2009/07/17 - 2009/07/21
1168位(同エリア1672件中)
shkさん
前後に那覇泊、阿嘉島2泊でスノーケリング、体験ダイビングなどをしてきました。
- 交通手段
- 船 スカイマーク
-
スカイマークで羽田を発ちます。先月操縦士不足で那覇便が欠航になりましたが、本日は問題なし。
羽田空港(東京国際空港) 空港
-
途中で見えた、屋久島(左)と種子島(右)。
-
コンフォートホテル那覇県庁前に到着。安い割りにはきれいでした。
コンフォートホテル那覇県庁前 宿・ホテル
-
腹ごなしに高良食堂へ。
高良食堂 グルメ・レストラン
-
中身汁を食べました。
-
国際通りの方へ向かうと、パレットくもじのところでイベントをやってました。2000円札を使おう!という趣旨のイベントのようです。ナベアツ発見。
ここでイベント景品のゴーヤを2本いただきました。 -
国際通りをふらついた後、ちょっと買い出ししてホテルに戻りました。
-
ホテルの朝食。
コンフォートホテル那覇県庁前 宿・ホテル
-
その後はフェリーざまみに乗ります。3連休初日(7/18)だったのでけっこう混んでました。
とまりん 乗り物
-
やや先を並走して渡嘉敷島に向かうフェリーけらまが見えます。
-
阿嘉島に入港。
-
泊港から阿嘉島港までのルート。HOLUX m-241にて取得。
-
民宿川道にチェックインし、屋上から景色を眺める。那覇で入手したゴーヤは家まで持って帰らず、民宿への手土産にしました。
民宿川道 <阿嘉島> 宿・ホテル
-
近くのパーラーみやまで食事。タコライスを食べました。
パーラーみやま グルメ・レストラン
-
パーラーみやまの前の前浜。
-
その後は宿の人に車で送ってもらい、北浜(にしはま)へ。波がやや高かったため透明度はそんなに高くなかった。
ニシバマビーチ ビーチ
-
宿に戻り少し休んでから夕食です。
民宿川道 <阿嘉島> 宿・ホテル
-
沖縄っぽいものも多く、どれもおいしかった。
-
夕食後はヒズシビーチで夕日を。雲がかかっていてよく見えませんでしたがきれいでした。
ヒズシビーチ ビーチ
-
ヒズシビーチからの帰り、前浜の西あたりでケラマジカに遭遇しました。
前浜 名所・史跡
-
次の日の朝食。シンプル。この日は体験ダイビングの予定でしたが、波の高さから翌日の方が透明度が高いとのことで、体験ダイビングは翌日に変更。
民宿川道 <阿嘉島> 宿・ホテル
-
なのでミニカーを借りてドライブすることに。「レンタルしょう」ではミニカーは4台あるようです。
まずはケラマ空港へ。慶良間空港 空港
-
ケラマ空港の裏に展望台入口があり、ここから外地展望台を目指します。
-
10分かからないぐらいで展望台に到着。
外地展望台 名所・史跡
-
展望台から出発し、ここは慶留間橋から下をのぞいたところ。
-
ここは慶留間橋の下。
-
慶留間港からの景色。何かを採っているんでしょうか?
-
国の重要文化財、高良家住宅へ。
-
外からちょっとだけ見ました。
-
ここは阿嘉大橋からの眺め。
阿嘉大橋 名所・史跡
-
阿嘉島集落からミニカーで20分ぐらいかけてクシバルビーチへ。途中でケラマジカにも遭遇しました。
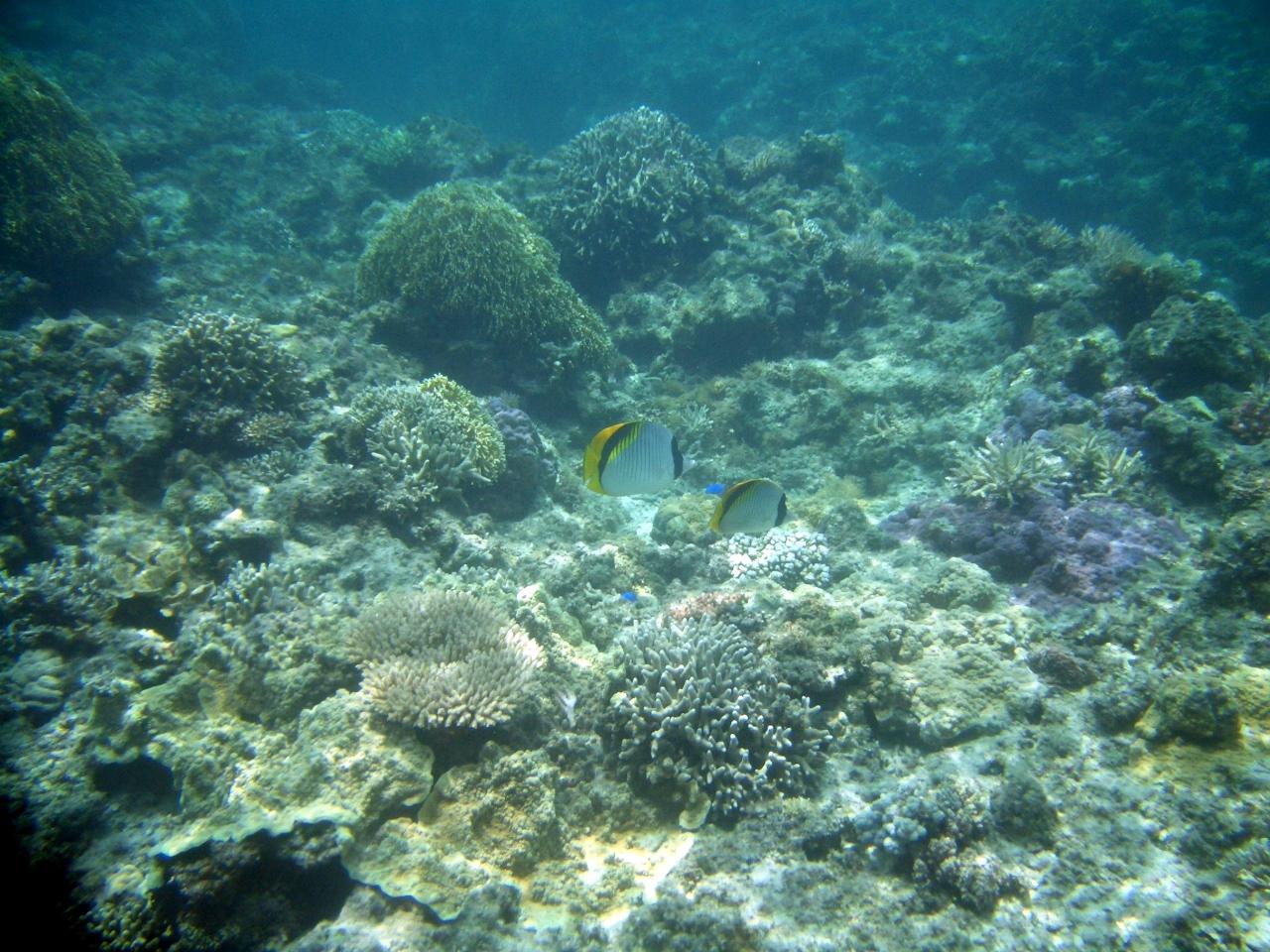
クシバルビーチは写真の小島の手前あたりがスノーケリングポイントです。小島の手前がスノーケリングポイント by shkさんクシバルビーチ ビーチ
-
ニシ浜より透明度が高くてきれいでした。
-
食べられそうな魚の大群。
-
クマノミ。正式名称は違うのかもしれません。
-
ミニカー返却時間が近いので阿嘉集落に戻ります。クシバルビーチから阿嘉集落西までの標高のデータ。
-
阿嘉集落に戻ってきてミニカーを返して、パーラーみやまで昼食。
パーラーみやま グルメ・レストラン
-
宿に戻って休憩後、今度は歩いて阿嘉ビーチへ。謎の黒い魚の大群。
ウミガメがいた by shkさん阿嘉ビーチ (真謝浜) ビーチ
-
おなじみの魚。
-
細長い変な魚。たまに見かける。魚マニアではないので名前わからず。
-
変な魚。名前不明。
-
ビーチに戻って休んでいると、ウミガメ発見情報が舞い込んできたので捜索開始。そして発見。
-
ときどき息継ぎのために上昇し、優雅に泳ぎながら餌探しをしてました。
-
宿に帰って夕食。
民宿川道 <阿嘉島> 宿・ホテル
-
そして次の日の朝食。
-
この日は体験ダイビング。ライセンスは5年前に取りましたが、その後4本しか潜ってなく久しぶり。
-
潜ったのはここ嘉比島あたりのポイント。浮遊感がなかなか楽しかった。
嘉比島 名所・史跡
-
ダイビングを終える頃には嘉比島に人がいました。
-
ダイビングに行った時の船。
-
この日は宿に昼食を頼みました。昼食を待っている間、しばし前浜でのんびり。
前浜 名所・史跡
-
宿での昼食。モロヘイヤうどんとおにぎり。
-
昼食後はフェリー出発まで阿嘉ビーチへ。
ウミガメがいた by shkさん阿嘉ビーチ (真謝浜) ビーチ
-
よく見かける魚。名前はわからず。
-
たくさんの青い魚。
-
ウミウシ発見。宿にあったウミウシの本を見てなかったら気にもとめなかった生物。
-
宿に戻って休憩後、フェリー乗り場へ。これは「マリリンに逢いたい」のシロ。実話を元にした映画だそうだが、実はこのシロはいろんな雌犬に逢いに行ってたというプレイドッグらしい。
シロの像 名所・史跡
-
フェリーざまみが到着。
-
見送られて出発。
-
自転車、船、海に飛び込んで見送る人も。
-
とまりんに到着。
とまりん 乗り物
-
とまりん近くのルビー食堂で食事。
軽食の店 ルビー 泊店 グルメ・レストラン
-
東横イン那覇美栄橋駅前にチェックイン後、出かける。ここは24時間営業のユニオン前島店。うるまげんまいというのとお土産を買いました。
フレッシュプラザ ユニオン (前島店) スーパー・コンビニ・量販店
-
美栄橋駅近くの「じぇいや」で打ち上げ。半円状のソファー席があり、昔は別の用途の店だったのかと予想される。
居酒屋 ミリンマル グルメ・レストラン
-
宿に戻って翌日の朝食。
東横イン那覇国際通り美栄橋駅 宿・ホテル
-
そしてSKY512で帰りました。翌日のSKY512は日食に合わせて出発時刻を変更したとのこと。
那覇空港 空港
この旅行記のタグ
利用規約に違反している投稿は、報告する事ができます。
コメントを投稿する前に
十分に確認の上、ご投稿ください。 コメントの内容は攻撃的ではなく、相手の気持ちに寄り添ったものになっていますか?
サイト共通ガイドライン(利用上のお願い)報道機関・マスメディアの方へ 画像提供などに関するお問い合わせは、専用のお問い合わせフォームからお願いいたします。
この旅行で行ったホテル
-
民宿川道 <阿嘉島>
3.09
この旅行で行ったスポット
もっと見る
この旅行で行ったグルメ・レストラン
旅の計画・記録
マイルに交換できるフォートラベルポイントが貯まる
フォートラベルポイントって?
0
64