その他の観光地旅行記(ブログ) 一覧に戻る
旅の連れは、チャンドラーの『長いお別れ』。これをひねもすビーチで読みたいと思っていましたが、実際には結構寒くて、海の近くでは風にページが飛ばされるので、すごすごブレに戻るというのも良くあることでした。<br /><br />しかし天候なんてどうでも良くなるくらい、海の中が面白かったです。元気なお魚がたくさんいて、ひとたび入ってしまえばなかなか出ることが出来ませんでした。のんびりしに来たつもりが、ダイビングを2回したり、ずっと海で泳いでいたりと、なかなか元気に過ごしていました。<br /><br />日本との時差は+3時間。帰国後もちょっと早く眠くなるくらいで、時差ぼけに悩まされることが殆どないのも良かったです。

2011年夏フィジー旅行(2) 初めてのダイビング

10いいね!

2011/08/11 - 2011/08/17

38位(同エリア122件中)

2

49

なつめ

なつめさん

旅の連れは、チャンドラーの『長いお別れ』。これをひねもすビーチで読みたいと思っていましたが、実際には結構寒くて、海の近くでは風にページが飛ばされるので、すごすごブレに戻るというのも良くあることでした。

しかし天候なんてどうでも良くなるくらい、海の中が面白かったです。元気なお魚がたくさんいて、ひとたび入ってしまえばなかなか出ることが出来ませんでした。のんびりしに来たつもりが、ダイビングを2回したり、ずっと海で泳いでいたりと、なかなか元気に過ごしていました。

日本との時差は+3時間。帰国後もちょっと早く眠くなるくらいで、時差ぼけに悩まされることが殆どないのも良かったです。

  • マナ島では体験ダイビングをすることができます。申し込んでみたところとっても楽しかったので、急きょ翌日もダイビング&シュノーケルツアーに参加することにしました。

    マナ島では体験ダイビングをすることができます。申し込んでみたところとっても楽しかったので、急きょ翌日もダイビング&シュノーケルツアーに参加することにしました。

  • ダイビングショップ「アクアトレック」<br /><br />日本人のスタッフの方が常駐し、講習も日本語でしてくれるので安心です。<br />防水・水中対応のデジカメのレンタルもしており、自分で持って行った使い捨てカメラでは撮りきってしまったので、この日レンタルしてみました。

    ダイビングショップ「アクアトレック」

    日本人のスタッフの方が常駐し、講習も日本語でしてくれるので安心です。
    防水・水中対応のデジカメのレンタルもしており、自分で持って行った使い捨てカメラでは撮りきってしまったので、この日レンタルしてみました。

  • 小型ボートに乗って、ダイビングポイントへ。

    小型ボートに乗って、ダイビングポイントへ。

  • 重い重いタンクを背中にしょいこみ、出発。

    重い重いタンクを背中にしょいこみ、出発。

  • 海の中へ。

    海の中へ。

  • お魚と目が合いました!かわいいなあ〜。

    お魚と目が合いました!かわいいなあ〜。

  • 群れをなして移動していました。

    群れをなして移動していました。

  • 一緒のボートで乗り込んだ方々。

    一緒のボートで乗り込んだ方々。

  • 竜宮城みたい。

    竜宮城みたい。

  • 無人島に到着。

    無人島に到着。

  • マナ島が見えます。

    マナ島が見えます。

  • ここでみんなでおやつを食べました。このあとはシュノーケリングをしたのですが、初めてのシュノーケリングはなかなか自分には難しく、写真を撮る余裕はなかったです…。

    ここでみんなでおやつを食べました。このあとはシュノーケリングをしたのですが、初めてのシュノーケリングはなかなか自分には難しく、写真を撮る余裕はなかったです…。

  • マナ島に戻ります。<br /><br />スタッフさんの息子さんが。かわいい。

    マナ島に戻ります。

    スタッフさんの息子さんが。かわいい。

  • カメラを向けると決めポーズ。

    カメラを向けると決めポーズ。

  • 水中対応のカメラは1日レンタルだったので、素潜りのときにもカメラを持って行ってみました。

    水中対応のカメラは1日レンタルだったので、素潜りのときにもカメラを持って行ってみました。

  • 海の中はなんというか、結構生々しい感じ。

    海の中はなんというか、結構生々しい感じ。

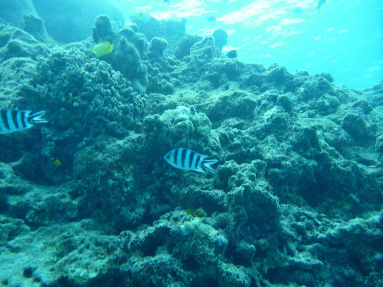
  • 岩場にはたくさんのお魚が。

    岩場にはたくさんのお魚が。

  • 白子みたい。

    白子みたい。

  • 白子(仮)の横の穴に、お魚が何度も出たり入ったりしている様子を、じーっと眺めました。

    白子(仮)の横の穴に、お魚が何度も出たり入ったりしている様子を、じーっと眺めました。

  • すい〜っと泳いでいて、気持ちよさそうです。

    すい〜っと泳いでいて、気持ちよさそうです。

  • お花が咲いているようにも見えます。

    お花が咲いているようにも見えます。

  • 気付けば結構大きなお魚がすぐ隣を泳いでいたりして、危ない感じがするわけではないのですが、一瞬ひやっとしました。

    気付けば結構大きなお魚がすぐ隣を泳いでいたりして、危ない感じがするわけではないのですが、一瞬ひやっとしました。

  • 家族かな?

    家族かな?

  • ダイビング前の講習で海のお話を聞いたあとに海に入ると、新たな発見があって面白かったです。<br />

    ダイビング前の講習で海のお話を聞いたあとに海に入ると、新たな発見があって面白かったです。

  • あっという間に最終日。次は滞在だけで1週間くらいしたいですねえ。

    あっという間に最終日。次は滞在だけで1週間くらいしたいですねえ。

  • 帰りも歌とともに。

    帰りも歌とともに。

  • 桟橋にはお世話になったスタッフやゲストの方々が。

    桟橋にはお世話になったスタッフやゲストの方々が。

  • また来ますね〜!

    また来ますね〜!

この旅行記のタグ

10いいね!

利用規約に違反している投稿は、報告する事ができます。 問題のある投稿を連絡する

この旅行記へのコメント (2)

開く

閉じる

  • belleduneさん 2012/07/26 07:52:51
    フィジーに行ってみたいです...
    なつめさん、フィジーへダイビングですか、良いですね!
    一度フィジーに行ってみたいと思っています。以前、六本木にあるフィジー大使館の大使と参事官に日本語を1年程教えていたことがあります。
    イギリス領だったこともあり、肌の色もまちまちでした。
    ダイビングは随分していないので、懐かしいです。
    ハネムーンにタヒチに行ったのですが、その時はまだダイビングを始める前だったので、シュノーケリングなどでお魚を眺めていただけでした。
    のんびりするには、最高のスポーツですね。一度だけ海外で潜ったことがありますが、タンクの酸素が急激に減ってしまい、25m位の海中で、リーダーのタンクと交換したことがあります。自分のマスクを外して、リーダーのマスクを付ける瞬間がとても緊張しました。ここで咽てしまうと、危険ですからね。心臓バクバクでした。皆も周りに来て、あまり見られないこの様子をじっと観察していました。舟に上がってから、早めに気が付くようにして!と叱られました。何事もなくて、良かったですが、またダイビングに挑戦してみたいです。
    またお邪魔します。

    なつめ

    なつめさん からの返信 2012/08/04 11:08:30
    RE: フィジーに行ってみたいです...
    belleduneさん、こんにちは。コメントありがとうございます♪

    このときフィジーで初めて体験ダイビングをしたのですが、お魚や海の様子をのんびり眺められて、想像以上に素敵な体験でした。はまりそうです。

    フィジーはとってもいいところでした。マナ島でもナンディのダウンタウンでも、フィジーの方々には優しくして頂いて、フィジーで過ごした一週間はとてもいい思い出となりました。ぜひぜひ行かれてみてください。
    タヒチ、いいですねー。憧れます。わたしもいつか行ってみたいものです。

なつめさんのトラベラーページ

コメントを投稿する前に

十分に確認の上、ご投稿ください。 コメントの内容は攻撃的ではなく、相手の気持ちに寄り添ったものになっていますか?

サイト共通ガイドライン(利用上のお願い)

報道機関・マスメディアの方へ 画像提供などに関するお問い合わせは、専用のお問い合わせフォームからお願いいたします。

旅の計画・記録

マイルに交換できるフォートラベルポイントが貯まる
フォートラベルポイントって?

フィジーで使うWi-Fiはレンタルしましたか?

フォートラベル GLOBAL WiFiなら
フィジー最安 618円/日~

  • 空港で受取・返却可能
  • お得なポイントがたまる

フィジーの料金プランを見る

フォートラベル公式LINE@

おすすめの旅行記や旬な旅行情報、お得なキャンペーン情報をお届けします!
QRコードが読み取れない場合はID「@4travel」で検索してください。

\その他の公式SNSはこちら/

PAGE TOP