慶良間諸島旅行記(ブログ) 一覧に戻る
 本年度からしばらくお世話になる慶良間でのダイビング日誌シリーズを新たに立ち上げることにしました。<br /> 来年度には,宮古島でも潜ってみたいと思ってます。<br /> まだ,ダイビング経験数本のひよっこダイバー(笑)<br />今夏にはAOW取得を目指してるので.成長を温かく見守ってやってください。<br /><br /> 昨年7月のカンクンに行ったときにダイビングのCカードを取得することを決意。<br />10月にOWD取得するときに来てからはや7か月。<br />ブランクダイバーに焦りつつ,早くカンをとりもどさねば。<br /> LCCも本年度から本格的に便数が増え,本州よりも気軽に那覇までひとっとび~♪ができる環境が整ったので,那覇でのベースになるダイビングショップを探し,ようやく本格的にダイビング開始です。<br /><br />今回は,2泊3日で中日の5月12日(日)にケラマで潜りました。<br />水中写真の初級コースも同時に受講しました。<br /><br />Dive Shop:MARINE PRODUCT<br />license:OWD<br />Camera:Olympus E-PL5<br />temp:26℃<br />Dive No.<br />no.7 アリガー Ave. 9.2m Max 13.5m w.t. 23.7℃<br />no.8 野    崎 Ave.10.6m Max 17.4m w.t. 23.5℃<br />no.9 儀志布西 Ave. 6.3m Max 13.3m w.t. 23.7℃<br />     <br />

まった~り♪のんび~り♪ ケラマのうみ日誌part1

15いいね!

2013/05/11 - 2013/05/13

800位(同エリア1668件中)

2

33

Bying

Byingさん

 本年度からしばらくお世話になる慶良間でのダイビング日誌シリーズを新たに立ち上げることにしました。
 来年度には,宮古島でも潜ってみたいと思ってます。
 まだ,ダイビング経験数本のひよっこダイバー(笑)
今夏にはAOW取得を目指してるので.成長を温かく見守ってやってください。

 昨年7月のカンクンに行ったときにダイビングのCカードを取得することを決意。
10月にOWD取得するときに来てからはや7か月。
ブランクダイバーに焦りつつ,早くカンをとりもどさねば。
 LCCも本年度から本格的に便数が増え,本州よりも気軽に那覇までひとっとび~♪ができる環境が整ったので,那覇でのベースになるダイビングショップを探し,ようやく本格的にダイビング開始です。

今回は,2泊3日で中日の5月12日(日)にケラマで潜りました。
水中写真の初級コースも同時に受講しました。

Dive Shop:MARINE PRODUCT
license:OWD
Camera:Olympus E-PL5
temp:26℃
Dive No.
no.7 アリガー Ave. 9.2m Max 13.5m w.t. 23.7℃
no.8 野 崎 Ave.10.6m Max 17.4m w.t. 23.5℃
no.9 儀志布西 Ave. 6.3m Max 13.3m w.t. 23.7℃

旅行の満足度
5.0
観光
5.0
同行者
一人旅
一人あたり費用
5万円 - 10万円
交通手段
ジェットスター
旅行の手配内容
個別手配
  • 5月11日(土)1日目 関空→那覇→おもろまち<br /><br />大阪難波まで行き,航空券購入時に同時購入したジェットスターナンカイ切符を利用して,ラピートで関空へ向かいました。37分で片道1000円は早くて安い!

    5月11日(土)1日目 関空→那覇→おもろまち

    大阪難波まで行き,航空券購入時に同時購入したジェットスターナンカイ切符を利用して,ラピートで関空へ向かいました。37分で片道1000円は早くて安い!

  • GK287 KIX15:05→OKA17:05<br /><br />-------------------------------------------------------------<br />LCCは,だれが何を言おうとジェットスタージャパン1択です。<br />搭乗までは,突然のスケジュール変更や,???なところがしばしば発生する「ジェットスタークオリティ」なところで笑わせてくれる部分があります。しかし,離陸すれば大手とそん色ないです。座席は,座ってこぶしを縦に1つ分入るくらいのスペースなので,搭乗前にトイレにしっかり行っていれば,2時間位余裕。それに勝る低価格。<br />ジェットスターのいいところ。<br /><オプションのスタータープラス(990円)が使える。><br />・差額支払いで出発直前まで何回でも日程変更できる。<br />・前方と非常口以外の座席指定が購入時に可。<br />・次回購入時に使用可能な400円分のバウチャーが後日メールで届く。<br /> もしくは,カンタスのマイルカウントも選択可。<br />・搭乗券が機内で使用できる500円分の金券になる。<br /><br />仕事身の人間にとって,日程変更が何度でも変更できるが◎。バーゲンしている際にとりあえずチケットを押さえて,いざ行けなくなっても,代替えの日に振り替えてしまえば無駄にならない。保険として使えます。<br />また,座席指定も窓側をとろうとしたら,購入時じゃないとまず選べない。<br />48時間前のWEBチェックイン時に開放はされるが遅すぎです。<br />-----------------------------------------------------------------<br /><br />搭乗開始は,14時50分ですが,時間になってもこない…。<br />15時過ぎにようやく前の便到着。搭乗率は,ほぼ100%。<br />さすがに週末の関空便で1日1便しかなけりゃそうなるな。<br />6月から2便に増便になるので,使いやすくなります。<br />30分遅れで出発です。機内では,価格が地上比200%のジェットスターカフェをスタータープラスの金券500円を利用して,カップヌードル350円とミネラルウォーター150円に引換えして軽食後,しばし仮眠。

    GK287 KIX15:05→OKA17:05

    -------------------------------------------------------------
    LCCは,だれが何を言おうとジェットスタージャパン1択です。
    搭乗までは,突然のスケジュール変更や,???なところがしばしば発生する「ジェットスタークオリティ」なところで笑わせてくれる部分があります。しかし,離陸すれば大手とそん色ないです。座席は,座ってこぶしを縦に1つ分入るくらいのスペースなので,搭乗前にトイレにしっかり行っていれば,2時間位余裕。それに勝る低価格。
    ジェットスターのいいところ。
    <オプションのスタータープラス(990円)が使える。>
    ・差額支払いで出発直前まで何回でも日程変更できる。
    ・前方と非常口以外の座席指定が購入時に可。
    ・次回購入時に使用可能な400円分のバウチャーが後日メールで届く。
     もしくは,カンタスのマイルカウントも選択可。
    ・搭乗券が機内で使用できる500円分の金券になる。

    仕事身の人間にとって,日程変更が何度でも変更できるが◎。バーゲンしている際にとりあえずチケットを押さえて,いざ行けなくなっても,代替えの日に振り替えてしまえば無駄にならない。保険として使えます。
    また,座席指定も窓側をとろうとしたら,購入時じゃないとまず選べない。
    48時間前のWEBチェックイン時に開放はされるが遅すぎです。
    -----------------------------------------------------------------

    搭乗開始は,14時50分ですが,時間になってもこない…。
    15時過ぎにようやく前の便到着。搭乗率は,ほぼ100%。
    さすがに週末の関空便で1日1便しかなけりゃそうなるな。
    6月から2便に増便になるので,使いやすくなります。
    30分遅れで出発です。機内では,価格が地上比200%のジェットスターカフェをスタータープラスの金券500円を利用して,カップヌードル350円とミネラルウォーター150円に引換えして軽食後,しばし仮眠。

  • 結局,約30分遅れのまま那覇空港に到着。<br />同時間に出発のANA便も36分遅れでした。<br />空港からゆいれーるに乗り換え,今回の宿泊地おもろまちまで向かいました。<br /><br /><br />

    結局,約30分遅れのまま那覇空港に到着。
    同時間に出発のANA便も36分遅れでした。
    空港からゆいれーるに乗り換え,今回の宿泊地おもろまちまで向かいました。


  • ダイワロイネットホテル那覇おもろまち着。<br />昨秋より那覇市内ホテルを順番に試してます。<br />りらっくすホテル→リブレガーデンホテルときて,今回が3件目。<br />前々から気になってたダイワロイネットの那覇おもろまちに宿泊しました。<br />できてまだ1年ほどの真新しいホテルです。スタンダートダブルで予約したのですが,指定された14階の部屋を開けると,デラックスダブルにアップグレードされてました。らっきー!

    ダイワロイネットホテル那覇おもろまち着。
    昨秋より那覇市内ホテルを順番に試してます。
    りらっくすホテル→リブレガーデンホテルときて,今回が3件目。
    前々から気になってたダイワロイネットの那覇おもろまちに宿泊しました。
    できてまだ1年ほどの真新しいホテルです。スタンダートダブルで予約したのですが,指定された14階の部屋を開けると,デラックスダブルにアップグレードされてました。らっきー!

  • 一人で利用するには十分の広さ。何気にソファーが気に入りました。<br />そして,外は…

    一人で利用するには十分の広さ。何気にソファーが気に入りました。
    そして,外は…

  • 隣に,30階建てのツインタワーマンションを建設中。新都心のおもろまちは,まだまだ発展していきそうな雰囲気でお気に入りの場所です。<br />遠くには,港にかかる橋も見えました。高層階しかないこのホテルの夜景は雰囲気いいですよ〜。一人で行ったのであまり関係なかったですが(笑)

    隣に,30階建てのツインタワーマンションを建設中。新都心のおもろまちは,まだまだ発展していきそうな雰囲気でお気に入りの場所です。
    遠くには,港にかかる橋も見えました。高層階しかないこのホテルの夜景は雰囲気いいですよ〜。一人で行ったのであまり関係なかったですが(笑)

  • さて,観光メインではないので,とっととケラマへGO!<br />といっても,下船時の写真を流用w<br /><br />5月12日(日)2日目 おもろまち→ケラマ諸島→おもろまち<br /><br />こんなボートに5社のダイビングショップ乗合。お客11名,DSスタッフ12名の総勢23名でケラマ諸島に向かいました。<br /> 今回受講の「楽しい水中写真レベル1」の説明をインストラクターS氏より受けながら,約1時間ほど乗船して,ダイビングポイントへ。<br /> 波も比較的おだやかで,そんなに揺れなかったのですが,前日の寝不足がたたって,暑くないのに汗がとまらなく???ちょっと体調おかしいぞ?<br /> S氏より,「軽い船酔いですね。」<br />いままで,船酔いになったことないbyingは,どうしよう。3本もぐれるかなぁ。不安を抱えながら,1本目のポイントにつきました。<br /> 

    さて,観光メインではないので,とっととケラマへGO!
    といっても,下船時の写真を流用w

    5月12日(日)2日目 おもろまち→ケラマ諸島→おもろまち

    こんなボートに5社のダイビングショップ乗合。お客11名,DSスタッフ12名の総勢23名でケラマ諸島に向かいました。
     今回受講の「楽しい水中写真レベル1」の説明をインストラクターS氏より受けながら,約1時間ほど乗船して,ダイビングポイントへ。
     波も比較的おだやかで,そんなに揺れなかったのですが,前日の寝不足がたたって,暑くないのに汗がとまらなく???ちょっと体調おかしいぞ?
     S氏より,「軽い船酔いですね。」
    いままで,船酔いになったことないbyingは,どうしよう。3本もぐれるかなぁ。不安を抱えながら,1本目のポイントにつきました。
     

  • 1本目は,アリガーです。渡嘉敷島西側のポイントです。<br />半年以上のブランクがあったのと,軽い船酔いから,不安を抱えつつもエントリー。<br />BCDの空気抜いて,ボートを係留したロープを伝いながらゆっくり降りていきました。<br />すぐにこんな光景がひろがり,リラックスでき,ゆっくり散策開始です。<br />潜ってよかった〜。

    1本目は,アリガーです。渡嘉敷島西側のポイントです。
    半年以上のブランクがあったのと,軽い船酔いから,不安を抱えつつもエントリー。
    BCDの空気抜いて,ボートを係留したロープを伝いながらゆっくり降りていきました。
    すぐにこんな光景がひろがり,リラックスでき,ゆっくり散策開始です。
    潜ってよかった〜。

  • 着底から数分もしないうちに,早くも本日のターゲットその1。クマノミに<br />ご対面〜♪ホント,ニモワールドが目の前に。

    着底から数分もしないうちに,早くも本日のターゲットその1。クマノミに
    ご対面〜♪ホント,ニモワールドが目の前に。

  • 名前わかんないんですが,きれいな海藻?海草?も見つけました。

    名前わかんないんですが,きれいな海藻?海草?も見つけました。

  • サンゴを撮影。最初,2〜3m位離れて撮影したんだけど,いまいち青っぽい。水中で,標準装備では,フラッシュが1M位までしか届かないとな。<br />s氏が接近して再度お手本撮影。赤色キレイに発色。なるほど〜。

    イチオシ

    サンゴを撮影。最初,2〜3m位離れて撮影したんだけど,いまいち青っぽい。水中で,標準装備では,フラッシュが1M位までしか届かないとな。
    s氏が接近して再度お手本撮影。赤色キレイに発色。なるほど〜。

  • これも名前わかんないんですが,きれいな海藻?海草?その2。

    これも名前わかんないんですが,きれいな海藻?海草?その2。

  • 約40分ほど潜って,5Mでの安全停止3分後,海面へ。<br />ようやく,エントリーからイグジットまでの感覚が戻ってきました。

    約40分ほど潜って,5Mでの安全停止3分後,海面へ。
    ようやく,エントリーからイグジットまでの感覚が戻ってきました。

  • 30分ほどボートで休憩しつつ,北に10分ほど移動した,同じく渡嘉敷島西側の野崎で,2本目エントリー。<br />ここは,サンゴ群生が非常に有名なところで,<br />長時間ボートを係留できないポイントだそうです。<br />さっきのところよりも確かに魚多いし,クマノミも<br />そこらじゅうにいる。ニモワールドそのまんまだよ。<br />バシバシ撮っちゃいましょう〜。の声に答えなくては。

    30分ほどボートで休憩しつつ,北に10分ほど移動した,同じく渡嘉敷島西側の野崎で,2本目エントリー。
    ここは,サンゴ群生が非常に有名なところで,
    長時間ボートを係留できないポイントだそうです。
    さっきのところよりも確かに魚多いし,クマノミも
    そこらじゅうにいる。ニモワールドそのまんまだよ。
    バシバシ撮っちゃいましょう〜。の声に答えなくては。

  • 何枚も角度をかえ,接近し,クマノミを撮る。撮る。撮る。<br />その結果。<br />お気に入りその1です。

    何枚も角度をかえ,接近し,クマノミを撮る。撮る。撮る。
    その結果。
    お気に入りその1です。

  • お気に入りその2です。

    イチオシ

    お気に入りその2です。

  • 最後は,別の場所で親子で発見!

    最後は,別の場所で親子で発見!

  • s氏の後を移動中。やっぱり透明度最高です。

    s氏の後を移動中。やっぱり透明度最高です。

  • 上を見上げると,無数のさかなが。海との一体感を感じた瞬間でした。

    上を見上げると,無数のさかなが。海との一体感を感じた瞬間でした。

  • 尾びれがちょっと変わった形の魚を発見。<br />これも名前わかんないです。

    尾びれがちょっと変わった形の魚を発見。
    これも名前わかんないです。

  • ちょっと突き出た岩の上に大きなサンゴを発見。<br />陰に魚が隠れてました。

    ちょっと突き出た岩の上に大きなサンゴを発見。
    陰に魚が隠れてました。

  • いかにも熱帯魚といった感じの魚もいました。

    いかにも熱帯魚といった感じの魚もいました。

  • これもです。<br /><br />同じく40分くらいで,イグジット。<br />大分慣れてきました。<br />船上でお昼ご飯を食べて,次のポイントへ。

    これもです。

    同じく40分くらいで,イグジット。
    大分慣れてきました。
    船上でお昼ご飯を食べて,次のポイントへ。

  • 3本目は,儀志布西。<br />渡嘉敷島の北側の島,儀志布島の西側のポイントです。<br />ここ,アオウミガメがよく見られるんですよ〜。<br />の言葉に期待高まったままエントリー。<br /><br />着底して,移動すること数分。<br /><br />????<br />何かいないか?

    3本目は,儀志布西。
    渡嘉敷島の北側の島,儀志布島の西側のポイントです。
    ここ,アオウミガメがよく見られるんですよ〜。
    の言葉に期待高まったままエントリー。

    着底して,移動すること数分。

    ????
    何かいないか?

  • さっそくアオウミガメとご対面・・・<br />って,岩のなかに首突っ込んでなにやってるんさ?

    さっそくアオウミガメとご対面・・・
    って,岩のなかに首突っ込んでなにやってるんさ?

  • ごそごそっ♪<br /><br />ごそごそっ♪

    イチオシ

    ごそごそっ♪

    ごそごそっ♪

  • …ん?<br /><br />

    …ん?

  • ……ごそごそっ。<br /><br />再び,岩の中に首突っ込んでしまいました。<br />なんかいるんでしょうか?<br />人間には目もくれず,必至にお食事中みたい。<br />思わず( ̄▽ ̄)<br />こんな自然な光景,水族館じゃみられないよ。<br />やっぱり潜ったかいあったよ。

    ……ごそごそっ。

    再び,岩の中に首突っ込んでしまいました。
    なんかいるんでしょうか?
    人間には目もくれず,必至にお食事中みたい。
    思わず( ̄▽ ̄)
    こんな自然な光景,水族館じゃみられないよ。
    やっぱり潜ったかいあったよ。

  • なんかの卵っていってました。

    なんかの卵っていってました。

  • 青のヒトデもいました。

    青のヒトデもいました。

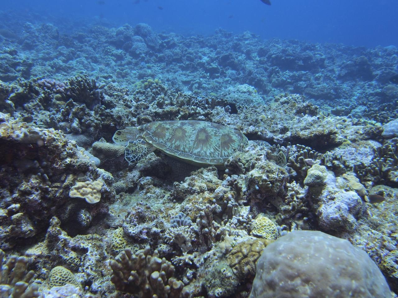
  • 別のところでは,じっとしてて,お休み中。<br />こうやってみると,甲羅の模様,見事に岩に同化しちゃうね。<br />注意深くみないとわかんないね。<br />

    別のところでは,じっとしてて,お休み中。
    こうやってみると,甲羅の模様,見事に岩に同化しちゃうね。
    注意深くみないとわかんないね。

  • 岩に巨大なサンゴが。

    岩に巨大なサンゴが。

  • 最初の2か所では,1匹も会えなかったアオウミガメに何回も出会えて最高!水中を移動しながらの撮影は,まだ慣れていなくバランスをとるのが大変でしたが,癒されました。<br />AOW取得して,もっとキレイにいっぱい水中写真とるぞ〜。<br />そう決意しつつ,浮上していきました。<br /><br /><br /><br /><br />

    最初の2か所では,1匹も会えなかったアオウミガメに何回も出会えて最高!水中を移動しながらの撮影は,まだ慣れていなくバランスをとるのが大変でしたが,癒されました。
    AOW取得して,もっとキレイにいっぱい水中写真とるぞ〜。
    そう決意しつつ,浮上していきました。




この旅行記のタグ

関連タグ

15いいね!

利用規約に違反している投稿は、報告する事ができます。 問題のある投稿を連絡する

この旅行記へのコメント (2)

開く

閉じる

  • aoitomoさん 2013/05/21 00:57:54
    ケラマの水中は最高でしょう!!
    Byingさん こんばんは〜

    Byingさんもダイビングに目覚めましたね。
    水中に頭が入った瞬間から別世界ですからね。
    仲間が増えた感じでうれしいです。
    最近では、いいえ 前からありますが、本島からケラマまで行ってダイビングして戻ってくるパターンがあるんですよね。
    これなら時間を節約してケラマに潜って関空帰ってくることが出来ますね。
    LCCもあり、沖縄も行きやすくなりました。

    昔はOWがあればどこでも潜れましたが、今ではAOWがないと水深18m以上潜れなくなったんですね。
    夏にはAOW取得を目指してると書かれていますが、早めにAOW取って夏は海外でダイブもありですよ!

    ちなみに、赤色のきれいなサンゴは「オオイソバナ」といいます。
    水中ですと赤いのが気づきにくいです。
    いきなり見事な写真が取れてますね。
    これが見られるのは潮の流れのあるところです。

    Byingさんケラマのうみ日誌の続きを楽しみにしております。

    aoitomo

    Bying

    Byingさん からの返信 2013/05/21 12:35:44
    RE: ケラマの水中は最高でしょう!!
    > Byingさん こんばんは〜

    aoitomoさま。いつもおこしいただきありがとうございます。
    また,投票ありがとうございます。
    >
    > Byingさんもダイビングに目覚めましたね。
    > 水中に頭が入った瞬間から別世界ですからね。
    > 仲間が増えた感じでうれしいです。

    これで,まだ9本目のひよっこダイバーですが,自分も魚になったかのような浮遊感は最高ですね。世界も一気に広がった感じで,始めてよかったって思ってます。

    > 最近では、いいえ 前からありますが、本島からケラマまで行ってダイビングして戻ってくるパターンがあるんですよね。
    > これなら時間を節約してケラマに潜って関空帰ってくることが出来ますね。
    > LCCもあり、沖縄も行きやすくなりました。

    日程的には,潜り終わって18時間の搭乗制限があるので,その日のうちに帰れず,最低でも2泊3日必要で有給取得次第ですが,料金的には,劇的に行きやすくなりましたね。LCCで早めかバーゲンで取得すれば,片道平均5000円〜10000円位なのは,昨年以前では考えられない価格です。
    伊豆や串本にでかけても,それ位かかって,時間もそれ以上かかるなら,気軽に那覇ベースのほうが,お気楽です♪
    >
    > 昔はOWがあればどこでも潜れましたが、今ではAOWがないと水深18m以上潜れなくなったんですね。
    > 夏にはAOW取得を目指してると書かれていますが、早めにAOW取って夏は海外でダイブもありですよ!

    そうですね。海外の状況はわかりませんが,国内のPADIでは,まず,制限がかかってくると思います。
    よくお越しいただいているだけあって,流石byingのパターン読まれてますね(笑)7月にAOW受講は,ほぼ確定ですが,9月に3連休と夏休みを併せてとりたいけど調整が…。な状態です。
    カンクンに再び行って潜りたいんですけどね。
    >
    > ちなみに、赤色のきれいなサンゴは「オオイソバナ」といいます。
    > 水中ですと赤いのが気づきにくいです。
    > いきなり見事な写真が取れてますね。
    > これが見られるのは潮の流れのあるところです。

    ありがとうございます。助かります。この旅行記,多少修正と追加をする予定なので,その時に反映させていただきます。
    水中動植物全くわかってない状態なので,今後もいろいろ教えてくださいね。

    > Byingさんケラマのうみ日誌の続きを楽しみにしております。

    次回は,もっと,いいねと言われる写真を撮ってきます。
    aoitomoさまの,旅行記の見せ方には,毎回感心させられるところ多々ありますので,そういうのも加えて行けたらと思ってます。引き続き,楽しみにしていますね。
    ありがとうございました。

    bying


Byingさんのトラベラーページ

コメントを投稿する前に

十分に確認の上、ご投稿ください。 コメントの内容は攻撃的ではなく、相手の気持ちに寄り添ったものになっていますか?

サイト共通ガイドライン(利用上のお願い)

報道機関・マスメディアの方へ 画像提供などに関するお問い合わせは、専用のお問い合わせフォームからお願いいたします。

旅の計画・記録

マイルに交換できるフォートラベルポイントが貯まる
フォートラベルポイントって?

フォートラベル公式LINE@

おすすめの旅行記や旬な旅行情報、お得なキャンペーン情報をお届けします!
QRコードが読み取れない場合はID「@4travel」で検索してください。

\その他の公式SNSはこちら/

タグから国内旅行記(ブログ)を探す

価格.com旅行・トラベルホテル・旅館を比較

PAGE TOP