宮古島旅行記(ブログ) 一覧に戻る
4日目は吉野海岸と新城海岸でのシュノーケルです!<br />どんな所なのかな~とずっと楽しみにしてました。<br />透明度も高いし、ビーチからすぐにお魚が見れて<br />手軽でとっても楽しかったです!<br />ボートシュノーケルが苦手な人には良いと思いました。<br />

初☆宮古島☆東急リゾートホテル4泊5日夫婦2人旅☆4日目 吉野海岸~新城海岸~池間島

50いいね!

2014/07/16 - 2014/07/20

657位(同エリア4778件中)

0

85

ririko

ririkoさん

4日目は吉野海岸と新城海岸でのシュノーケルです!
どんな所なのかな~とずっと楽しみにしてました。
透明度も高いし、ビーチからすぐにお魚が見れて
手軽でとっても楽しかったです!
ボートシュノーケルが苦手な人には良いと思いました。

旅行の満足度
5.0
同行者
カップル・夫婦
一人あたり費用
15万円 - 20万円
交通手段
ANAグループ スカイマーク
旅行の手配内容
個別手配
  • 4日目<br />おはようございます!<br />今日は楽しみにしてた吉野海岸と新城海岸でのシュノーケルです(^^)

    4日目
    おはようございます!
    今日は楽しみにしてた吉野海岸と新城海岸でのシュノーケルです(^^)

  • 今朝もやえびしにしました。<br />昨日とお魚が違います。

    今朝もやえびしにしました。
    昨日とお魚が違います。

  • 取りに行けば色々あります。毎日違う物がありました。<br />ウインナーの味が私好み。

    取りに行けば色々あります。毎日違う物がありました。
    ウインナーの味が私好み。

  • 今朝のフルーツ!種類は少ないです<br />お腹いっぱい(o^^o)

    今朝のフルーツ!種類は少ないです
    お腹いっぱい(o^^o)

  • 朝の感じも素敵ですね〜

    朝の感じも素敵ですね〜

  • ホテルの中のお土産屋さんで

    ホテルの中のお土産屋さんで

  • 年甲斐も無くミサンガ買いました(^^;;<br />

    年甲斐も無くミサンガ買いました(^^;;

  • そうそう<br />ホテルのフロント撮ってみました。

    そうそう
    ホテルのフロント撮ってみました。

  • ロビーはこんな感じです。<br /><br />さて出かけましょう!<br />

    ロビーはこんな感じです。

    さて出かけましょう!

  • 吉野海岸に来ました!<br />教えてもらった勝っちゃんの駐車場にとめて<br />海岸まで送ってもらいます。

    吉野海岸に来ました!
    教えてもらった勝っちゃんの駐車場にとめて
    海岸まで送ってもらいます。

  • ここで降ろしてもらってレンタルとかする人は<br />ここでするみたいです。<br /><br />

    ここで降ろしてもらってレンタルとかする人は
    ここでするみたいです。

  • 手作りシーサーや

    手作りシーサーや

  • 貝殻など売ってました。

    貝殻など売ってました。

  • 今日も良い天気で夏〜って感じの景色です!

    イチオシ

    今日も良い天気で夏〜って感じの景色です!

  • 海岸におりて来ました<br />これも夏〜って感じで良いな〜

    海岸におりて来ました
    これも夏〜って感じで良いな〜

  • マイシュノーケルグッズ ♪<br />

    マイシュノーケルグッズ ♪

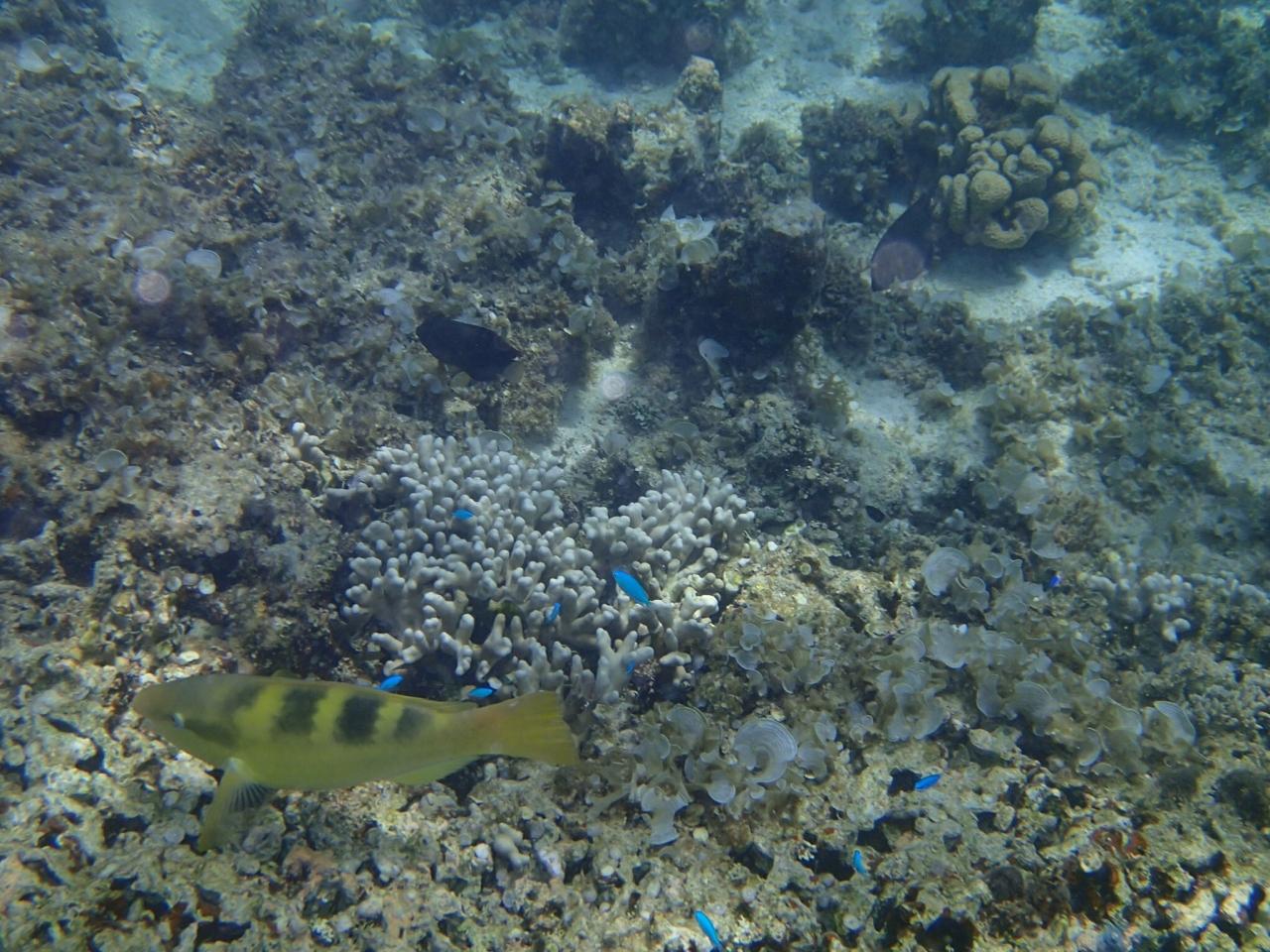
  • めちゃくちゃ綺麗〜♪

    めちゃくちゃ綺麗〜♪

  • またしばらく水中写真にお付き合いください(^^;;

    またしばらく水中写真にお付き合いください(^^;;

  • お魚見えてるかな〜

    お魚見えてるかな〜

  • アップに成功

    イチオシ

    アップに成功

  • 2回目<br />写真の色が違いますね…なんでだろ?

    2回目
    写真の色が違いますね…なんでだろ?

  • 透明度が高くなった感じ

    透明度が高くなった感じ

  • 主人がお魚の大群を発見して教えてくれました。

    主人がお魚の大群を発見して教えてくれました。

  • 大興奮でシャッターきりまくりました(^^)

    イチオシ

    大興奮でシャッターきりまくりました(^^)

  • あ〜興奮した〜♪<br />楽しかった〜♪<br />

    あ〜興奮した〜♪
    楽しかった〜♪

  • 次は新城海岸にやって来ました〜!

    次は新城海岸にやって来ました〜!

  • わーらさんとみよしやさんがあります。<br />わーらさんに行きます。<br />駐車場も無理で申し訳ないです(^^;;

    わーらさんとみよしやさんがあります。
    わーらさんに行きます。
    駐車場も無理で申し訳ないです(^^;;

  • 木漏れ日の道を行くと海に出ます。

    木漏れ日の道を行くと海に出ます。

  • 可愛い〜♪ わーらさんの看板犬 <br />うちのリコちゃんの毛がないタイプ(^^)

    可愛い〜♪ わーらさんの看板犬
    うちのリコちゃんの毛がないタイプ(^^)

  • ここも良さそう〜<br />綺麗〜♪

    ここも良さそう〜
    綺麗〜♪

  • なんかここはあんまりお魚がいないな〜

    なんかここはあんまりお魚がいないな〜

  • みよしやさんの看板犬<br />可愛い〜♪

    みよしやさんの看板犬
    可愛い〜♪

  • お腹が空いたのでご飯食べます<br />わーらさんは飲み物しかないのでみよしやさんに<br />行きます!

    お腹が空いたのでご飯食べます
    わーらさんは飲み物しかないのでみよしやさんに
    行きます!

  • カレーと焼きそば<br />カレーは家庭的なお味で美味しかったです。<br />焼きそばはちょっとぱさってました。

    カレーと焼きそば
    カレーは家庭的なお味で美味しかったです。
    焼きそばはちょっとぱさってました。

  • 2回目

    2回目

  • やっぱりあんまりいないな〜

    やっぱりあんまりいないな〜

  • 綺麗な色のサンゴ発見!<br /><br />これにてシュノーケル終了〜<br />楽しかった〜♪<br /><br /><br />

    綺麗な色のサンゴ発見!

    これにてシュノーケル終了〜
    楽しかった〜♪


  • ホテルに戻ってシャワーして池間島方面に観光に行こうと<br />思ってますが何か雲行きが怪しいです(・・;)

    ホテルに戻ってシャワーして池間島方面に観光に行こうと
    思ってますが何か雲行きが怪しいです(・・;)

  • BBQを予約に来たけど益々雲行きが怪しい<br />でも出かけますよ〜♪<br /><br />

    BBQを予約に来たけど益々雲行きが怪しい
    でも出かけますよ〜♪

  • わぁ〜めちゃ降って来た〜

    わぁ〜めちゃ降って来た〜

  • 少し小降りになってきた

    少し小降りになってきた

  • 止んで晴れてくれないと池間大橋が綺麗に見えへんし〜<br />念力送ります( ^_^)/~~~

    止んで晴れてくれないと池間大橋が綺麗に見えへんし〜
    念力送ります( ^_^)/~~~

  • 念力効果あって晴れてきました。<br />それでよろしい( ^_^)/~~~♪ ルンルン♪

    念力効果あって晴れてきました。
    それでよろしい( ^_^)/~~~♪ ルンルン♪

  • 塩ソフトクリーム食べます!

    塩ソフトクリーム食べます!

  • 色々な塩をつけて食べるそうですが<br />私はそのままで頂きます<br />めちゃめちゃ美味しい〜♪<br />ミルクが濃いくていい感じに塩が効いてて最高〜♪

    色々な塩をつけて食べるそうですが
    私はそのままで頂きます
    めちゃめちゃ美味しい〜♪
    ミルクが濃いくていい感じに塩が効いてて最高〜♪

  • 池間大橋です<br />晴れて綺麗に見れて良かった〜♪<br />

    池間大橋です
    晴れて綺麗に見れて良かった〜♪

  • 橋のすぐ近くのお土産屋さんの屋上からが綺麗に見えます。

    橋のすぐ近くのお土産屋さんの屋上からが綺麗に見えます。

  • 八重干瀬のシュノーケルのときに見えてたやつです

    八重干瀬のシュノーケルのときに見えてたやつです

  • 浜辺のカフェっていうとこを見つけたので<br />行ってみました。

    浜辺のカフェっていうとこを見つけたので
    行ってみました。

  • 雰囲気は良さそう<br />私達しかいません。貸し切りです(^^)

    雰囲気は良さそう
    私達しかいません。貸し切りです(^^)

  • 何処でもいいらしいのであそこにします

    何処でもいいらしいのであそこにします

  • 座ると前に海が見えます

    座ると前に海が見えます

  • 景色が良いです

    景色が良いです

  • コーヒーと氷ぜんざい

    コーヒーと氷ぜんざい

  • 下に下りてみます

    下に下りてみます

  • プライベートビーチですね!

    プライベートビーチですね!

  • 反対側

    反対側

  • 海側から見た感じ

    海側から見た感じ

  • 可愛い貝殻広いました。<br />あ〜中身入ってた(^^)

    可愛い貝殻広いました。
    あ〜中身入ってた(^^)

  • さて、ホテルに帰りましょう

    さて、ホテルに帰りましょう

  • 帰りに寄り道しました

    帰りに寄り道しました

  • スイカ

    スイカ

  • マンゴー

    マンゴー

  • 島らっきょう買いました(^^)

    島らっきょう買いました(^^)

  • ホテルに到着<br />寄り道したせいで夕日が沈むとこが見れへんかった〜(&gt;_&lt;)<br />5分早かったらな〜

    ホテルに到着
    寄り道したせいで夕日が沈むとこが見れへんかった〜(>_<)
    5分早かったらな〜

  • BBQの予約が遅い方しか取れなかったけど<br />早い時間なら夕日が見れて綺麗だったやろな〜<br />失敗したな〜(ー ー;)

    BBQの予約が遅い方しか取れなかったけど
    早い時間なら夕日が見れて綺麗だったやろな〜
    失敗したな〜(ー ー;)

  • お疲れ様のビール〜♪

    お疲れ様のビール〜♪

  • コースにサラダバイキングついてます

    コースにサラダバイキングついてます

  • サラダ

    サラダ

  • エイサーが始まりました!<br />主人がエイサーをとっても気にいってました(^^)

    エイサーが始まりました!
    主人がエイサーをとっても気にいってました(^^)

  • お腹空いてがっついてたのですっかり写真を撮り忘れてました(^^;;

    お腹空いてがっついてたのですっかり写真を撮り忘れてました(^^;;

  • シークワーサー酎ハイ

    シークワーサー酎ハイ

  • お腹いっぱいなのでちょっとだけフルーツ<br /><br />ご馳走様でした!

    お腹いっぱいなのでちょっとだけフルーツ

    ご馳走様でした!

  • 夜の与那覇前浜ビーチ

    夜の与那覇前浜ビーチ

  • 夜のプールもオサレ〜

    夜のプールもオサレ〜

  • ノルマになってきたマンゴー<br />お腹いっぱいでもめちゃ美味しかった〜♪<br /><br />4日目終了〜<br />いよいよ明日は最終日です。<br />早い〜楽しい時間はあっと言う間ですね(&gt;_&lt;)

    ノルマになってきたマンゴー
    お腹いっぱいでもめちゃ美味しかった〜♪

    4日目終了〜
    いよいよ明日は最終日です。
    早い〜楽しい時間はあっと言う間ですね(>_<)

この旅行記のタグ

50いいね!

利用規約に違反している投稿は、報告する事ができます。 問題のある投稿を連絡する

コメントを投稿する前に

十分に確認の上、ご投稿ください。 コメントの内容は攻撃的ではなく、相手の気持ちに寄り添ったものになっていますか?

サイト共通ガイドライン(利用上のお願い)

報道機関・マスメディアの方へ 画像提供などに関するお問い合わせは、専用のお問い合わせフォームからお願いいたします。

旅の計画・記録

マイルに交換できるフォートラベルポイントが貯まる
フォートラベルポイントって?

フォートラベル公式LINE@

おすすめの旅行記や旬な旅行情報、お得なキャンペーン情報をお届けします!
QRコードが読み取れない場合はID「@4travel」で検索してください。

\その他の公式SNSはこちら/

タグから国内旅行記(ブログ)を探す

価格.com旅行・トラベルホテル・旅館を比較

PAGE TOP