北マリアナ諸島旅行記(ブログ) 一覧に戻る
細々と貯めていたデルタのマイルが30,000を超えたので、特典航空券で大好きなサイパンへ行って来ました。<br /><br />去年10月のサイパンがあまりに天気が悪かったので、どうせ行くならベストシーズンの6月。<br />25,000マイルで行ける日を狙って特典航空券をゲット。<br /><br />せっかくの無料航空券だから少し長めの日程で行きたいと思っていたたけど、有給残不足と円安によるホテル代の割高感から結局いつも通りのショートステイで3泊4日に。<br /><br />いつもツアーを利用しているので、個人手配では初めてのサイパン。<br />何度も行っている場所だけど、何気にドキドキわくわくの出発です。 <br /><br />二日目はウィングビーチでシュノーケリングと一泊格上げの術で泊まったハファダイビーチホテル、ハイアットのハワイアンディナービュッフェの様子など。<br /><br />表紙画像撮影:Heart of Gold Divers SAIPAN<br />http://heartofgolddivers.com/saipan/

マイルで行くベストシーズン・サイパンひとり旅★二日目 ウイングビーチで魚になる再び~Jun 2013~

23いいね!

2013/06/06 - 2013/06/09

479位(同エリア3485件中)

2

72

れいれい

れいれいさん

細々と貯めていたデルタのマイルが30,000を超えたので、特典航空券で大好きなサイパンへ行って来ました。

去年10月のサイパンがあまりに天気が悪かったので、どうせ行くならベストシーズンの6月。
25,000マイルで行ける日を狙って特典航空券をゲット。

せっかくの無料航空券だから少し長めの日程で行きたいと思っていたたけど、有給残不足と円安によるホテル代の割高感から結局いつも通りのショートステイで3泊4日に。

いつもツアーを利用しているので、個人手配では初めてのサイパン。
何度も行っている場所だけど、何気にドキドキわくわくの出発です。

二日目はウィングビーチでシュノーケリングと一泊格上げの術で泊まったハファダイビーチホテル、ハイアットのハワイアンディナービュッフェの様子など。

表紙画像撮影:Heart of Gold Divers SAIPAN
http://heartofgolddivers.com/saipan/

旅行の満足度
5.0
観光
5.0
ホテル
4.0
グルメ
5.0
ショッピング
3.0
交通
3.0
同行者
一人旅
一人あたり費用
3万円 - 5万円
交通手段
徒歩
航空会社
デルタ航空
旅行の手配内容
個別手配
  • ■6月7日(金)<br /><br />蒸し暑さと隣の民家の鶏の鳴き声で起床。<br />そういえば昨夜はエアコン切ったまま寝落ちしたんだっけ。<br /><br />今日は暑くなりそう!

    ■6月7日(金)

    蒸し暑さと隣の民家の鶏の鳴き声で起床。
    そういえば昨夜はエアコン切ったまま寝落ちしたんだっけ。

    今日は暑くなりそう!

  • 朝食は前の日に買っておいたパンとプリン。<br /><br />サイパン友達からHIMAWARIのプリンが美味しいとの聞いていたので、見つけた途端即買い〜<br /><br />1階がスーパーって想像以上に便利だわ〜

    朝食は前の日に買っておいたパンとプリン。

    サイパン友達からHIMAWARIのプリンが美味しいとの聞いていたので、見つけた途端即買い〜

    1階がスーパーって想像以上に便利だわ〜

  • あれ?カラメルではなく粒餡?<br />後でチェックしたら普通のカラメルプリンもあったみたい。<br />でもこれはこれで和スィーツっぽくて美味しい♪<br /><br />パンは前日に買っておいたので、ちょっとぺたっとしちゃったけど、美味しくいただきました。

    あれ?カラメルではなく粒餡?
    後でチェックしたら普通のカラメルプリンもあったみたい。
    でもこれはこれで和スィーツっぽくて美味しい♪

    パンは前日に買っておいたので、ちょっとぺたっとしちゃったけど、美味しくいただきました。

  • 今日はHGD(Heart of Gold Divers SAIPAN)のリクエストツアーでビーチシュノーケリングの予定。<br />ロビーでMayukiさんのピックアップを待ちます。<br /><br />なんか、ここ妙に落ち着いちゃいます。

    今日はHGD(Heart of Gold Divers SAIPAN)のリクエストツアーでビーチシュノーケリングの予定。
    ロビーでMayukiさんのピックアップを待ちます。

    なんか、ここ妙に落ち着いちゃいます。

  • Mayukiさんのピカピカの新車に乗ってGO!<br /><br />ハファダイで関西から別便でサイパン入りしたHさんと札幌から来られたという初めましてのYさんをピックアップ。<br /><br />フロントガラス越しに見えるフレームツリーが美しい。

    Mayukiさんのピカピカの新車に乗ってGO!

    ハファダイで関西から別便でサイパン入りしたHさんと札幌から来られたという初めましてのYさんをピックアップ。

    フロントガラス越しに見えるフレームツリーが美しい。

  • サイドガラス越しに見える景色もフレームツリー。<br /><br />6月のサイパンは本当に綺麗です。

    サイドガラス越しに見える景色もフレームツリー。

    6月のサイパンは本当に綺麗です。

  • 今回はビーチシュノーケルなので、オブジャンかウィングどちらかになりそうだな〜と予想していたのですが、予想通りウィングでした〜<br /><br />オブジャンはちょっとうねりが高めだったそう

    今回はビーチシュノーケルなので、オブジャンかウィングどちらかになりそうだな〜と予想していたのですが、予想通りウィングでした〜

    オブジャンはちょっとうねりが高めだったそう

  • さ〜、準備、準備♪

    さ〜、準備、準備♪

  • 着替え中盗撮(笑)

    着替え中盗撮(笑)

  • この日のウィングは先客が数名。<br /><br />ワンちゃんも気持ちよさそうにビーチを散歩中です。

    この日のウィングは先客が数名。

    ワンちゃんも気持ちよさそうにビーチを散歩中です。

  • 今から18年前初めてサイパンに来たときに初めて行ったビーチがここウイングビーチでした。<br />あの時も引き潮で藻が出ていたので、「海藻だらけであんまり綺麗じゃない」と思った記憶があります。<br />本当はとても綺麗なビーチなのに、潮の満ち引きで海の印象ってだいぶ変わってしまうんですね。<br />  

    今から18年前初めてサイパンに来たときに初めて行ったビーチがここウイングビーチでした。
    あの時も引き潮で藻が出ていたので、「海藻だらけであんまり綺麗じゃない」と思った記憶があります。
    本当はとても綺麗なビーチなのに、潮の満ち引きで海の印象ってだいぶ変わってしまうんですね。
      

  • 海へ入る前にYさんがポケットから・・・<br /><br />「ボクも海に入りたいよー」<br /><br />Yさんたら、お茶目です(*^^*)

    イチオシ

    海へ入る前にYさんがポケットから・・・

    「ボクも海に入りたいよー」

    Yさんたら、お茶目です(*^^*)

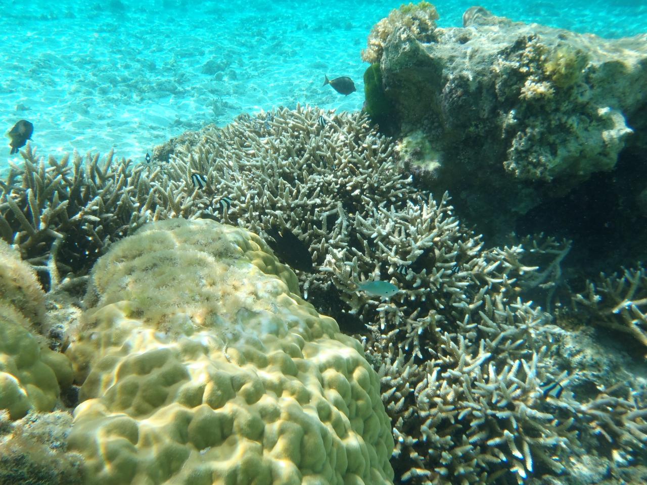
  • 気持ちいい〜<br /><br />グロットの青も綺麗だけど、ウィングの水色の海は本当に綺麗!<br />透明度半端ないです。<br /><br />光が反射してキラキラキラキラキラ・・・<br /><br /><br /><br />綺麗だけど、、、これは焼けそう・・・。

    イチオシ

    気持ちいい〜

    グロットの青も綺麗だけど、ウィングの水色の海は本当に綺麗!
    透明度半端ないです。

    光が反射してキラキラキラキラキラ・・・



    綺麗だけど、、、これは焼けそう・・・。

  • 浅いところでは私のしょぼい防水カメラでもそこそこ綺麗な写真が撮れます。<br /><br />透明度は以前入った時より落ちるような気がしないでもないのですが、それでも綺麗すぎるほどの海。

    浅いところでは私のしょぼい防水カメラでもそこそこ綺麗な写真が撮れます。

    透明度は以前入った時より落ちるような気がしないでもないのですが、それでも綺麗すぎるほどの海。

  • まるで水槽の中にいるみたい〜

    まるで水槽の中にいるみたい〜

  • 浅瀬で水に慣れたところで、いざ外洋へ!<br /><br />きゃ〜、緊張する〜

    浅瀬で水に慣れたところで、いざ外洋へ!

    きゃ〜、緊張する〜

  • 沢山の魚に囲まれて浮遊する私。<br /><br />私も魚になりました。<br /><br /><br />撮影:Heart of Gold Divers SAIPAN

    イチオシ

    沢山の魚に囲まれて浮遊する私。

    私も魚になりました。


    撮影:Heart of Gold Divers SAIPAN

  • 私たちも海の一部になっています。<br /><br />多分左側が私っぽいですね。<br /><br /><br />撮影:Heart of Gold Divers SAIPAN

    イチオシ

    私たちも海の一部になっています。

    多分左側が私っぽいですね。


    撮影:Heart of Gold Divers SAIPAN

  • Mayukiさんが何かを見つけたようです。<br /><br />よーく見ると・・・

    Mayukiさんが何かを見つけたようです。

    よーく見ると・・・

  • なんと!エイに遭遇。<br /><br />シュノーケルでエイに遭遇するのはかなりラッキー♪だそうです。<br /><br />海ガメには会えなかったけど、こんな大きなエイに会えてうれしい〜<br /><br />撮影:Heart of Gold Divers SAIPAN

    なんと!エイに遭遇。

    シュノーケルでエイに遭遇するのはかなりラッキー♪だそうです。

    海ガメには会えなかったけど、こんな大きなエイに会えてうれしい〜

    撮影:Heart of Gold Divers SAIPAN

  • 今度はタコを見つけてきてくれました(笑)<br />

    今度はタコを見つけてきてくれました(笑)

  • やっぱりこの時期の海は温かいし、魚もいっぱいで楽しい!!<br /><br />思いがけず外洋にも出られたし。<br /><br />Mayukiさん貸切もいいけど、何人かで一緒に入ると楽しさも倍増です。<br />

    やっぱりこの時期の海は温かいし、魚もいっぱいで楽しい!!

    思いがけず外洋にも出られたし。

    Mayukiさん貸切もいいけど、何人かで一緒に入ると楽しさも倍増です。

  • グロットシュノーケルも感動的だけど、楽しいっていう点ではやっぱりビーチシュノーケルかなぁ。<br />温かくて気持ちいいし、沢山の珊瑚や生き物に会える。<br /><br />グロットに行くと顔が引きつってしまう私でもビーチならずっと笑顔だし。<br /><br /><br /><br /><br />

    グロットシュノーケルも感動的だけど、楽しいっていう点ではやっぱりビーチシュノーケルかなぁ。
    温かくて気持ちいいし、沢山の珊瑚や生き物に会える。

    グロットに行くと顔が引きつってしまう私でもビーチならずっと笑顔だし。




  • 海で遊んだあとはフローズンマンゴー♪<br /><br />火照った身体に冷たいマンゴーが染み渡る〜

    海で遊んだあとはフローズンマンゴー♪

    火照った身体に冷たいマンゴーが染み渡る〜

  • ランチはガラパンに新しくオープンした波レストランへ。<br /><br />ウィンチェルズの隣にあります。

    ランチはガラパンに新しくオープンした波レストランへ。

    ウィンチェルズの隣にあります。

  • 私とMayukiさんの一日20食限定の日替わりランチ。<br />$6.5−とリーズナブル<br />見た目はちょっとボリュームが少ないかな?と思ったけど、お腹いっぱい!<br /><br />何気にこのスープがめちゃくちゃ美味しい!<br /><br />ちょっと濃いめの味付けが海で遊んだあとの身体にはちょうどいいんです。<br /><br /> 

    私とMayukiさんの一日20食限定の日替わりランチ。
    $6.5−とリーズナブル
    見た目はちょっとボリュームが少ないかな?と思ったけど、お腹いっぱい!

    何気にこのスープがめちゃくちゃ美味しい!

    ちょっと濃いめの味付けが海で遊んだあとの身体にはちょうどいいんです。

     

  • Hさんオーダーのハンバーグ<br /><br />ハンバーグがジューシーで美味しいとのこと

    Hさんオーダーのハンバーグ

    ハンバーグがジューシーで美味しいとのこと

  • Yさんオーダーのポークジンジャー<br /><br />こっちも美味しそう〜

    Yさんオーダーのポークジンジャー

    こっちも美味しそう〜

  • こちらはサービスでいただいたマンゴーのケーキ。<br />甘すぎなくて美味しい。<br />ごちそうさまでした!<br /><br />波レストランは満員御礼でした。<br />人気の理由は食べてみて納得です。<br /><br />場所的にも便利だし、カウンターもあるので、ここなら一人でも寄りやすそう。<br /><br />

    こちらはサービスでいただいたマンゴーのケーキ。
    甘すぎなくて美味しい。
    ごちそうさまでした!

    波レストランは満員御礼でした。
    人気の理由は食べてみて納得です。

    場所的にも便利だし、カウンターもあるので、ここなら一人でも寄りやすそう。

  • 午後からダイビングのHさん、Yさんとはここでお別れして、私はホテルへ。<br /><br />シャワーを浴びたら荷物をまとめて移動です!<br /><br />・・・どこへ?

    午後からダイビングのHさん、Yさんとはここでお別れして、私はホテルへ。

    シャワーを浴びたら荷物をまとめて移動です!

    ・・・どこへ?

  • 実はこの日一泊だけはいつもの一泊格上げの技(?)でハファダイビーチホテルを予約しているのです。<br /><br />HIMAWARI HOTELも帰国日まで連泊で予約を入れてあるので、不要な荷物は部屋に置いていきます。<br /><br />

    実はこの日一泊だけはいつもの一泊格上げの技(?)でハファダイビーチホテルを予約しているのです。

    HIMAWARI HOTELも帰国日まで連泊で予約を入れてあるので、不要な荷物は部屋に置いていきます。

  • だったら、HIMAWARI1泊、ハファダイ1泊、HIMAWARI1泊ででよかったんじゃない?<br />と思われそうだけど・・・それだとHIMAWARIが連泊にならないので、空港の往復送迎が無料にならないんです!←重要。<br /><br />空港=ホテル間の移動だけでも往復$50位はかかってしまうので、それなら一泊分捨てても連泊した方が得な気がする。<br /><br />実際は損しているのかもしれないけど、、

    だったら、HIMAWARI1泊、ハファダイ1泊、HIMAWARI1泊ででよかったんじゃない?
    と思われそうだけど・・・それだとHIMAWARIが連泊にならないので、空港の往復送迎が無料にならないんです!←重要。

    空港=ホテル間の移動だけでも往復$50位はかかってしまうので、それなら一泊分捨てても連泊した方が得な気がする。

    実際は損しているのかもしれないけど、、

  • 必要最小限の荷物だけをまとめてハファダイへ徒歩移動。<br /><br />これが思っていた以上大変でした。<br /><br />翌日のマニャガハ用の水着や海道具、バスタオル、着替え・・・午前中のシュノーケルでまだ濡れたままのものもあったから<br />重たいのなんのって。<br /><br />全く日よけのないジリジリと照りつける太陽の下を10分。<br />10分の距離が30分位に感じるほどでした。

    必要最小限の荷物だけをまとめてハファダイへ徒歩移動。

    これが思っていた以上大変でした。

    翌日のマニャガハ用の水着や海道具、バスタオル、着替え・・・午前中のシュノーケルでまだ濡れたままのものもあったから
    重たいのなんのって。

    全く日よけのないジリジリと照りつける太陽の下を10分。
    10分の距離が30分位に感じるほどでした。

  • この一泊格上げの技を使おうかどうか今回はギリギリまで迷って、最終的に予約を入れたのが出発日の前日。<br /><br />やっぱりどうしても部屋から海が見たい!!<br /><br />一泊くらいはそこそこのホテルに泊まりたい!!<br /><br />塩味のしないシャワーを浴びたい!!<br /><br />ということで。<br /><br />オンライン予約は既に締め切られていたので、ハファダイの東京事務所に電話して予約を入れました。<br /><br />一泊の価格はオンライン予約と同じ$105−(税別)<br />早割適用期間に予約しておけばよかった。。。

    この一泊格上げの技を使おうかどうか今回はギリギリまで迷って、最終的に予約を入れたのが出発日の前日。

    やっぱりどうしても部屋から海が見たい!!

    一泊くらいはそこそこのホテルに泊まりたい!!

    塩味のしないシャワーを浴びたい!!

    ということで。

    オンライン予約は既に締め切られていたので、ハファダイの東京事務所に電話して予約を入れました。

    一泊の価格はオンライン予約と同じ$105−(税別)
    早割適用期間に予約しておけばよかった。。。

  • 今回は一人なので、クリスタルタワーで予約。<br /><br />本館でもありだけど、数年前ベッドが固くて眠れなかった思い出があるので・・・<br /><br />さすがにタワーは一人じゃ広いし、高い!!<br />それにインナバルコニーっていうのも微妙に閉塞感あるし・・・

    今回は一人なので、クリスタルタワーで予約。

    本館でもありだけど、数年前ベッドが固くて眠れなかった思い出があるので・・・

    さすがにタワーは一人じゃ広いし、高い!!
    それにインナバルコニーっていうのも微妙に閉塞感あるし・・・

  • クリスタルタワーの入口にあるボージョボー<br /><br />毎回思うんだけど、ちょっと怖くない!?

    クリスタルタワーの入口にあるボージョボー

    毎回思うんだけど、ちょっと怖くない!?

  • お部屋は本館側の7F

    お部屋は本館側の7F

  • 一人でベッド2台は贅沢ですね♪

    一人でベッド2台は贅沢ですね♪

  • 部屋の向きのせいもあってちょっと薄暗い感じだけど、タワーで感じるあの異様なまでの湿気臭さと薬品臭さがないのも◎<br /><br />床もカーペットより絶対にフローリングの方がいい。<br />多分カーペットが湿気臭かったりする原因なんだろうね。

    部屋の向きのせいもあってちょっと薄暗い感じだけど、タワーで感じるあの異様なまでの湿気臭さと薬品臭さがないのも◎

    床もカーペットより絶対にフローリングの方がいい。
    多分カーペットが湿気臭かったりする原因なんだろうね。

  • クロゼットにはハンガーが4つしかなかったので、HIMAWARIから持って来ればよかった・・・と一瞬思ったけど、それはダメですよね。<br /><br />金庫が一日$25×4枚必要なのは微妙に不便。

    クロゼットにはハンガーが4つしかなかったので、HIMAWARIから持って来ればよかった・・・と一瞬思ったけど、それはダメですよね。

    金庫が一日$25×4枚必要なのは微妙に不便。

  • ハファダイのクリスタルは水回りがしょぼいとの噂でしたが・・・<br />全然問題ありません!!

    ハファダイのクリスタルは水回りがしょぼいとの噂でしたが・・・
    全然問題ありません!!

  • 水はしょっぱくないし、温かいお湯は出るし・・・<br />当たり前だと思っていたことが幸せだと感じる。<br /><br />快適はお金を出さないと買えないのです。<br /><br />

    水はしょっぱくないし、温かいお湯は出るし・・・
    当たり前だと思っていたことが幸せだと感じる。

    快適はお金を出さないと買えないのです。

  • 部屋からの眺めは・・・<br />オーシャンビュー&プールビュー♪<br /><br />部屋から海が見えると嬉しい!!

    部屋からの眺めは・・・
    オーシャンビュー&プールビュー♪

    部屋から海が見えると嬉しい!!

  • そして、<br />シティビュー&マウンテンビュー♪

    そして、
    シティビュー&マウンテンビュー♪

  • 隣の本館ビュー♪<br /><br />タワーのようなオーシャンフロントもいいけど、私は海だけでなくガラパンの街や山、隣の本館・・・いろんなものが見えるこの眺望が好き。<br /><br />むしろこっちの方が贅沢な気がする。

    隣の本館ビュー♪

    タワーのようなオーシャンフロントもいいけど、私は海だけでなくガラパンの街や山、隣の本館・・・いろんなものが見えるこの眺望が好き。

    むしろこっちの方が贅沢な気がする。

  • 一休みしたら街へと繰り出します。<br /><br />ブーゲンニリアがとても綺麗。

    一休みしたら街へと繰り出します。

    ブーゲンニリアがとても綺麗。

  • ハファダイの駐車場は色とりどりのブーゲンビリアが咲いています。<br /><br />ピンクもいいけど、私は白が好き!

    ハファダイの駐車場は色とりどりのブーゲンビリアが咲いています。

    ピンクもいいけど、私は白が好き!

  • これは白にピンクが混ざったもの。<br /><br />これって真ん中の白いのが花で色がついている部分は葉っぱなんですよね。<br />

    これは白にピンクが混ざったもの。

    これって真ん中の白いのが花で色がついている部分は葉っぱなんですよね。

  • 空が青く、椰子が高く、フレームツリーが咲いて。<br /><br /><br />ああ、気持ちいい!!

    空が青く、椰子が高く、フレームツリーが咲いて。


    ああ、気持ちいい!!

  • 久し振りにプロマッサージに来ちゃいました。<br /><br />ChinChinやLinlinがいたころはよく来ていたのですが、今Linlinが働いているLEISUREに行くようになってからは何となく行きにくくなってしまいました。<br /><br />お店の前を通るとスタッフに見つかってしまいそうだから、わざと遠回りしたりして。<br /><br />いつの間にか「接待自由行」なんていう看板を出したんですね。

    久し振りにプロマッサージに来ちゃいました。

    ChinChinやLinlinがいたころはよく来ていたのですが、今Linlinが働いているLEISUREに行くようになってからは何となく行きにくくなってしまいました。

    お店の前を通るとスタッフに見つかってしまいそうだから、わざと遠回りしたりして。

    いつの間にか「接待自由行」なんていう看板を出したんですね。

  • 顔見知りのスタッフ数名は今もまだ残っていました。<br /><br />「久し振り〜」といことで、フットマッサージをしてもらうことに。<br /><br />やっぱりここはここでまた居心地いいんですね。<br />私にとってサイパンマッサージの原点のような場所ですから(笑)<br />他店と比較してもマッサージの料金はかなり安い方だと思います。<br /><br />これからはフットマッサージをしてもらいに、また来ようと思うのでした。

    顔見知りのスタッフ数名は今もまだ残っていました。

    「久し振り〜」といことで、フットマッサージをしてもらうことに。

    やっぱりここはここでまた居心地いいんですね。
    私にとってサイパンマッサージの原点のような場所ですから(笑)
    他店と比較してもマッサージの料金はかなり安い方だと思います。

    これからはフットマッサージをしてもらいに、また来ようと思うのでした。

  • 今日もまた夕陽が見たくてハファダイのビーチへ。

    今日もまた夕陽が見たくてハファダイのビーチへ。

  • 夕暮れの海。<br /><br />雲が多くて燃えるようなサンセット・・・とはいきませんが、これはこれで綺麗。

    夕暮れの海。

    雲が多くて燃えるようなサンセット・・・とはいきませんが、これはこれで綺麗。

  • 暗くなるまでずっと海を見ていました。<br /><br />

    暗くなるまでずっと海を見ていました。

  • 夕食はMayukiさんと旦那様、午前中ウィングで一緒にシュノーケルをしたHさんと4人でハイアットのキリカフェへ。<br /><br />この日はハワイアンビュッフェのスペシャルディナー。<br /><br />ハワイアンミュージックの心地よい音色と沢山のゲストでに賑わっていました。

    夕食はMayukiさんと旦那様、午前中ウィングで一緒にシュノーケルをしたHさんと4人でハイアットのキリカフェへ。

    この日はハワイアンビュッフェのスペシャルディナー。

    ハワイアンミュージックの心地よい音色と沢山のゲストでに賑わっていました。

  • ビュッフェはビール、ワイン、シャンパン、アイスティーが飲み放題で$43−<br />ホテルディナーなら決して高くない値段です。<br /><br />

    ビュッフェはビール、ワイン、シャンパン、アイスティーが飲み放題で$43−
    ホテルディナーなら決して高くない値段です。

  • ウェルカムドリンクはピナコラーダ風カクテル。<br />

    ウェルカムドリンクはピナコラーダ風カクテル。

  • さすがハイアット、ビュッフェのクォリティが高いです。<br /><br />

    さすがハイアット、ビュッフェのクォリティが高いです。

  • 食べたいものがいっぱいあって迷う〜

    食べたいものがいっぱいあって迷う〜

  • ハワイアンらしくロコモコもあります。

    ハワイアンらしくロコモコもあります。

  • フルーツもたくさん。

    フルーツもたくさん。

  • サイパンではミラーライトははずせません。<br /><br />

    サイパンではミラーライトははずせません。

  • ハイアットのビュッフェで欠かせないのがスィーツ類。<br /><br />

    ハイアットのビュッフェで欠かせないのがスィーツ類。

  • 普段甘いものはそんなに食べない私でも、ここでは片っ端から食べたくなってしまいます。<br /><br />このバター餅ってヤツがクセになる美味しさでした。

    普段甘いものはそんなに食べない私でも、ここでは片っ端から食べたくなってしまいます。

    このバター餅ってヤツがクセになる美味しさでした。

  • これは誰のプレート(笑)?<br /><br />

    これは誰のプレート(笑)?

  • かなり気合入れて食べるつもりでしたが、そこまでは食べられないものですね。<br /><br />昼間海に入ったり日に当たって疲れが出たみたいで、アルコールが入った途端眠くなってしまいました。

    かなり気合入れて食べるつもりでしたが、そこまでは食べられないものですね。

    昼間海に入ったり日に当たって疲れが出たみたいで、アルコールが入った途端眠くなってしまいました。

  • ハイアットのディナービュッフェは食事も美味しいし、雰囲気もよくて、とても素敵でした。<br /><br />ホテルディナーってすごく高そうなイメージがあって敬遠していたけど、こういうビュッフェなら飲み放題&食べ放題でむしろ安いかも。<br /><br />たまにはこんなリッチな気分を味わえるディナーもいいね〜<br /><br /><br />

    ハイアットのディナービュッフェは食事も美味しいし、雰囲気もよくて、とても素敵でした。

    ホテルディナーってすごく高そうなイメージがあって敬遠していたけど、こういうビュッフェなら飲み放題&食べ放題でむしろ安いかも。

    たまにはこんなリッチな気分を味わえるディナーもいいね〜


  • すっかり良い気分・・・と言うよりはもう眠くて倒れそう。。。<br />なのに、やっぱりまた来てしまったLEISURE<br /><br />この日は眠かったので30分コースをお願いしたつもりが、、、<br />気が付けば60分コース。<br />時間を間違えたスタッフが謝っていたけど、いいの、いいの、気持ちよかったから。

    すっかり良い気分・・・と言うよりはもう眠くて倒れそう。。。
    なのに、やっぱりまた来てしまったLEISURE

    この日は眠かったので30分コースをお願いしたつもりが、、、
    気が付けば60分コース。
    時間を間違えたスタッフが謝っていたけど、いいの、いいの、気持ちよかったから。

  • 部屋からは夜の海とライトアップされたプール。<br /><br />やっぱり海が見える部屋って贅沢だなぁ。<br /><br />一泊だけでもここに泊まってよかった。

    部屋からは夜の海とライトアップされたプール。

    やっぱり海が見える部屋って贅沢だなぁ。

    一泊だけでもここに泊まってよかった。

  • 大好きなガラパンの夜の景色も見える。<br /><br />

    大好きなガラパンの夜の景色も見える。

  • そして空を見上げれば満天の星空。<br />マリアナで見た冬の星空ほどではないけど、波の音を聞きながら空を見上げると、今にも星が零れ落ちそう。<br /><br />私のデジカメではこの美しさを再現できないのが残念だけど。<br /><br />明日も天気になりますように。<br /><br /><br /><br /><br />

    そして空を見上げれば満天の星空。
    マリアナで見た冬の星空ほどではないけど、波の音を聞きながら空を見上げると、今にも星が零れ落ちそう。

    私のデジカメではこの美しさを再現できないのが残念だけど。

    明日も天気になりますように。




この旅行記のタグ

23いいね!

利用規約に違反している投稿は、報告する事ができます。 問題のある投稿を連絡する

この旅行記へのコメント (2)

開く

閉じる

  • okapyさん 2013/06/23 09:22:15
    サイパンへ帰省、ですね
    れいれいさん


    お久しぶりです!okapyです。
    今年もベストシーズンにサイパンへ行かれたんですね!

    先日、広島の旅行記を拝見しましたが、れいれいさんの帰省先といえばやはりサイパンのような気がします(←失礼ですね)

    今回はひまわりホテルだったんですね。
    思い出すなあ・・・あの窓からの景色、犬に睨まれたこと、それから鶏がバタバタ飛んできたこと等々(笑)。
    でも何だかんだ言いながらも、自分が次回行くとすればやっぱりココを選ぶと思います。

    ウイングビーチの写真、とても素晴らしいです。
    まだここで泳いでいないので、いつか体験してみたいです。
    (道、覚えてるかなぁ・・・)

    okapy

    れいれい

    れいれいさん からの返信 2013/06/23 22:33:12
    RE: サイパンへ帰省、ですね
    okapyさん、こんばんは!

    今年はずっと大人しくしていたんですが、
    満を持してベストシーズンのサイパンへ行って来ました♪

    私の帰省先・・・確かに広島よりサイパンって感じですね(笑)
    最近は札幌のイメージもつきつつあり、サイパンから帰ってきたら職場の人に「また札幌に行っていたのかと思った」と言われてしまいました。

    ひまわりホテルは思ったよりも全然いいホテルでした(^^)
    okapyさんも以前宿泊されてましたよね!
    スタッフの方がとても親切だし、1階がスーパーっていうのはかなり便利ですよね〜
    私も個人手配で一人だったまた泊まると思います。

    ウィングビーチは本当に綺麗ですよ!!
    数あるサイパンのビーチの中でも一番好きなビーチです。
    機会があれば是非外洋にも行ってみてくださいね♪

    あー、またすぐにでも行きたいです。。。

    れいれい


れいれいさんのトラベラーページ

コメントを投稿する前に

十分に確認の上、ご投稿ください。 コメントの内容は攻撃的ではなく、相手の気持ちに寄り添ったものになっていますか?

サイト共通ガイドライン(利用上のお願い)

報道機関・マスメディアの方へ 画像提供などに関するお問い合わせは、専用のお問い合わせフォームからお願いいたします。

旅の計画・記録

マイルに交換できるフォートラベルポイントが貯まる
フォートラベルポイントって?

北マリアナ諸島で使うWi-Fiはレンタルしましたか?

フォートラベル GLOBAL WiFiなら
北マリアナ諸島最安 586円/日~

  • 空港で受取・返却可能
  • お得なポイントがたまる

北マリアナ諸島の料金プランを見る

フォートラベル公式LINE@

おすすめの旅行記や旬な旅行情報、お得なキャンペーン情報をお届けします!
QRコードが読み取れない場合はID「@4travel」で検索してください。

\その他の公式SNSはこちら/

PAGE TOP