その他の都市旅行記(ブログ) 一覧に戻る
南の島で働いている娘が、「おかあさん、休暇にワカトビにダイビングに行こう」と誘われ「ワカトビ???・それは、どこ」インドネシアのバリ島から1000キロはなれた島らしい。ブランクダイバーの英語もしゃべれないおばちゃんとひよっこインストラクターの娘の旅が始まることになりました。

ワカトビリゾートの母娘の旅

14いいね!

2013/07/28 - 2013/08/06

48位(同エリア124件中)

0

10

マーメイドさん

南の島で働いている娘が、「おかあさん、休暇にワカトビにダイビングに行こう」と誘われ「ワカトビ???・それは、どこ」インドネシアのバリ島から1000キロはなれた島らしい。ブランクダイバーの英語もしゃべれないおばちゃんとひよっこインストラクターの娘の旅が始まることになりました。

旅行の満足度
5.0
観光
5.0
ホテル
5.0
グルメ
5.0
同行者
家族旅行
一人あたり費用
30万円 - 50万円
交通手段
飛行機
航空会社
ガルーダインドネシア航空
旅行の手配内容
ツアー(添乗員同行なし)
  •  関空から、ガルーダインドネシア航空で出発。バリ島のクタで一泊。次の朝、プロペラ機で2時間半と車と船でリゾートに到着。

     関空から、ガルーダインドネシア航空で出発。バリ島のクタで一泊。次の朝、プロペラ機で2時間半と車と船でリゾートに到着。

  •  到着した後、チェックダイブ。ドキドキ、エート・・できるかな???。親切なガイドさんとみなさんのおかげで、OK.<br /> 海中の様子を落ち着いてみることが、できないおばちゃんでした。

     到着した後、チェックダイブ。ドキドキ、エート・・できるかな???。親切なガイドさんとみなさんのおかげで、OK.
     海中の様子を落ち着いてみることが、できないおばちゃんでした。

  •  1日3ダイブ。おばちゃんには、2ダイブで十分。<br />2日目、少し慣れたら「おーおー。きれい!!さんごが・・魚がいっぱい。名前がわからんけど、いろいろ、あれは、何??」と楽しいダイビングになってきた。

     1日3ダイブ。おばちゃんには、2ダイブで十分。
    2日目、少し慣れたら「おーおー。きれい!!さんごが・・魚がいっぱい。名前がわからんけど、いろいろ、あれは、何??」と楽しいダイビングになってきた。

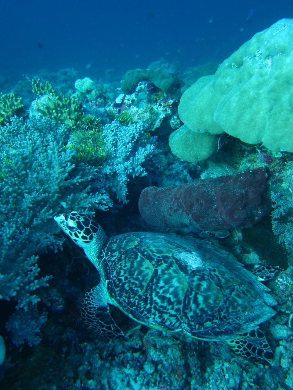
  •  少しずつダイビングに余裕が出てき、水中を楽しみました。<br />こんなきれいなサンゴがあるのかな!

     少しずつダイビングに余裕が出てき、水中を楽しみました。
    こんなきれいなサンゴがあるのかな!

  •  私たち2人には、とっても頼もしく優しいガイドのボボさんがついてくださいました。「どんなものが、みたいですか?どうすれば、楽しめますか?」と聞いてくださいます。(もちろん英語で、娘が、訳してくれるのです。)英語が、しゃべれたらいいのにね。

     私たち2人には、とっても頼もしく優しいガイドのボボさんがついてくださいました。「どんなものが、みたいですか?どうすれば、楽しめますか?」と聞いてくださいます。(もちろん英語で、娘が、訳してくれるのです。)英語が、しゃべれたらいいのにね。

  •  きれいなウミウシや小さなエビやカニをたくさん見つけてみせてくれます。老眼の私には、なかなかわからず・・ボボさんが、むしめがねを貸してくれたり、根気よく教えてくれました。あ〜ありがとう。(反省。反省。わからない子にあんなに根気よくやさしくなれていないよ〜)

     きれいなウミウシや小さなエビやカニをたくさん見つけてみせてくれます。老眼の私には、なかなかわからず・・ボボさんが、むしめがねを貸してくれたり、根気よく教えてくれました。あ〜ありがとう。(反省。反省。わからない子にあんなに根気よくやさしくなれていないよ〜)

  •  ひさしぶりにピグミーシーホースも見せてくれました。娘は、もう一度3匹も一緒にいるポイントもいったようです。以前、日本の柏島で順番を待っていて、デコに脅えながら(これは、下手な私のせいなのですが)見たピグミーちゃん。今度は、ゆっくりと・・・

     ひさしぶりにピグミーシーホースも見せてくれました。娘は、もう一度3匹も一緒にいるポイントもいったようです。以前、日本の柏島で順番を待っていて、デコに脅えながら(これは、下手な私のせいなのですが)見たピグミーちゃん。今度は、ゆっくりと・・・

  •  どこもリゾートから、5〜15分くらいのところにあります。<br />たくさんのポイントがあります。ボートクルーの方も親切です。<br />ダイビングが終わると、パンやケーキや果物そして温かい飲み物など、終わったあとの楽しみがいつもありました。娘が「おかあさんは、ダイビングより・・」と。いえいえダイビングが1番ですよ。

     どこもリゾートから、5〜15分くらいのところにあります。
    たくさんのポイントがあります。ボートクルーの方も親切です。
    ダイビングが終わると、パンやケーキや果物そして温かい飲み物など、終わったあとの楽しみがいつもありました。娘が「おかあさんは、ダイビングより・・」と。いえいえダイビングが1番ですよ。

  •  私は、午前はダイビング。午後は、お昼寝、読書、マッサージ三昧。至極の時間を過ごしました。ちょっぴり、仕事で疲れていた私には、ご褒美でした。いつも可愛いベットメイキング。

     私は、午前はダイビング。午後は、お昼寝、読書、マッサージ三昧。至極の時間を過ごしました。ちょっぴり、仕事で疲れていた私には、ご褒美でした。いつも可愛いベットメイキング。

  •  お食事もとってもおいしく。レストランのスタッフも日本語で優しく声をかけてくれました。さしみ、てんぷら、とても食べやすくあきませんでした。リゾートのスタッフの温かさに感謝、感謝。英語も話せないおばちゃんにも楽しく過ごせるよう配慮してくれました。最初、日本人スタッフがいるよ。といわれたのが選んだ理由の一つでしたが(2人ともたまたま不在で残念)。それと、海外勤務の娘と星空の下で、ゆっくりと話ができたのも・・・。あっというまの10日間でした。

     お食事もとってもおいしく。レストランのスタッフも日本語で優しく声をかけてくれました。さしみ、てんぷら、とても食べやすくあきませんでした。リゾートのスタッフの温かさに感謝、感謝。英語も話せないおばちゃんにも楽しく過ごせるよう配慮してくれました。最初、日本人スタッフがいるよ。といわれたのが選んだ理由の一つでしたが(2人ともたまたま不在で残念)。それと、海外勤務の娘と星空の下で、ゆっくりと話ができたのも・・・。あっというまの10日間でした。

この旅行記のタグ

14いいね!

利用規約に違反している投稿は、報告する事ができます。 問題のある投稿を連絡する

コメントを投稿する前に

十分に確認の上、ご投稿ください。 コメントの内容は攻撃的ではなく、相手の気持ちに寄り添ったものになっていますか?

サイト共通ガイドライン(利用上のお願い)

報道機関・マスメディアの方へ 画像提供などに関するお問い合わせは、専用のお問い合わせフォームからお願いいたします。

旅の計画・記録

マイルに交換できるフォートラベルポイントが貯まる
フォートラベルポイントって?

インドネシアで使うWi-Fiはレンタルしましたか?

フォートラベル GLOBAL WiFiなら
インドネシア最安 294円/日~

  • 空港で受取・返却可能
  • お得なポイントがたまる

インドネシアの料金プランを見る

フォートラベル公式LINE@

おすすめの旅行記や旬な旅行情報、お得なキャンペーン情報をお届けします!
QRコードが読み取れない場合はID「@4travel」で検索してください。

\その他の公式SNSはこちら/

PAGE TOP