フィジー旅行記(ブログ) 一覧に戻る
下手な写真ですが、水中をちょこっと

Bula! Fiji ?

5いいね!

2008/08/02 - 2008/08/09

477位(同エリア937件中)

0

8

しぃー

しぃーさん

下手な写真ですが、水中をちょこっと

同行者
一人旅
一人あたり費用
30万円 - 50万円
交通手段
航空会社
フィジー エアウェイズ
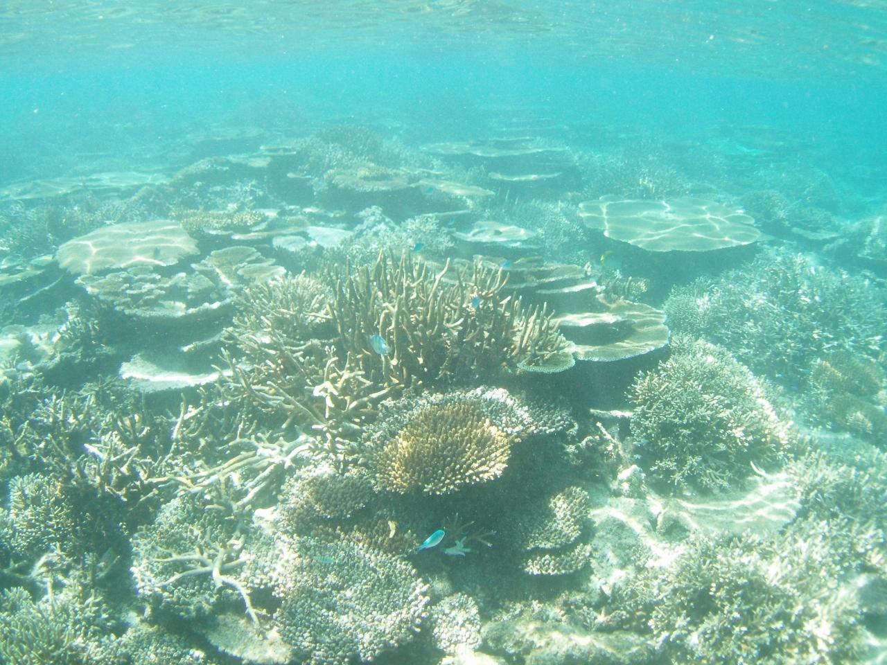
  • マタマノアの海域は、百万ドルのハウスリーフと言われるほど、珊瑚礁が素晴らしいところです

    マタマノアの海域は、百万ドルのハウスリーフと言われるほど、珊瑚礁が素晴らしいところです

  • テーブル珊瑚を中心にピキピキの珊瑚がぎっしり

    テーブル珊瑚を中心にピキピキの珊瑚がぎっしり

  • ドロップオフに行くと大きな魚の群れが見られます

    ドロップオフに行くと大きな魚の群れが見られます

  • ドロップオフにも、珊瑚がぎっしり

    ドロップオフにも、珊瑚がぎっしり

  • 毎度おなじみの、クマノミ

    毎度おなじみの、クマノミ

  • 私は、泥棒フグと呼んでいます<br />とてもカワイイ

    私は、泥棒フグと呼んでいます
    とてもカワイイ

  • 海底に、トリトンシェル見つけました

    海底に、トリトンシェル見つけました

  • いくら眺めていても素晴らしい眺めです

    いくら眺めていても素晴らしい眺めです

この旅行記のタグ

5いいね!

利用規約に違反している投稿は、報告する事ができます。 問題のある投稿を連絡する

コメントを投稿する前に

十分に確認の上、ご投稿ください。 コメントの内容は攻撃的ではなく、相手の気持ちに寄り添ったものになっていますか?

サイト共通ガイドライン(利用上のお願い)

報道機関・マスメディアの方へ 画像提供などに関するお問い合わせは、専用のお問い合わせフォームからお願いいたします。

旅の計画・記録

マイルに交換できるフォートラベルポイントが貯まる
フォートラベルポイントって?

フィジーで使うWi-Fiはレンタルしましたか?

フォートラベル GLOBAL WiFiなら
フィジー最安 618円/日~

  • 空港で受取・返却可能
  • お得なポイントがたまる

フィジーの料金プランを見る

フォートラベル公式LINE@

おすすめの旅行記や旬な旅行情報、お得なキャンペーン情報をお届けします!
QRコードが読み取れない場合はID「@4travel」で検索してください。

\その他の公式SNSはこちら/

PAGE TOP