに交換できるフォートラベルポイントが貯まる
フォートラベルポイントって?

フォートラベル公式LINE@

おすすめの旅行記や旬な旅行情報、お得なキャンペーン情報をお届けします!
QRコードが読み取れない場合はID「@4travel」で検索してください。

\その他の公式SNSはこちら/

タグから国内旅行記(ブログ)を探す

PAGE TOP