沖縄旅行記(ブログ) 一覧に戻る
5年ぶりのオキナワ☆<br /><br />3泊4日で、ダイビングやりたくて決めたオキナワ行きだったの。<br /><br />だってさ、せっかくCカードGETしたって、本数こなさないと上達しないじゃんね。<br /><br />オキナワ2日目に慶良間ダイビングに行ったよ。<br /><br />船酔いなし。天気よし。<br /><br />お世話になったショップは、コーラルさん。<br /><br />今回ね、潜るの自体が3ヶ月ぶりで、ボートダイビング初めてだったの。エントリーの時やばかった。<br /><br />2,3日前からアタシ、講習の時もらったマニュアルで流れ復習してたのにさ、飛び込んだ瞬間覚えたコト全部吹っ飛んだの。<br /><br />本気で溺れかけたもんね。<br /><br />けど、なんとかなった!<br /><br />海がキレイで超感動!透明度20Mくらいだって。<br />ウミウシちゃんが可愛かったー。小さくて不思議な感じで、なんかハマっちゃった。今年はウミウシ目当てに潜ろぉって思ったけど、時期もう終る頃なんだって。ウミウシ探索は来年出掛けよーっと。<br /><br />コーラルのメンバーにもなったんだぁ。またオキナワ行くときお世話になります!!<br /><br />あ、そーだ。ログ付けのあとにオキナワ料理の居酒屋みたい所に<br />連れて行ってもらったの。みなさん曰く、地元の人も行く人気店なんだって!<br /><br />写真見てみて☆★<br /><br />

オキナワダイビング

0いいね!

2007/04/29 - 2007/05/02

49097位(同エリア49926件中)

0

19

shopaholic

shopaholicさん

5年ぶりのオキナワ☆

3泊4日で、ダイビングやりたくて決めたオキナワ行きだったの。

だってさ、せっかくCカードGETしたって、本数こなさないと上達しないじゃんね。

オキナワ2日目に慶良間ダイビングに行ったよ。

船酔いなし。天気よし。

お世話になったショップは、コーラルさん。

今回ね、潜るの自体が3ヶ月ぶりで、ボートダイビング初めてだったの。エントリーの時やばかった。

2,3日前からアタシ、講習の時もらったマニュアルで流れ復習してたのにさ、飛び込んだ瞬間覚えたコト全部吹っ飛んだの。

本気で溺れかけたもんね。

けど、なんとかなった!

海がキレイで超感動!透明度20Mくらいだって。
ウミウシちゃんが可愛かったー。小さくて不思議な感じで、なんかハマっちゃった。今年はウミウシ目当てに潜ろぉって思ったけど、時期もう終る頃なんだって。ウミウシ探索は来年出掛けよーっと。

コーラルのメンバーにもなったんだぁ。またオキナワ行くときお世話になります!!

あ、そーだ。ログ付けのあとにオキナワ料理の居酒屋みたい所に
連れて行ってもらったの。みなさん曰く、地元の人も行く人気店なんだって!

写真見てみて☆★

同行者
友人
一人あたり費用
10万円 - 15万円
交通手段
レンタカー JALグループ 徒歩
  • 名護パイナップルパーク

    名護パイナップルパーク

  • 超リアル海ぶどう

    超リアル海ぶどう

  • 超オススメです!<br />大盛況の居酒屋さん。<br />地元の方もよく来るんだってー!<br />メニューも写真付で分かりやすい☆

    超オススメです!
    大盛況の居酒屋さん。
    地元の方もよく来るんだってー!
    メニューも写真付で分かりやすい☆

  • 国際通りのそば屋さん

    国際通りのそば屋さん

  • 美ら海水族館

    美ら海水族館

  • 美ら海水族館

    美ら海水族館

  • 美ら海水族館

    美ら海水族館

  • 美ら海水族館

    美ら海水族館

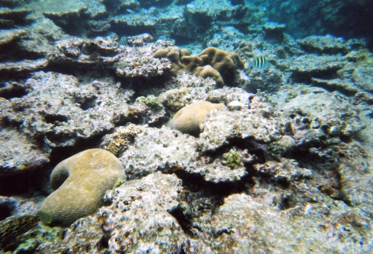
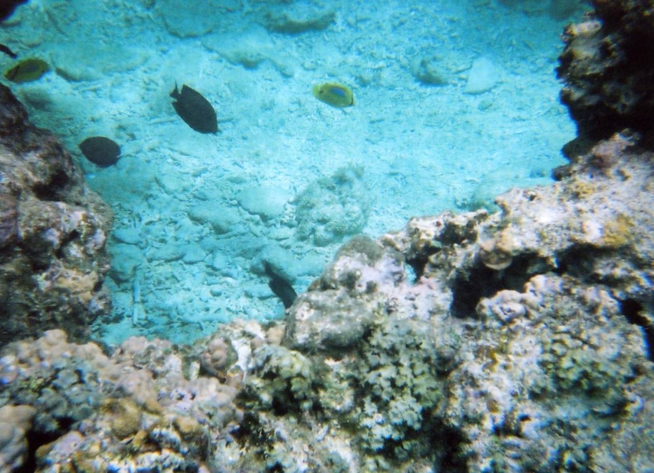
  • 慶良間の海。どの島かはわからない。。。

    慶良間の海。どの島かはわからない。。。

この旅行記のタグ

0いいね!

利用規約に違反している投稿は、報告する事ができます。 問題のある投稿を連絡する

コメントを投稿する前に

十分に確認の上、ご投稿ください。 コメントの内容は攻撃的ではなく、相手の気持ちに寄り添ったものになっていますか?

サイト共通ガイドライン(利用上のお願い)

報道機関・マスメディアの方へ 画像提供などに関するお問い合わせは、専用のお問い合わせフォームからお願いいたします。

旅の計画・記録

マイルに交換できるフォートラベルポイントが貯まる
フォートラベルポイントって?

フォートラベル公式LINE@

おすすめの旅行記や旬な旅行情報、お得なキャンペーン情報をお届けします!
QRコードが読み取れない場合はID「@4travel」で検索してください。

\その他の公式SNSはこちら/

タグから国内旅行記(ブログ)を探す

PAGE TOP