沖縄旅行記(ブログ) 一覧に戻る
2回目の沖縄離島

ダイビングとシュノーケルとマングローブ 3

4いいね!

2010/10/08 - 2010/10/12

40104位(同エリア50183件中)

0

10

まる

まるさん

2回目の沖縄離島

  • 2日目はダイビングとシュノーケルツアーです。

    2日目はダイビングとシュノーケルツアーです。

  • 干潮のときに浮いてくる島を見てきました!<br />でも、お天気がいまいちでしたぁ。

    干潮のときに浮いてくる島を見てきました!
    でも、お天気がいまいちでしたぁ。

  • 実は生まれてはじめてのダイビング。

    実は生まれてはじめてのダイビング。

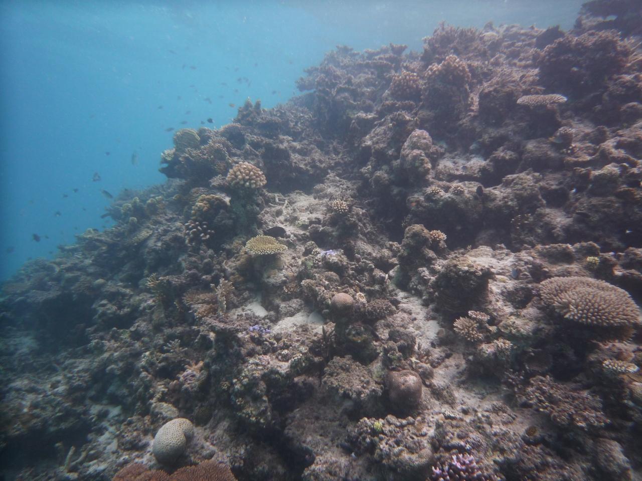
  • 海の中は本当に怖いほど綺麗。<br /><br />

    海の中は本当に怖いほど綺麗。

  • 呼吸が上がってしまうほど怖かったです。<br />

    呼吸が上がってしまうほど怖かったです。

  • 怖いよ怖いよ〜と、必死で固まる。。。。

    怖いよ怖いよ〜と、必死で固まる。。。。

  • 海の中は凄くきれいだった!!!<br /><br />でも、やっぱり怖い。。。。<br /><br />

    海の中は凄くきれいだった!!!

    でも、やっぱり怖い。。。。

  • 魚がいっぱいいました!!

    魚がいっぱいいました!!

  • 綺麗で美味しそうな魚がいっぱいいる。<br />見上げた水中からの太陽の光も綺麗だったんだけど。。。<br /><br /><br />

    綺麗で美味しそうな魚がいっぱいいる。
    見上げた水中からの太陽の光も綺麗だったんだけど。。。


  • 長時間潜っているのが精神的に怖くなって、途中で船に戻ってしまいました。<br /><br />本当は色々と先にポイントがあったみたいですが、私はどうもダイビングには向いていないみたい。。。<br /><br />

    長時間潜っているのが精神的に怖くなって、途中で船に戻ってしまいました。

    本当は色々と先にポイントがあったみたいですが、私はどうもダイビングには向いていないみたい。。。

この旅行記のタグ

4いいね!

利用規約に違反している投稿は、報告する事ができます。 問題のある投稿を連絡する

コメントを投稿する前に

十分に確認の上、ご投稿ください。 コメントの内容は攻撃的ではなく、相手の気持ちに寄り添ったものになっていますか?

サイト共通ガイドライン(利用上のお願い)

報道機関・マスメディアの方へ 画像提供などに関するお問い合わせは、専用のお問い合わせフォームからお願いいたします。

旅の計画・記録

マイルに交換できるフォートラベルポイントが貯まる
フォートラベルポイントって?

フォートラベル公式LINE@

おすすめの旅行記や旬な旅行情報、お得なキャンペーン情報をお届けします!
QRコードが読み取れない場合はID「@4travel」で検索してください。

\その他の公式SNSはこちら/

タグから国内旅行記(ブログ)を探す

PAGE TOP