グアム旅行記(ブログ) 一覧に戻る
今年は息子家族と一緒に行くグアム。<br />2歳の孫は初めてのグアム・・・<br />プールや海&お魚♪<br />楽しんでもらえるかな〜?<br /><br />ニッコー・ホテルの前のビーチを紹介します。

何度行っても楽しいグアム!!ホテル&ビーチ編?

12いいね!

2013/05/11 - 2013/05/15

4901位(同エリア10502件中)

0

57

玲音

玲音さん

今年は息子家族と一緒に行くグアム。
2歳の孫は初めてのグアム・・・
プールや海&お魚♪
楽しんでもらえるかな〜?

ニッコー・ホテルの前のビーチを紹介します。

旅行の満足度
5.0
同行者
乳幼児連れ家族旅行
旅行の手配内容
個別手配
  • ホテルの前のビーチはプライベートビーチになっています。

    ホテルの前のビーチはプライベートビーチになっています。

  • パラソル&チェアーもマイアミビーチとは違って無料です(^^)

    パラソル&チェアーもマイアミビーチとは違って無料です(^^)

  • 真っ青な空と海!!

    真っ青な空と海!!

  • ビーチからホテルを見たところ。

    ビーチからホテルを見たところ。

  • 恋人岬も近くに見えます。

    恋人岬も近くに見えます。

  • 海は透明度が高く、上からでも魚が泳いでいる様子が見えます。

    海は透明度が高く、上からでも魚が泳いでいる様子が見えます。

  • 餌のパン(左上)を持っていると魚が沢山寄ってきます。

    餌のパン(左上)を持っていると魚が沢山寄ってきます。

  • 孫の足元(左上)にも沢山の魚が・・・

    孫の足元(左上)にも沢山の魚が・・・

  • ここからは今回撮影した魚の写真です。<br />これは色鮮やかなツノダシ。

    ここからは今回撮影した魚の写真です。
    これは色鮮やかなツノダシ。

  • ツノダシの夫婦?

    ツノダシの夫婦?

  • センニンサヨリ<br />海面スレスレのところを群れて泳いでいます。

    センニンサヨリ
    海面スレスレのところを群れて泳いでいます。

  • クギベラが横切っていきました。

    クギベラが横切っていきました。

  • 同じくクギベラ。この魚はグアムの海で良く見ます。<br />色が鮮やかなので目立ちますよ。

    同じくクギベラ。この魚はグアムの海で良く見ます。
    色が鮮やかなので目立ちますよ。

  • イシヨウジ<br />こんな細長い体でも魚なんですね。<br />動きは鈍いです。

    イシヨウジ
    こんな細長い体でも魚なんですね。
    動きは鈍いです。

  • 黄色い色が鮮やかなオオフエヤッコ

    黄色い色が鮮やかなオオフエヤッコ

  • オオフエヤッコとハクテンカタギ。

    オオフエヤッコとハクテンカタギ。

  • ハクテンカタギと珊瑚

    ハクテンカタギと珊瑚

  • こちらは、ペアで泳いでましたよ〜♪

    こちらは、ペアで泳いでましたよ〜♪

  • ミヤコテングハギ。<br />ちょっと怖い顔をしています(*_*;

    ミヤコテングハギ。
    ちょっと怖い顔をしています(*_*;

  • 虹色をしたハコベラ

    虹色をしたハコベラ

  • こちらも模様違い?

    こちらも模様違い?

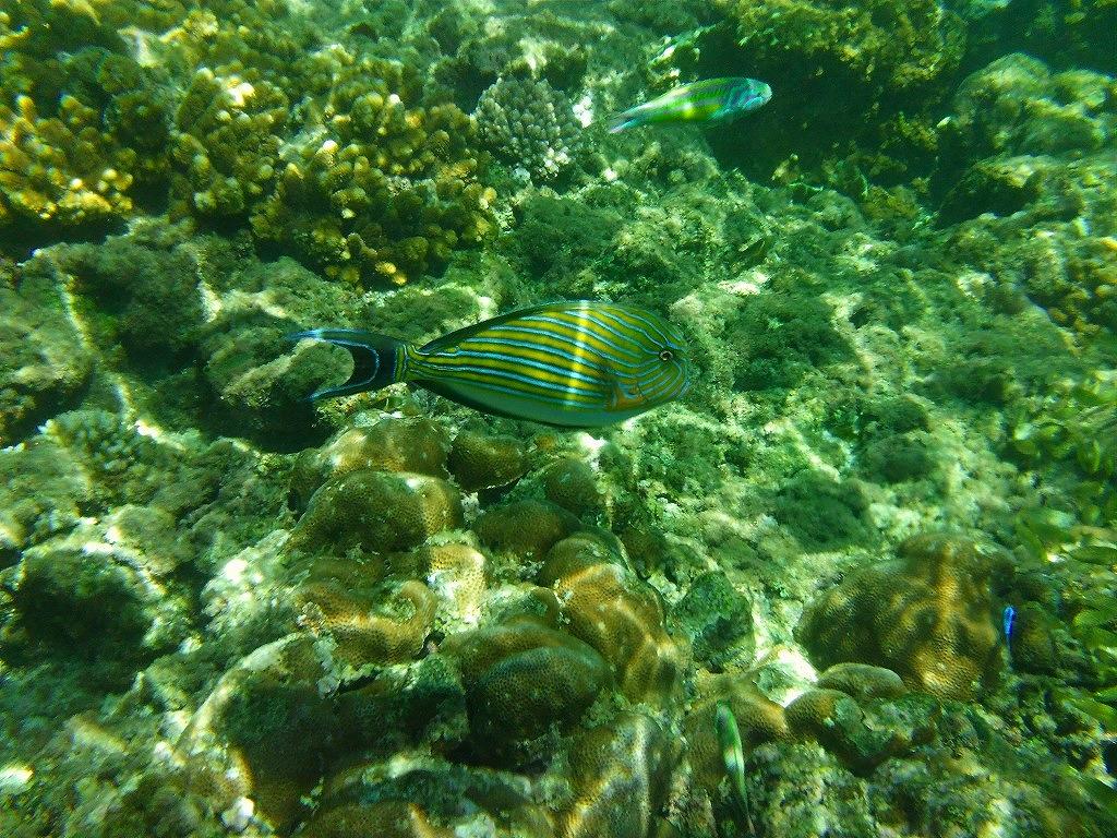
  • ニジハギ。<br />縞模様が綺麗!!

    ニジハギ。
    縞模様が綺麗!!

  • 同じくニジハギ。<br />この魚も良く見ますよ!!

    同じくニジハギ。
    この魚も良く見ますよ!!

  • 名前不明

    名前不明

  • 中央にいるのはニジハギですが、上にはススメダイ?の群れが・・・

    中央にいるのはニジハギですが、上にはススメダイ?の群れが・・・

  • 左はトカラベラの雄。<br />その後ろのシマシマの魚はスズメダイ。

    左はトカラベラの雄。
    その後ろのシマシマの魚はスズメダイ。

  • こちらはトカラベラの雌<br />トカラベラは、雄と雌では色が違うそうです。

    こちらはトカラベラの雌
    トカラベラは、雄と雌では色が違うそうです。

  • ヤリカタギが2匹お食事中?<br />右にはフエヤッコダイも。

    ヤリカタギが2匹お食事中?
    右にはフエヤッコダイも。

  • 背中に水玉模様の魚発見!!

    背中に水玉模様の魚発見!!

  • クロハコフグでした(^.^)<br />

    クロハコフグでした(^.^)

  • ウツボだ〜〜!!<br />この海では毎回見かけますが、ちょっと怖い(*_*;

    ウツボだ〜〜!!
    この海では毎回見かけますが、ちょっと怖い(*_*;

  • 珊瑚の間に何か青いものが・・・

    珊瑚の間に何か青いものが・・・

  • これはアオヒトデ!!<br />鮮やかな青ですよね。

    これはアオヒトデ!!
    鮮やかな青ですよね。

  • ブルーの色が綺麗な魚。

    ブルーの色が綺麗な魚。

  • ハゲブダイ。

    ハゲブダイ。

  • 美しい筋模様のハナグロチョウチョウウオが2匹。

    美しい筋模様のハナグロチョウチョウウオが2匹。

  • 本当に蝶々みたいに優雅ですね!!

    本当に蝶々みたいに優雅ですね!!

  • ピンクの珊瑚の周りにいる小さな魚達。

    ピンクの珊瑚の周りにいる小さな魚達。

  • 真ん中にいるのはタスキモンガラ。<br />この仲間、冬場には足を攻撃するので要注意!!<br />今回はセーフでした。

    真ん中にいるのはタスキモンガラ。
    この仲間、冬場には足を攻撃するので要注意!!
    今回はセーフでした。

  • パンダみたいな白黒の魚。

    パンダみたいな白黒の魚。

  • ヤリカタギという魚。<br />体長約18cm位です。

    ヤリカタギという魚。
    体長約18cm位です。

  • 前の魚と似ているけど・・・これは?

    前の魚と似ているけど・・・これは?

  • スダレ・チョウチョウウオです。<br />仲良く泳いでいました。

    スダレ・チョウチョウウオです。
    仲良く泳いでいました。

  • 赤い珊瑚が綺麗です!!

    赤い珊瑚が綺麗です!!

  • ブルーの珊瑚。<br />小さなブルーの魚も見えます。

    ブルーの珊瑚。
    小さなブルーの魚も見えます。

  • 珊瑚を横切るニジハギ。

    珊瑚を横切るニジハギ。

  • 珊瑚の種類も色々と見れますよ。

    珊瑚の種類も色々と見れますよ。

  • 右下はナマコ。<br />最近は少なくなりましたね。

    右下はナマコ。
    最近は少なくなりましたね。

  • 海中に日差しが届いて、キラキラ!!とても綺麗です。<br />チョウチョウウオがまるで珊瑚に咲いたお花のよう!!

    海中に日差しが届いて、キラキラ!!とても綺麗です。
    チョウチョウウオがまるで珊瑚に咲いたお花のよう!!

  • 突然現れた大群にビックリ!!<br />近すぎてボケてます(&gt;_&lt;)<br />

    突然現れた大群にビックリ!!
    近すぎてボケてます(>_<)

  • まるでイワシの回遊みたいに私の周りを<br />グルグル。。。。(@_@)<br />赤地に黒の横縞模様の魚でした。<br />小さな魚でも大群で泳いでいると迫力がありますよ!!<br />

    まるでイワシの回遊みたいに私の周りを
    グルグル。。。。(@_@)
    赤地に黒の横縞模様の魚でした。
    小さな魚でも大群で泳いでいると迫力がありますよ!!

  • 優雅に泳ぐ魚を見てホッ!

    優雅に泳ぐ魚を見てホッ!

  • 珊瑚と魚のコラボレーション。<br />今回は写せませんでしたが、他にも大きな魚の大群等も見れます。<br />

    珊瑚と魚のコラボレーション。
    今回は写せませんでしたが、他にも大きな魚の大群等も見れます。

  • ここのビーチは沢山の魚が見れて、まるで水族館みたいです。<br />とくにお勧めは朝。<br />魚のお食事タイムにシュノーケリングしてみてくださいね。

    ここのビーチは沢山の魚が見れて、まるで水族館みたいです。
    とくにお勧めは朝。
    魚のお食事タイムにシュノーケリングしてみてくださいね。

  • 夜のビーチ

    夜のビーチ

  • 何となくロマンチック(^^)

    何となくロマンチック(^^)

  • 隣にあるザ・ビーチ。ライトアップされていて綺麗でした。

    隣にあるザ・ビーチ。ライトアップされていて綺麗でした。

この旅行記のタグ

12いいね!

利用規約に違反している投稿は、報告する事ができます。 問題のある投稿を連絡する

コメントを投稿する前に

十分に確認の上、ご投稿ください。 コメントの内容は攻撃的ではなく、相手の気持ちに寄り添ったものになっていますか?

サイト共通ガイドライン(利用上のお願い)

報道機関・マスメディアの方へ 画像提供などに関するお問い合わせは、専用のお問い合わせフォームからお願いいたします。

旅の計画・記録

マイルに交換できるフォートラベルポイントが貯まる
フォートラベルポイントって?

グアムで使うWi-Fiはレンタルしましたか?

フォートラベル GLOBAL WiFiなら
グアム最安 459円/日~

  • 空港で受取・返却可能
  • お得なポイントがたまる

グアムの料金プランを見る

フォートラベル公式LINE@

おすすめの旅行記や旬な旅行情報、お得なキャンペーン情報をお届けします!
QRコードが読み取れない場合はID「@4travel」で検索してください。

\その他の公式SNSはこちら/

PAGE TOP