2012/09/12 - 2012/09/16
36位(同エリア153件中)
BEBETOMOさん
- BEBETOMOさんTOP
- 旅行記378冊
- クチコミ419件
- Q&A回答211件
- 856,869アクセス
- フォロワー8人
初のオーストラリアへ。本当は1年前ほどに計画していたオーストラリア旅行、残念ながら予定が合わなくなり延期延期でこの時期になってしまいました。テーマは「海を満喫」。。。らしくないですね(笑)
9/12 出発 9/13〜9/15 フィッツロイ島滞在 9/15〜9/17 ケアンズ滞在
しばらくバカンス的な旅行はしていなかったので、たまにはいいかなと♪
フィッツロイ島最終日、今晩からはケアンズに戻ります。
今日も天気が良い!
今日の予定はDay Tripでグレートバリアリーフへ。
シュノーケリングと念願の体験ダイビングもする予定!
世界一の珊瑚を見るべくいざ出発。
- 旅行の満足度
- 5.0
- 観光
- 5.0
- 交通
- 4.5
- 同行者
- カップル・夫婦
- 交通手段
- 船
- 航空会社
- ジェットスター航空
- 旅行の手配内容
- 個別手配
-
3日目の朝、今日でケアンズに戻ります。
海からの風が気持ちよい〜
本日はグレートバリアリーフへの1Dayトリップ
そしてケアンズへ戻ります。フィッツロイ アイランド リゾート ホテル
-
フィッツロイ島全図〜
フィッツロイ アイランド リゾート ホテル
-
桟橋から西側の海岸。今日はとても海が穏やかです。
フィッツロイ アイランド リゾート ホテル
-
桟橋から東側の海岸。雲ひとつない最高の天気〜
フィッツロイ アイランド リゾート ホテル
-
短い滞在でしたが、良いところでした〜。
フィッツロイ アイランド リゾート ホテル
-
島の桟橋でグレートバリアリーフ行きの船を待ちます。のどかな時間。
フィッツロイ アイランド リゾート ホテル
-
なかなかお迎えの船がきません。。。ここらへんもゆるい所?(笑)
フィッツロイ アイランド リゾート ホテル
-
心配になって、時間を再度確認に(笑)やっぱり遅れてる〜
フィッツロイ アイランド リゾート ホテル
-
のんびり待っていると船がやってきました〜
20分程の遅刻ですぞ!フィッツロイ アイランド リゾート ホテル
-
気を取り直して、、、
さぁ、出発です!!フィッツロイ アイランド リゾート ホテル
-
来たぜグレートバリアリーフ〜♪
最初のポイントでシュノーケリングを楽しみます! -
グレートバリアリーフへダイブ〜
-
いきなり大きめの魚と遭遇(笑)
-
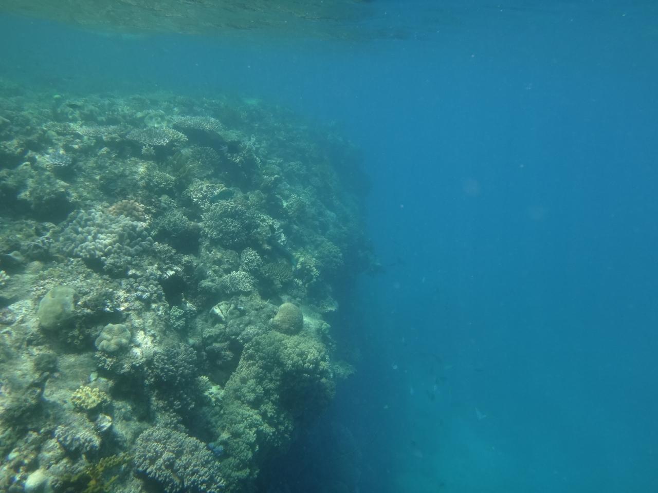
やはりすばらしい珊瑚の数々。
当たり前ですが、ビーチとは違い、ものすごく活き活きしている。 -
かなりの沖合いなのですが、この深さ。
珊瑚が発達している所は比較的海面付近に多い気が。(勝手な解釈ですが)
シュノーケラーには嬉しい。
まだ見ぬ所、もっと奥深くの珊瑚も見てみたいなぁ。 -
そこらじゅうに大きな珊瑚が♪
先ほども言ったとおり、かなり浅いところもあるのでぶつからないように注意が必要です。 -
魚たちにもお気に入り・人気の珊瑚礁があるのでしょうか。。。
沢山集まっている珊瑚もあれば、魚がまばらな珊瑚もあります。
そんな観察もとても楽しい。 -
珊瑚の切れ目。突然断崖絶壁。
この先の海底かなり深いです。 -
そんな断崖絶壁にも珊瑚が。
そして魚たちが。 -
イチオシ
この蒼い世界。。。
潜って本当に良かった。。。 -
プカ〜っと。。。
空中遊泳のような気分にさせてくれます♪
本当にいつまで潜っていても飽きない。 -
珊瑚のへりには多くの珊瑚がせり出しているためか
上からも下からも魚たちが集まってきます。 -
イチオシ
生き物たちの躍動感。
珊瑚を守ることが魚たちを守ることに繋がることを強く実感しました。 -
イチオシ
まさに海の中の楽園。
-
海のアイドル??
ハコフグです! -
そろそろ一度船に戻る時間。。。
この青い世界から離れたくはないが。。。 -
体力や体温のことを考えると無理もできません。
午後には念願のダイビングですし。。 -
また潜るからな〜〜〜
この旅行記のタグ
利用規約に違反している投稿は、報告する事ができます。
コメントを投稿する前に
十分に確認の上、ご投稿ください。 コメントの内容は攻撃的ではなく、相手の気持ちに寄り添ったものになっていますか?
サイト共通ガイドライン(利用上のお願い)報道機関・マスメディアの方へ 画像提供などに関するお問い合わせは、専用のお問い合わせフォームからお願いいたします。
BEBETOMOさんの関連旅行記
この旅行で行ったホテル
-
フィッツロイ アイランド リゾート
3.35
旅の計画・記録
マイルに交換できるフォートラベルポイントが貯まる
フォートラベルポイントって?
グレートバリアリーフ周辺(オーストラリア) の人気ホテル
オーストラリアで使うWi-Fiはレンタルしましたか?
フォートラベル GLOBAL WiFiなら
オーストラリア最安
305円/日~
- 空港で受取・返却可能
- お得なポイントがたまる
0
28