北マーレ環礁旅行記(ブログ) 一覧に戻る
モルディブで一番の目的であるスノーケルの写真をまとめました。<br />今回のリゾートではドロップオフまでの距離がとても短く、<br />ビーチから海へ入った途端から魚達が出迎えてくれるような所でした。<br /><br />この海中編で撮影したカメラは今回の為に購入したトイデジカメVistaQuest社のVQ5090 Aqua Pack です。<br />なんと言っても価格が手頃で、乾電池対応である所が気に入りました。<br />トイデジカメですが、画像の美しさも申し分無いです。<br />もし、水中用カメラのご購入を検討されている方は、この画像を見て参考にされてください。<br /><br />表紙の写真は泊まったリゾートの周りについてのマップです。<br />グリーンが島、ホワイトがリーフです。島の周囲が徒歩10分という距離でいくと、<br />ドロップオフまでの距離がいかに近いかが分かるかと思います。<br /><br />

夏休み モルディブ旅行記 <海中編>

5いいね!

2010/08/26 - 2010/08/31

575位(同エリア821件中)

0

22

hana

hanaさん

モルディブで一番の目的であるスノーケルの写真をまとめました。
今回のリゾートではドロップオフまでの距離がとても短く、
ビーチから海へ入った途端から魚達が出迎えてくれるような所でした。

この海中編で撮影したカメラは今回の為に購入したトイデジカメVistaQuest社のVQ5090 Aqua Pack です。
なんと言っても価格が手頃で、乾電池対応である所が気に入りました。
トイデジカメですが、画像の美しさも申し分無いです。
もし、水中用カメラのご購入を検討されている方は、この画像を見て参考にされてください。

表紙の写真は泊まったリゾートの周りについてのマップです。
グリーンが島、ホワイトがリーフです。島の周囲が徒歩10分という距離でいくと、
ドロップオフまでの距離がいかに近いかが分かるかと思います。

旅行の満足度
4.5
ホテル
4.5
グルメ
2.5
交通
4.5
同行者
カップル・夫婦
一人あたり費用
30万円 - 50万円
交通手段
航空会社
シンガポール航空
旅行の手配内容
ツアー(添乗員同行なし)
利用旅行会社
JTB
  • レストラン前にある桟橋から見下ろした海。<br />サンゴと魚が見えます!

    レストラン前にある桟橋から見下ろした海。
    サンゴと魚が見えます!

  • ビーチからひょいと潜ればこんな光景です。<br />魚の出迎えが多過ぎやしないか、浦島太郎は心配です…

    ビーチからひょいと潜ればこんな光景です。
    魚の出迎えが多過ぎやしないか、浦島太郎は心配です…

  • このリゾートでは海洋保護に力を入れています。<br />これはサンゴを増やすために小さな苗のようなサンゴを植えているようです。

    このリゾートでは海洋保護に力を入れています。
    これはサンゴを増やすために小さな苗のようなサンゴを植えているようです。

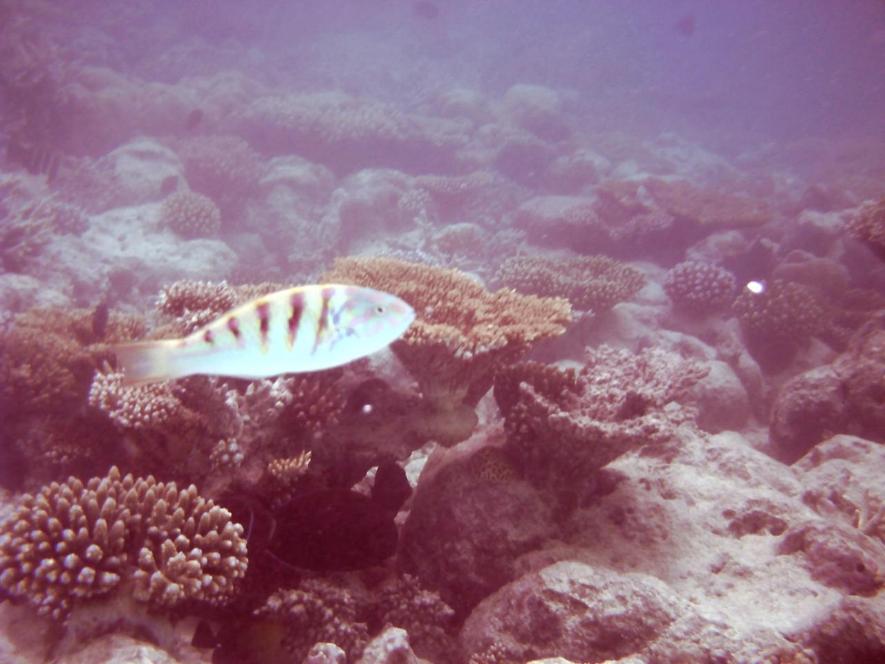
  • 熱烈歓迎をしてくれた魚。<br />腕を何度もつつかれてしまいました。全く人を怖がりません。

    熱烈歓迎をしてくれた魚。
    腕を何度もつつかれてしまいました。全く人を怖がりません。

  • この人達も全くです(笑)

    この人達も全くです(笑)

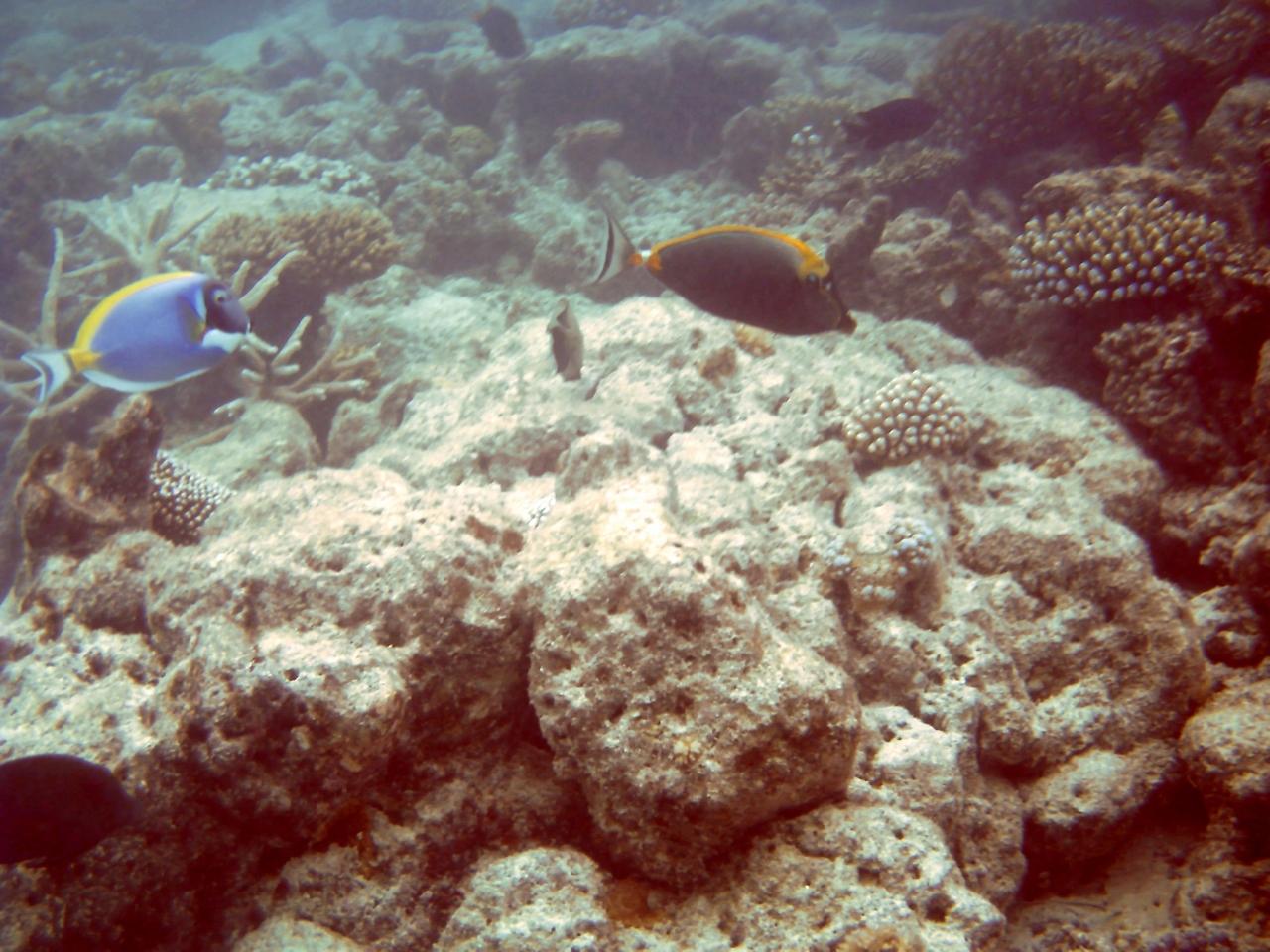
  • 水族館の水槽に入ったような状態がデフォルトです。

    水族館の水槽に入ったような状態がデフォルトです。

  • 魚=逃げるもの、の概念はここには通用しないようです。

    魚=逃げるもの、の概念はここには通用しないようです。

  • 横を見ても…

    横を見ても…

  • 下を見ても…

    下を見ても…

  • 魚達は完全にマイペースです。

    魚達は完全にマイペースです。

  • 立派なサンゴに…

    立派なサンゴに…

  • 見間違いかな、と思う程です。

    見間違いかな、と思う程です。

  • テレビでしか見る事のできない光景が、<br />手の届く所で見られる幸せ♪

    テレビでしか見る事のできない光景が、
    手の届く所で見られる幸せ♪

  • 水面とサンゴのある位置を見て下さい。<br />この間を縫うようにそおっと泳ぎます。

    水面とサンゴのある位置を見て下さい。
    この間を縫うようにそおっと泳ぎます。

  • 私の行動を監視するかのようにずっとついてくる魚。

    私の行動を監視するかのようにずっとついてくる魚。

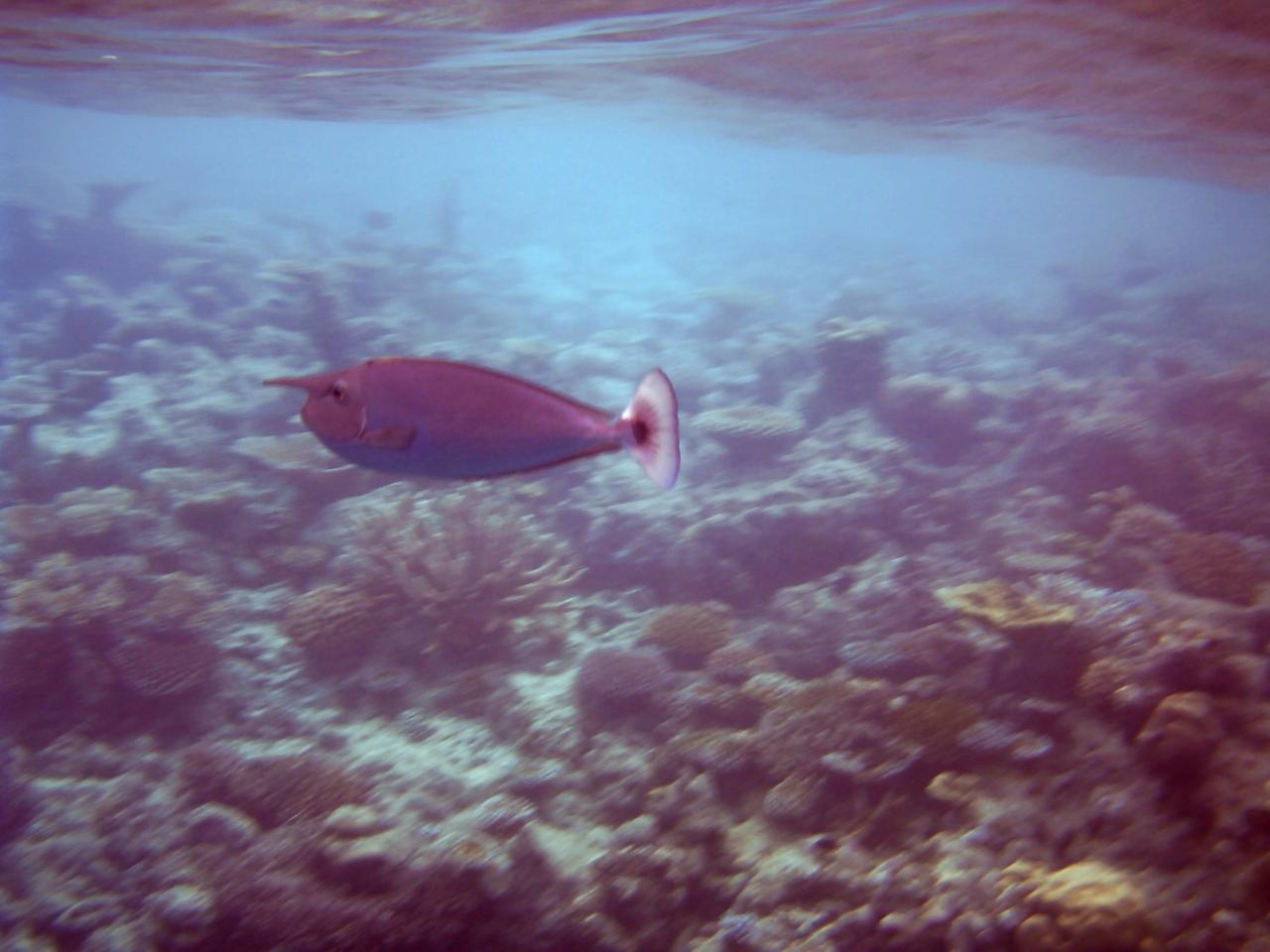
  • 私に構わずひらひらと泳ぐ魚。

    私に構わずひらひらと泳ぐ魚。

  • 無視して寝てる魚。 魚も様々です。

    無視して寝てる魚。 魚も様々です。

  • 水面から顔上げると、ビーチまでこの距離。驚きです。

    水面から顔上げると、ビーチまでこの距離。驚きです。

  • このまま沖へ進むと…

    このまま沖へ進むと…

  • ドロップオフです。

    ドロップオフです。

  • 眼下には魚の群れとサンゴの森が続きます。

    眼下には魚の群れとサンゴの森が続きます。

  • 横を向けば、魚の群れ。<br />ここでは人も魚ものんびりです。

    横を向けば、魚の群れ。
    ここでは人も魚ものんびりです。

この旅行記のタグ

5いいね!

利用規約に違反している投稿は、報告する事ができます。 問題のある投稿を連絡する

コメントを投稿する前に

十分に確認の上、ご投稿ください。 コメントの内容は攻撃的ではなく、相手の気持ちに寄り添ったものになっていますか?

サイト共通ガイドライン(利用上のお願い)

報道機関・マスメディアの方へ 画像提供などに関するお問い合わせは、専用のお問い合わせフォームからお願いいたします。

旅の計画・記録

マイルに交換できるフォートラベルポイントが貯まる
フォートラベルポイントって?

モルディブで使うWi-Fiはレンタルしましたか?

フォートラベル GLOBAL WiFiなら
モルディブ最安 562円/日~

  • 空港で受取・返却可能
  • お得なポイントがたまる

モルディブの料金プランを見る

フォートラベル公式LINE@

おすすめの旅行記や旬な旅行情報、お得なキャンペーン情報をお届けします!
QRコードが読み取れない場合はID「@4travel」で検索してください。

\その他の公式SNSはこちら/

PAGE TOP