グアム旅行記(ブログ) 一覧に戻る
マリオット前の海の中の様子です。<br /><br />ココパームガーデンビーチ ファイファイパウダーサンドビーチ<br />トンガンリゾートにも行ったことがありますが<br />どこも潮が低い時はスノーケルも出来ないほど浅くなります。<br />生息してる魚はほぼ同じ感じですし 基本無料で干潮でもそれなりな<br />水深のあるイパオビーチ マリオット前ビーチはお勧めです。<br />スノーケルには潮の高さも重要なので<br />グアムの潮のわかるサイトを貼り付けておきますね。<br />昼食にサンドイッチでも買っていけばGOODかもですね。<br /><br />http://www.i-land.us/jp/tide_chart/index2011_7.html<br /><br /><br /><br /><br /><br />

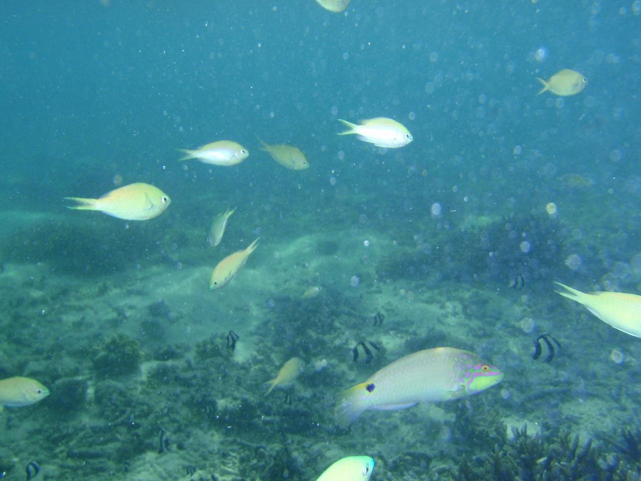
マリオット前の海の中

14いいね!

2008/08/28 - 2008/09/01

4322位(同エリア10502件中)

0

77

sophitia

sophitiaさん

マリオット前の海の中の様子です。

ココパームガーデンビーチ ファイファイパウダーサンドビーチ
トンガンリゾートにも行ったことがありますが
どこも潮が低い時はスノーケルも出来ないほど浅くなります。
生息してる魚はほぼ同じ感じですし 基本無料で干潮でもそれなりな
水深のあるイパオビーチ マリオット前ビーチはお勧めです。
スノーケルには潮の高さも重要なので
グアムの潮のわかるサイトを貼り付けておきますね。
昼食にサンドイッチでも買っていけばGOODかもですね。

http://www.i-land.us/jp/tide_chart/index2011_7.html





旅行の満足度
5.0
観光
5.0
ホテル
5.0
グルメ
5.0
ショッピング
4.0
交通
4.0
同行者
カップル・夫婦
一人あたり費用
15万円 - 20万円
交通手段
観光バス
航空会社
旅行の手配内容
ツアー(添乗員同行なし)
  • マリオット前ビーチもほとんど人はいませんでした。

    マリオット前ビーチもほとんど人はいませんでした。

  • ここは深いとこで2mほどあったかもしれません。

    ここは深いとこで2mほどあったかもしれません。

  • エサあげるとたくさん寄ってきます。

    エサあげるとたくさん寄ってきます。

  • この写真はそこそこうまく撮れています。<br />オリンパスのコンパクト防水カメラでの撮影ですが<br />実際ほど綺麗に写らないみたいで・・・<br />水中モードとかの切り替えがあるのかもしれませんね<br />説明書見てみるかな。

    この写真はそこそこうまく撮れています。
    オリンパスのコンパクト防水カメラでの撮影ですが
    実際ほど綺麗に写らないみたいで・・・
    水中モードとかの切り替えがあるのかもしれませんね
    説明書見てみるかな。

  • いつも下を向いてる恥ずかしがりやの魚です。

    いつも下を向いてる恥ずかしがりやの魚です。

  • この黒い魚 威嚇してきます!<br />卵でも守っているのかもしれませんね。

    この黒い魚 威嚇してきます!
    卵でも守っているのかもしれませんね。

  • これは何だ?

    これは何だ?

  • 枠に入れるのが難しかったり・・・。

    枠に入れるのが難しかったり・・・。

  • カラフルな熱帯魚は数は少なかったです。<br />場所にもよるのかもしれませんが・・・<br />

    カラフルな熱帯魚は数は少なかったです。
    場所にもよるのかもしれませんが・・・

  • ご覧いただきありがとうございます。<br />ここも素敵なシュノーケリングポイントですね。<br />タモン湾ではヒルトンからニッコウに向けて潮が流れていることが<br />多いみたいです。<br />PIC前で海に入ってぷかぷか流れてみるのもいいかもです。<br /><br /><br />

    ご覧いただきありがとうございます。
    ここも素敵なシュノーケリングポイントですね。
    タモン湾ではヒルトンからニッコウに向けて潮が流れていることが
    多いみたいです。
    PIC前で海に入ってぷかぷか流れてみるのもいいかもです。


  • マリオット19Fのラウンジから撮影。<br />タモンではイパオビーチに並ぶシュノーケルポイントだそうです。<br />イパオビーチのように深いところもなく安全ですが<br />大きな魚も少なかったかもしれません。<br />

    マリオット19Fのラウンジから撮影。
    タモンではイパオビーチに並ぶシュノーケルポイントだそうです。
    イパオビーチのように深いところもなく安全ですが
    大きな魚も少なかったかもしれません。

この旅行記のタグ

14いいね!

利用規約に違反している投稿は、報告する事ができます。 問題のある投稿を連絡する

コメントを投稿する前に

十分に確認の上、ご投稿ください。 コメントの内容は攻撃的ではなく、相手の気持ちに寄り添ったものになっていますか?

サイト共通ガイドライン(利用上のお願い)

報道機関・マスメディアの方へ 画像提供などに関するお問い合わせは、専用のお問い合わせフォームからお願いいたします。

旅の計画・記録

マイルに交換できるフォートラベルポイントが貯まる
フォートラベルポイントって?

グアムで使うWi-Fiはレンタルしましたか?

フォートラベル GLOBAL WiFiなら
グアム最安 459円/日~

  • 空港で受取・返却可能
  • お得なポイントがたまる

グアムの料金プランを見る

フォートラベル公式LINE@

おすすめの旅行記や旬な旅行情報、お得なキャンペーン情報をお届けします!
QRコードが読み取れない場合はID「@4travel」で検索してください。

\その他の公式SNSはこちら/

PAGE TOP