宮古島旅行記(ブログ) 一覧に戻る
 二日目は、朝一番のカーフェリーで伊良部島へ渡り、お気に入りのポイント、中の島でスノーケリングをしました。<br /><br /> ここは、浜の南側に岩陰がありますが、毎回、ツアーの方達に占領されてしまうので、今回は、早朝に訪れ特等席をゲットしました。<br /><br /> 中の島は、今回で3回目になりますが10m程度の深場があり、本格的にスノーケリングが楽しめます。<br /><br /> 天気もよく、海底から見上げる光のゆらめきが忘れられません。<br />

宮古・伊良部・下地島滞在記その4

21いいね!

2009/07/31 - 2009/07/31

1815位(同エリア4813件中)

1

26

チョビ

チョビさん

 二日目は、朝一番のカーフェリーで伊良部島へ渡り、お気に入りのポイント、中の島でスノーケリングをしました。

 ここは、浜の南側に岩陰がありますが、毎回、ツアーの方達に占領されてしまうので、今回は、早朝に訪れ特等席をゲットしました。

 中の島は、今回で3回目になりますが10m程度の深場があり、本格的にスノーケリングが楽しめます。

 天気もよく、海底から見上げる光のゆらめきが忘れられません。

  •  いざ、伊良部島へ。

     いざ、伊良部島へ。

  •  高速フェリーで伊良部島目前。

     高速フェリーで伊良部島目前。

  • 渡口の浜に寄り道。

    渡口の浜に寄り道。

  • 渡口の浜で見かけた看板。

    渡口の浜で見かけた看板。

  • 中の島に到着。

    中の島に到着。

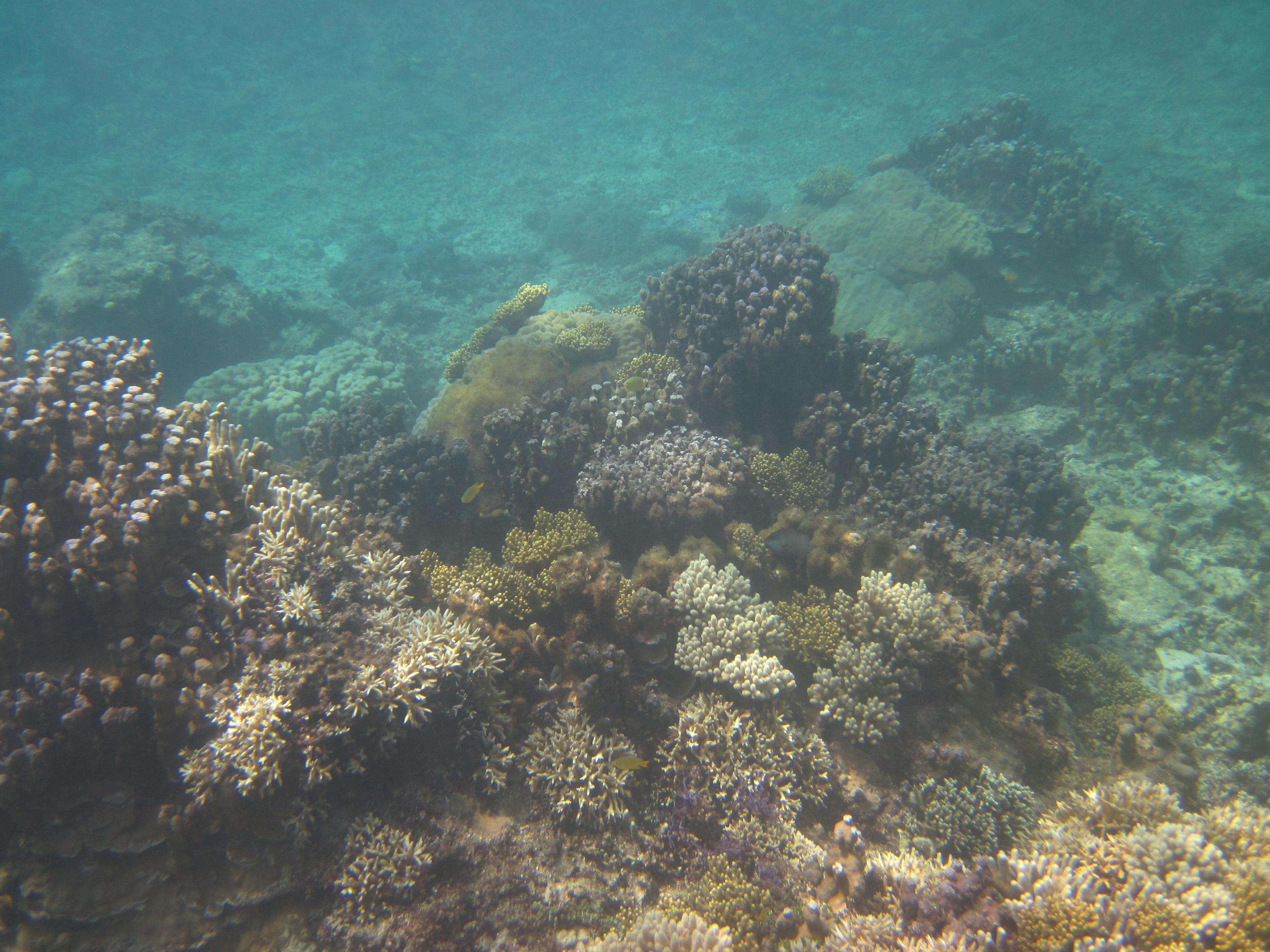
  •  相変わらず美しい珊瑚。

     相変わらず美しい珊瑚。

  •  ハマクマノミが迎えてくれます。

     ハマクマノミが迎えてくれます。

  •  ニモは、どこかな。

    ニモは、どこかな。

  •  シャッターチャンスを逃しました。

     シャッターチャンスを逃しました。

  •  珊瑚の上面が変色しているのは、人が上に立ったからでしょうか。

    珊瑚の上面が変色しているのは、人が上に立ったからでしょうか。

  •  ハタタテダイ?、ツノダシ?。

     ハタタテダイ?、ツノダシ?。

  •  不気味な珊瑚。

     不気味な珊瑚。

  •  海底を這う海蛇。イラブかな。<br /> こちらがチョッカイを出さない限り、向かってくることはありません。<br /><br />

     海底を這う海蛇。イラブかな。
     こちらがチョッカイを出さない限り、向かってくることはありません。

  •  これも不気味。

     これも不気味。

  •  名前は分かりません。

     名前は分かりません。

  •  湾中ほどの岩の裏は、こんな感じです。<br /> <br /> この穴から上陸できます。

     湾中ほどの岩の裏は、こんな感じです。
     
     この穴から上陸できます。

  •  綺麗です。

     綺麗です。

  •  目が合って、こんにちは。

     目が合って、こんにちは。

  •  本日のベストショット。

    本日のベストショット。

  •  レンズが小さいので、境目の画は難しいです。

     レンズが小さいので、境目の画は難しいです。

  •  いました。カクレクマノミ。<br /><br /> 右下です、分かりますか?、子供です。<br /><br /> 親は、どこへ行ったんでしょうか。<br /><br /> しばらく待っていましたが、親は戻ってきませんでした。<br /><br /> ニモみたいに、はぐれちゃったのかな。

     いました。カクレクマノミ。

     右下です、分かりますか?、子供です。

     親は、どこへ行ったんでしょうか。

     しばらく待っていましたが、親は戻ってきませんでした。

     ニモみたいに、はぐれちゃったのかな。

  •  ここにいると、時間がたつのを忘れます。

     ここにいると、時間がたつのを忘れます。

  •  マンゴーのカキ氷、甘くて美味しい。

     マンゴーのカキ氷、甘くて美味しい。

  •  何か忘れていませんか。

     何か忘れていませんか。

  •  80歳を超えて、益々元気なじいちゃん。

     80歳を超えて、益々元気なじいちゃん。

  • 海底から水面を見上げると、こんな感じです。

    海底から水面を見上げると、こんな感じです。

この旅行記のタグ

関連タグ

21いいね!

利用規約に違反している投稿は、報告する事ができます。 問題のある投稿を連絡する

この旅行記へのコメント (1)

開く

閉じる

  • takemoさん 2009/10/15 00:31:39
    またまたお節介ですが・・・
    チョビさん、またまたこんばんは。

    takemoです。

    海蛇の写真のあとのお魚ですが、私はまだ遭遇したことが無い、セジロクマノミです。

    同じクマノミでもカクレクマノミやハマクマノミ(7,8枚目)とは違って不人気な子です。

    不気味に見えるのですが、後ろイソギンチャクがお家なのでしょうね。

    家族でしょうかね♪。

    では、お邪魔しました。

    takemo

チョビさんのトラベラーページ

コメントを投稿する前に

十分に確認の上、ご投稿ください。 コメントの内容は攻撃的ではなく、相手の気持ちに寄り添ったものになっていますか?

サイト共通ガイドライン(利用上のお願い)

報道機関・マスメディアの方へ 画像提供などに関するお問い合わせは、専用のお問い合わせフォームからお願いいたします。

旅の計画・記録

マイルに交換できるフォートラベルポイントが貯まる
フォートラベルポイントって?

フォートラベル公式LINE@

おすすめの旅行記や旬な旅行情報、お得なキャンペーン情報をお届けします!
QRコードが読み取れない場合はID「@4travel」で検索してください。

\その他の公式SNSはこちら/

タグから国内旅行記(ブログ)を探す

PAGE TOP