恩納・読谷旅行記(ブログ) 一覧に戻る
2ダイブ目は山田ポイント☆<br />日本で見れるクマノミ6種類が全部見れるポイントなんだそうです♪<br />結構深いポイントから始まるとのことで再びどきどき・・・

沖縄デビュー☆2日目~ダイビング?山田ポイント~

1いいね!

2008/06/22 - 2008/06/22

4064位(同エリア4238件中)

0

12

synyhn

synyhnさん

2ダイブ目は山田ポイント☆
日本で見れるクマノミ6種類が全部見れるポイントなんだそうです♪
結構深いポイントから始まるとのことで再びどきどき・・・

  • 入っていきなり20メーターぐらいの潜行。<br />潜った先にはクマノミ観察の行列です(笑)<br />この子が一番珍しいクマノミの『トウアカクマノミ』<br />人懐っこくてふわふわ寄って来ます♪<br />

    入っていきなり20メーターぐらいの潜行。
    潜った先にはクマノミ観察の行列です(笑)
    この子が一番珍しいクマノミの『トウアカクマノミ』
    人懐っこくてふわふわ寄って来ます♪

  • 潜る前にインストラクターさんが<br />「以前は何匹かいたのに最近は1匹だけになってさみしそうなんだよ」<br />と話していたんですが、なんとベビーが!!<br />5匹ぐらいはいたかなぁ?<br />仲間が増えてよかった♪

    潜る前にインストラクターさんが
    「以前は何匹かいたのに最近は1匹だけになってさみしそうなんだよ」
    と話していたんですが、なんとベビーが!!
    5匹ぐらいはいたかなぁ?
    仲間が増えてよかった♪

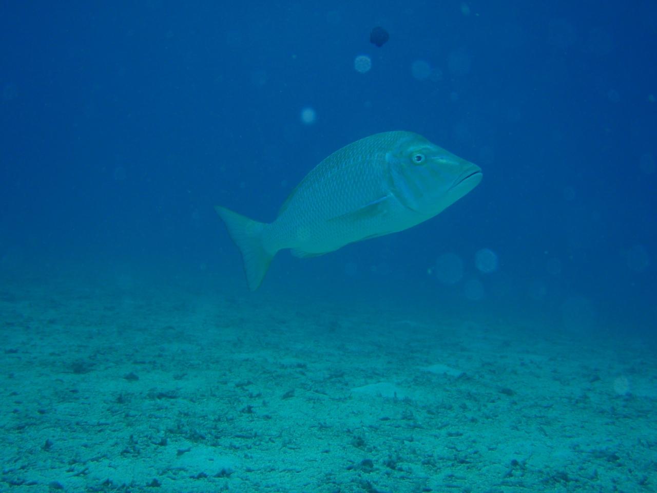
  • ハマフエフキという魚らしい。<br />結構大きい魚でした。

    ハマフエフキという魚らしい。
    結構大きい魚でした。

  • インストラクターさんが撮ってくれた1枚。<br />魚がインストラクターさんに群がってた・・・<br />私、耳抜きしてるし(笑)<br />魚の方がばっちり写真目線だったりして☆

    インストラクターさんが撮ってくれた1枚。
    魚がインストラクターさんに群がってた・・・
    私、耳抜きしてるし(笑)
    魚の方がばっちり写真目線だったりして☆

  • なまこを触ってみました♪<br />ぷにぷにだった・・・<br />沖縄はおっきいなまこが多いんですねぇ

    なまこを触ってみました♪
    ぷにぷにだった・・・
    沖縄はおっきいなまこが多いんですねぇ

  • お次はカクレクマノミちゃんです。<br />一生懸命かくれてました。

    お次はカクレクマノミちゃんです。
    一生懸命かくれてました。

  • これはただのクマノミちゃん。

    これはただのクマノミちゃん。

  • わかりづらかったけどこちらもクマノミの仲間。<br />ハナビラクマノミだそうです。<br />同じイソギンチャクに三種類もいました☆

    わかりづらかったけどこちらもクマノミの仲間。
    ハナビラクマノミだそうです。
    同じイソギンチャクに三種類もいました☆

  • お次はハマクマノミちゃん。<br />

    お次はハマクマノミちゃん。

  • 6種類目のクマノミちゃんは少し浅いところにいました☆<br />セジロクマノミちゃん。

    6種類目のクマノミちゃんは少し浅いところにいました☆
    セジロクマノミちゃん。

  • わかりづらいけどヘコアユ。<br />縦に泳ぐ魚なんて初めて!<br />

    わかりづらいけどヘコアユ。
    縦に泳ぐ魚なんて初めて!

  • 終了〜♪<br />初めてのこの旅の2ダイブは私たちにとって始めてのボートダイビングだったんですが、<br />一番つらいのってダイビングが終わってボートにあがるときなんですね(笑)<br />タンクとウエイト・・・重かった。。。<br />スタッフの方がとても気さくで親切で楽しかったです!<br />旦那さまもすごく満足してました!<br />「次は慶良間ダイビングだね〜」と言われて結構その気になっちゃった2人だったのでした☆<br />またご縁があったらよろしくお願いしまーすヽ(´ー`)ノ

    終了〜♪
    初めてのこの旅の2ダイブは私たちにとって始めてのボートダイビングだったんですが、
    一番つらいのってダイビングが終わってボートにあがるときなんですね(笑)
    タンクとウエイト・・・重かった。。。
    スタッフの方がとても気さくで親切で楽しかったです!
    旦那さまもすごく満足してました!
    「次は慶良間ダイビングだね〜」と言われて結構その気になっちゃった2人だったのでした☆
    またご縁があったらよろしくお願いしまーすヽ(´ー`)ノ

この旅行記のタグ

関連タグ

1いいね!

利用規約に違反している投稿は、報告する事ができます。 問題のある投稿を連絡する

コメントを投稿する前に

十分に確認の上、ご投稿ください。 コメントの内容は攻撃的ではなく、相手の気持ちに寄り添ったものになっていますか?

サイト共通ガイドライン(利用上のお願い)

報道機関・マスメディアの方へ 画像提供などに関するお問い合わせは、専用のお問い合わせフォームからお願いいたします。

旅の計画・記録

マイルに交換できるフォートラベルポイントが貯まる
フォートラベルポイントって?

フォートラベル公式LINE@

おすすめの旅行記や旬な旅行情報、お得なキャンペーン情報をお届けします!
QRコードが読み取れない場合はID「@4travel」で検索してください。

\その他の公式SNSはこちら/

タグから国内旅行記(ブログ)を探す

PAGE TOP