エルニド旅行記(ブログ) 一覧に戻る
夢の時間には限りがございます( ノД`)シクシク…残すは今日一日だけ!でもでも、一番楽しみにしていたラグーン巡りが最後<br />のお楽しみに残しておいたから(*^_^*)そして最後まで豊かなハウスリーフを堪能して心置きなく神々の島にさよなら<br />したい。最終話ははじけまくった最後の日の様子です♪<br /><br /><br />*表紙画像はフィリピン固有種のスパインチークアネモネフィッシュです。<br />鮮やかな赤と黒と黄色の目立つ奴です(*^_^*)

神々の住む島へ・・・パラワン諸島 ミニロックアイランドで過ごした夢の時間♪ 最終話

53いいね!

2016/04/28 - 2016/05/02

16位(同エリア275件中)

18

93

ちょびれ

ちょびれさん

夢の時間には限りがございます( ノД`)シクシク…残すは今日一日だけ!でもでも、一番楽しみにしていたラグーン巡りが最後
のお楽しみに残しておいたから(*^_^*)そして最後まで豊かなハウスリーフを堪能して心置きなく神々の島にさよなら
したい。最終話ははじけまくった最後の日の様子です♪


*表紙画像はフィリピン固有種のスパインチークアネモネフィッシュです。
鮮やかな赤と黒と黄色の目立つ奴です(*^_^*)

旅行の満足度
5.0
同行者
カップル・夫婦
一人あたり費用
25万円 - 30万円
交通手段
徒歩
航空会社
フィリピン航空
旅行の手配内容
ツアー(添乗員同行なし)
  • おはよー。今朝もブーゲンビリアの鮮やかさに目が覚めました☆

    おはよー。今朝もブーゲンビリアの鮮やかさに目が覚めました☆

  • お食事中の方、失礼します。玄関ドアを開けると真ん前の屋根の上にどなたかさん<br />の落し物が(◎_◎;)

    お食事中の方、失礼します。玄関ドアを開けると真ん前の屋根の上にどなたかさん
    の落し物が(◎_◎;)

  • 落とし主はこの方!見えるかな、塀の上にちょこんと座っているおさる。尾長サル<br />でございます。お顔はこちら向いてくれなかったから解らず。マレーシアにいる<br />の同じの頭がちょこんと尖がった種類みたいね。

    落とし主はこの方!見えるかな、塀の上にちょこんと座っているおさる。尾長サル
    でございます。お顔はこちら向いてくれなかったから解らず。マレーシアにいる
    の同じの頭がちょこんと尖がった種類みたいね。

  • さて、朝ごはんに行きます。滞在中パン一度も口にせず(爆)

    さて、朝ごはんに行きます。滞在中パン一度も口にせず(爆)

  • 今朝もいろいろ並んでるなー

    今朝もいろいろ並んでるなー

  • 半生の干物?

    半生の干物?

  • ソーセージ類はグリルをお願いして

    ソーセージ類はグリルをお願いして

  • ぶれちゃった。ジュースは東南アジアは激アマが多いけど、たぶんクレームあったんだろうな、甘さ控えめでガムシロップがおいてありました。

    ぶれちゃった。ジュースは東南アジアは激アマが多いけど、たぶんクレームあったんだろうな、甘さ控えめでガムシロップがおいてありました。

  • そしてマンゴーは山盛りでしょ♪フィリピンマンゴー最高です(*^_^*)

    そしてマンゴーは山盛りでしょ♪フィリピンマンゴー最高です(*^_^*)

  • で、今朝の一皿.

    で、今朝の一皿.

  • 今日はビッグラグーン&amp;スモールラグーン巡り、ジャックフィーデイング、スネークアイランド探索、後はカヤックとスノーケルかな。いろんなエクスカーションは<br />桟橋から出るので、ミーテイングポイントでは入念な打ち合わせ中のスタッフたち。

    今日はビッグラグーン&スモールラグーン巡り、ジャックフィーデイング、スネークアイランド探索、後はカヤックとスノーケルかな。いろんなエクスカーションは
    桟橋から出るので、ミーテイングポイントでは入念な打ち合わせ中のスタッフたち。

  • 乗船!

    乗船!

  • はい、到着(笑)ミニロック島の東の上にラグーンはあるのです。

    はい、到着(笑)ミニロック島の東の上にラグーンはあるのです。

  • 小さな浜辺もあるよ。ここでプライベートランチもできるそう、日にちがあったら<br />やってみたかったな。

    小さな浜辺もあるよ。ここでプライベートランチもできるそう、日にちがあったら
    やってみたかったな。

  • 船はラグーンを進みます。

    船はラグーンを進みます。

  • (みんな!カヤックの漕ぎ方知ってる〜う?)とスタッフがプレゼン。

    (みんな!カヤックの漕ぎ方知ってる〜う?)とスタッフがプレゼン。

  • ビッグラグーンはとても深く、さらに魚は住めない場所らしく、いるのはクラゲと<br />小さめのサメ、なので泳いだりカヤックも出来ません。あくまでふかーい青!

    ビッグラグーンはとても深く、さらに魚は住めない場所らしく、いるのはクラゲと
    小さめのサメ、なので泳いだりカヤックも出来ません。あくまでふかーい青!

  • 鏡のような海面をゆっくりゆっくり進みます。ため息出そうな色!

    鏡のような海面をゆっくりゆっくり進みます。ため息出そうな色!

  • ものすごーく美しい!

    ものすごーく美しい!

  • (見て!カメだよ!)スタッフの叫びに瞬間シャッター切ったけど解る?真ん中の<br />丸い影。green grass turtleと思われます。息継ぎの瞬間に浮上してきたみたい。<br />めったにここで見られないからラッキー!指が入っちゃったよ(◎_◎;)

    (見て!カメだよ!)スタッフの叫びに瞬間シャッター切ったけど解る?真ん中の
    丸い影。green grass turtleと思われます。息継ぎの瞬間に浮上してきたみたい。
    めったにここで見られないからラッキー!指が入っちゃったよ(◎_◎;)

  • マングローブの林付近はグリーン。場所によって深度によって変わる海の色

    マングローブの林付近はグリーン。場所によって深度によって変わる海の色

  • ずーっとここに居たい・・・

    ずーっとここに居たい・・・

  • ボートはさらに進みます

    ボートはさらに進みます

  • みずすましボートを停泊させて、2人づつカヤックに乗り移ります。一番のり!

    みずすましボートを停泊させて、2人づつカヤックに乗り移ります。一番のり!

  • 素敵素敵♪ 行きかうカヤックどおし(楽しんでる?凄いよね〜)と声を掛け合って<br />みんなニコニコ。

    素敵素敵♪ 行きかうカヤックどおし(楽しんでる?凄いよね〜)と声を掛け合って
    みんなニコニコ。

  • カヤックを終えてバンカーボートのヘリで休憩中

    カヤックを終えてバンカーボートのヘリで休憩中

  • このおばあちゃん、おいくつだと思います?御年78歳です!おじいちゃんも同い年、息子さんが毎年一度、カヤックとスノーケルの旅にお連れしてるのだそうで、<br />お話聞いて感動しちゃった。(カヤックもスノーケルもなーんて楽しいんでしょう!足腰弱るとこれなくなるから、毎週プールで歩いてるのよ)と、素晴らしい!<br />(海って素敵よね〜)このおばあちゃんの大ファンになりました。

    このおばあちゃん、おいくつだと思います?御年78歳です!おじいちゃんも同い年、息子さんが毎年一度、カヤックとスノーケルの旅にお連れしてるのだそうで、
    お話聞いて感動しちゃった。(カヤックもスノーケルもなーんて楽しいんでしょう!足腰弱るとこれなくなるから、毎週プールで歩いてるのよ)と、素晴らしい!
    (海って素敵よね〜)このおばあちゃんの大ファンになりました。

  • おさるみたいに休憩続行中〜

    おさるみたいに休憩続行中〜

  • いきなりなクロールっ!

    いきなりなクロールっ!

  • スモールラグーンで見たのは結構デカメなたぶんクラゲ!

    スモールラグーンで見たのは結構デカメなたぶんクラゲ!

  • これはなんだろ?((◎_◎;)

    これはなんだろ?((◎_◎;)

  • お魚〜

    お魚〜

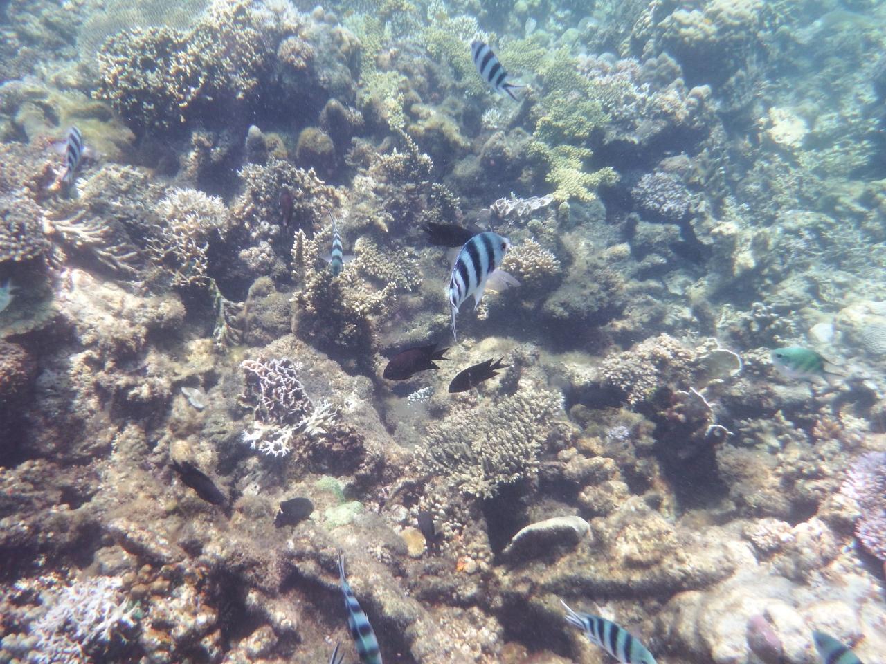
  • ストライプがはっきりなスズメダイ系 さて、10時半からハウスリーフでジャックの餌付けがあるの。これをとっても楽しみにしてた。船は間に合うように戻ります〜

    ストライプがはっきりなスズメダイ系 さて、10時半からハウスリーフでジャックの餌付けがあるの。これをとっても楽しみにしてた。船は間に合うように戻ります〜

  • ジャックとは・・・ロウニンアジのことで、体長は大きい物になると2メートル近くもなるそうです。毎日同じ時間に餌付けしてるので、10時すぎから続々と<br />ジャックが海深くから出勤してくるのは本当に不思議。時計なんかないのにね!

    ジャックとは・・・ロウニンアジのことで、体長は大きい物になると2メートル近くもなるそうです。毎日同じ時間に餌付けしてるので、10時すぎから続々と
    ジャックが海深くから出勤してくるのは本当に不思議。時計なんかないのにね!

  • でかっ!

    でかっ!

  • おっとっと!ジャックの胸鰭〜

    おっとっと!ジャックの胸鰭〜

  • この子、あたしの股抜けしていった〜(爆)

    この子、あたしの股抜けしていった〜(爆)

  • 正面のお顔。だんなさんはそっと触ってみたそうな。(ゴリゴリっつーか、ザラザラしてた。いっぱい傷があるんだよね、海で擦れたりするんだろうな)

    正面のお顔。だんなさんはそっと触ってみたそうな。(ゴリゴリっつーか、ザラザラしてた。いっぱい傷があるんだよね、海で擦れたりするんだろうな)

  • ジャックうじゃうじゃ(苦笑)1時間弱ジャックは遊んでくれました。そして三々五々海へ戻っていきました〜

    ジャックうじゃうじゃ(苦笑)1時間弱ジャックは遊んでくれました。そして三々五々海へ戻っていきました〜

  • ふう・・・一時撤退。お部屋で涼もうっと。

    ふう・・・一時撤退。お部屋で涼もうっと。

  • 今日は遊びまくったのでおなかがすき過ぎ。どれみてもおいしそう(笑)

    今日は遊びまくったのでおなかがすき過ぎ。どれみてもおいしそう(笑)

  • この景色を眺めながらのランチはプラスの味付け

    この景色を眺めながらのランチはプラスの味付け

  • 中華風なスープも

    中華風なスープも

  • あれやこれやの一皿と

    あれやこれやの一皿と

  • 今回のバフェでぴか一だったこれ!自分で材料と調味料を指示して作ってもらう<br />チャーハン。シーフードとビーフ、お野菜たっぷりに味付けはオイスターソースや<br />ソイソース、ガーリックたっぷりに・・・とにかくうまーい。最初だんなさんが<br />作ってきて、あまりにおいしいからお代わりしちゃった。

    今回のバフェでぴか一だったこれ!自分で材料と調味料を指示して作ってもらう
    チャーハン。シーフードとビーフ、お野菜たっぷりに味付けはオイスターソースや
    ソイソース、ガーリックたっぷりに・・・とにかくうまーい。最初だんなさんが
    作ってきて、あまりにおいしいからお代わりしちゃった。

  • おまけの隠れクマノミ画像(*^_^*)

    おまけの隠れクマノミ画像(*^_^*)

  • 1時半になり、洞窟探検とスネークアイランドへ行くエクスカーションに参加<br />します。この洞窟は蝙蝠が生息している場所、蝙蝠のふんを吸い込むと体に害が<br />あるらしく進入禁止。

    1時半になり、洞窟探検とスネークアイランドへ行くエクスカーションに参加
    します。この洞窟は蝙蝠が生息している場所、蝙蝠のふんを吸い込むと体に害が
    あるらしく進入禁止。

  • 近くまで行ってくれたのでパシャ

    近くまで行ってくれたのでパシャ

  • 次に洞窟探検へ移動〜

    次に洞窟探検へ移動〜

  • バンカーボートを停泊させます。

    バンカーボートを停泊させます。

  • このせまーい隙間を体を横にしてすり抜けます。スタッフがビニールシートを<br />敷いてから見本を披露。(こうやるんだよ、一人づつ行って〜)よいしょっと!

    このせまーい隙間を体を横にしてすり抜けます。スタッフがビニールシートを
    敷いてから見本を披露。(こうやるんだよ、一人づつ行って〜)よいしょっと!

  • 洞窟の中は明り取りの窓みたいにところどころ開いているので暗くはないの。

    洞窟の中は明り取りの窓みたいにところどころ開いているので暗くはないの。

  • 幻想的

    幻想的

  • 真っ暗だけど・・・蝙蝠やイワツバメの巣があってお留守番のひながいるみたい。<br />見えなかったけど・・・

    真っ暗だけど・・・蝙蝠やイワツバメの巣があってお留守番のひながいるみたい。
    見えなかったけど・・・

  • 鍾乳洞みたいに石灰質が固まって岩のグラデーションが綺麗。触るとすべすべで<br />やわらかい感じがしたな。

    鍾乳洞みたいに石灰質が固まって岩のグラデーションが綺麗。触るとすべすべで
    やわらかい感じがしたな。

  • (ミッキーマウスだよ!)うーむ、そう見えなくも・・・ないか(笑)

    (ミッキーマウスだよ!)うーむ、そう見えなくも・・・ないか(笑)

  • てわけで、ミッキーの耳を作ってみた(*^_^*)結構ウケた(笑)

    てわけで、ミッキーの耳を作ってみた(*^_^*)結構ウケた(笑)

  • 船を移動させてスネークアイランドへ向かいます。なぜスネークか?引き潮になった時に砂州が出現して歩いて海を渡れるから。でも残念ながらこの時の引き潮は<br />午前中だったため、砂州の上は歩けず。でもここ、海の中なのよね〜自然って<br />凄いなー。

    船を移動させてスネークアイランドへ向かいます。なぜスネークか?引き潮になった時に砂州が出現して歩いて海を渡れるから。でも残念ながらこの時の引き潮は
    午前中だったため、砂州の上は歩けず。でもここ、海の中なのよね〜自然って
    凄いなー。

  • 島に上って上から見てみよう。こんな場所にも船上ショップが!

    島に上って上から見てみよう。こんな場所にも船上ショップが!

  • サルがいるみたいだ

    サルがいるみたいだ

  • 展望台にのぼってみると、反対側の海の色が素晴らしい!

    展望台にのぼってみると、反対側の海の色が素晴らしい!

  • で、砂州が出来る方を見てみましょう。海の色がぱっくり分かれて違うのは・・・

    で、砂州が出来る方を見てみましょう。海の色がぱっくり分かれて違うのは・・・

  • 黒い方がsea grass の群生地だから。一面水草の草原♪これをsea grass turtleが<br />餌にするんだって。小魚がいるね。

    黒い方がsea grass の群生地だから。一面水草の草原♪これをsea grass turtleが
    餌にするんだって。小魚がいるね。

  • 堪能して〜ミニロックに戻ります。

    堪能して〜ミニロックに戻ります。

  • 戻ってすぐにカヤックする夫婦(笑)どんだけ好きなのか???もう日没間近で<br />波も出てきてるからいけるとこまで行って戻ろうね!

    戻ってすぐにカヤックする夫婦(笑)どんだけ好きなのか???もう日没間近で
    波も出てきてるからいけるとこまで行って戻ろうね!

  • 表紙画像にしたスパインチークアネモネフィッシュ、割と珍しい種類のようです。

    表紙画像にしたスパインチークアネモネフィッシュ、割と珍しい種類のようです。

  • 最後にアジ玉の中を泳いで〜そろそろ海から上がろう。

    最後にアジ玉の中を泳いで〜そろそろ海から上がろう。

  • 心置きなく遊んで過ごした日々、振り返りながら最後のハッピーアワーはシンガポールスリングで♪

    心置きなく遊んで過ごした日々、振り返りながら最後のハッピーアワーはシンガポールスリングで♪

  • どっぷりと日が暮れて〜

    どっぷりと日が暮れて〜

  • 食事画像がどっか行っちゃった〜( ノД`)シクシク…明日は6時早朝出発ですから<br />パッキングして早く寝なくちゃだけど、勿体なくてわたしは眠れず。相方さんは<br />パッキング終わったらそっこーで夢の国〜幸せなひとだよ、あなたは!

    食事画像がどっか行っちゃった〜( ノД`)シクシク…明日は6時早朝出発ですから
    パッキングして早く寝なくちゃだけど、勿体なくてわたしは眠れず。相方さんは
    パッキング終わったらそっこーで夢の国〜幸せなひとだよ、あなたは!

  • あーあ、夜が明けちゃった。帰国する朝です。

    あーあ、夜が明けちゃった。帰国する朝です。

  • コーヒーぐらいしか用意出来ないかも・・と言われていたけれど、すでに朝食はあらかた用意が出来ていて、食べていいですよと。あまりおなか空いてないから<br />フルーツとコーヒーで。

    コーヒーぐらいしか用意出来ないかも・・と言われていたけれど、すでに朝食はあらかた用意が出来ていて、食べていいですよと。あまりおなか空いてないから
    フルーツとコーヒーで。

  • サラダバー

    サラダバー

  • 各種ドレッシング

    各種ドレッシング

  • ヨーグルト

    ヨーグルト

  • チーズ♪

    チーズ♪

  • サラミや刺身、ちょっとしたおつまみみたいな。もちろんパンやプチケーキ、フルーツやエッグステーションは稼働です。よく食べたなあ、この3日間。

    サラミや刺身、ちょっとしたおつまみみたいな。もちろんパンやプチケーキ、フルーツやエッグステーションは稼働です。よく食べたなあ、この3日間。

  • そしてさみしい時間・・・お世話になったスタッフが桟橋で手を思い切り振って<br />くれています。じーん・・・( ;∀;)さよなら、お世話になりました!船が見えなくなるまでずーっとずーっと手を振ってくれました♪

    そしてさみしい時間・・・お世話になったスタッフが桟橋で手を思い切り振って
    くれています。じーん・・・( ;∀;)さよなら、お世話になりました!船が見えなくなるまでずーっとずーっと手を振ってくれました♪

  • 仲良くなったご夫婦に手を振るとご主人が一眼レフ構えて逆ショット(笑)さよなら〜またどこかの国のどこかの海で会えることがある・・・かも?

    仲良くなったご夫婦に手を振るとご主人が一眼レフ構えて逆ショット(笑)さよなら〜またどこかの国のどこかの海で会えることがある・・・かも?

  • 朝日を浴びながら船は進みます。

    朝日を浴びながら船は進みます。

  • リオ空港到着。

    リオ空港到着。

  • またこの派手派手ジムニーに乗ります。

    またこの派手派手ジムニーに乗ります。

  • 天井見たらこんなデコレーション、シータートルだ!

    天井見たらこんなデコレーション、シータートルだ!

  • ゴマモンガラ!

    ゴマモンガラ!

  • 出発待合室でまずは荷物の検査。一応開けられるけど、女性のスーツケースの中身はかき回すのは失礼・・・と考えてか、ちょこっと見て(中身はなあに?)と聞かれるだけ。以前あった体重測定もなーし!ここでセキュリテイーシールを張られ、<br />このまま日本まで開けられることはありませんでした。搭乗を待っている間に<br />飲み物を飲んだりして休憩。暇だから外をうろうろしてたらリスに遭遇、そして<br />この木はなんじゃらほい?とみるとカシューナッツ。こんな風になるのね。

    出発待合室でまずは荷物の検査。一応開けられるけど、女性のスーツケースの中身はかき回すのは失礼・・・と考えてか、ちょこっと見て(中身はなあに?)と聞かれるだけ。以前あった体重測定もなーし!ここでセキュリテイーシールを張られ、
    このまま日本まで開けられることはありませんでした。搭乗を待っている間に
    飲み物を飲んだりして休憩。暇だから外をうろうろしてたらリスに遭遇、そして
    この木はなんじゃらほい?とみるとカシューナッツ。こんな風になるのね。

  • 来るときには割愛されたおばちゃんの踊り(笑)帰りはちゃんとありました。でも<br />牛さんはいないなあ・・・お休みか?

    来るときには割愛されたおばちゃんの踊り(笑)帰りはちゃんとありました。でも
    牛さんはいないなあ・・・お休みか?

  • またこの飛行機でマニラを目指します。

    またこの飛行機でマニラを目指します。

  • 乗るぞ〜

    乗るぞ〜

  • さよならミニロック。そして島々たち♪たくさんの思い出ありがとう!

    さよならミニロック。そして島々たち♪たくさんの思い出ありがとう!

  • マニラに着いて旅行社のおばあさん(!)がやってきて国際線ターミナルまで車で<br />移動、結構遠いのよ・・・そしてそのおばあさんの仕事は到着したらおしまい!<br />イミあるのかなあ?30ぐらいの男性にバトンタッチされてチェックイン。来るとき<br />にはコードシェアでもラウンジは使えなかったのに、カウンターで聞くと(どうぞ<br />マブハイラウンジをお使い下さい)って!よかった〜3時間もあるのよ、どうしようかと思ってたからラッキー♪思いのほか広くて綺麗なラウンジ。

    マニラに着いて旅行社のおばあさん(!)がやってきて国際線ターミナルまで車で
    移動、結構遠いのよ・・・そしてそのおばあさんの仕事は到着したらおしまい!
    イミあるのかなあ?30ぐらいの男性にバトンタッチされてチェックイン。来るとき
    にはコードシェアでもラウンジは使えなかったのに、カウンターで聞くと(どうぞ
    マブハイラウンジをお使い下さい)って!よかった〜3時間もあるのよ、どうしようかと思ってたからラッキー♪思いのほか広くて綺麗なラウンジ。

  • ラップしてあったけどちょいとしなってるシーザーサラダ

    ラップしてあったけどちょいとしなってるシーザーサラダ

  • 飲茶系とか煮豚とか。おなかすいてたから美味しかった。ビールも忘れずに♪

    飲茶系とか煮豚とか。おなかすいてたから美味しかった。ビールも忘れずに♪

  • チーズケーキとかパイとかブラウニーとか。食べるだけ食べて時々うたた寝。<br />ネットして〜結構ゆっくり出来ました。免税店(しょぼいけど)でちょこっと買い物してから飛行機に乗りました。機内食画像がないのは・・・忘れちゃった。<br /><br />無事夜8時過ぎに成田に到着してドライブして帰宅。夢の様なミニロックアイランドでの時間を過ごしてパワーチャージされ、しばらくは頑張れそう♪<br /><br />長い旅行記にお付き合い下さってありがとうございました!<br /><br />おしまい☆

    チーズケーキとかパイとかブラウニーとか。食べるだけ食べて時々うたた寝。
    ネットして〜結構ゆっくり出来ました。免税店(しょぼいけど)でちょこっと買い物してから飛行機に乗りました。機内食画像がないのは・・・忘れちゃった。

    無事夜8時過ぎに成田に到着してドライブして帰宅。夢の様なミニロックアイランドでの時間を過ごしてパワーチャージされ、しばらくは頑張れそう♪

    長い旅行記にお付き合い下さってありがとうございました!

    おしまい☆

この旅行記のタグ

53いいね!

利用規約に違反している投稿は、報告する事ができます。 問題のある投稿を連絡する

この旅行記へのコメント (18)

開く

閉じる

  • すずかさん 2017/04/26 11:11:23
    エルニド最高!
    ちょびれさん、こんにちは。
    昨年行かれたエルニドにお邪魔してまーす。
    って実は何度もこの旅行記拝見してたんですが、読み逃げしてました(^^;

    エルニド本当に天国みたいな海ですね〜〜〜。
    実は今年のGWの行き先がエルニドなんです。
    すっごく詳しく書いてくださっていたので、本当に参考になりました。

    AirSwiftではラウンジないんですねぇ・・・
    昔の旅行記見ていると、アマンプロの横にエルニドリゾートのラウンジがあったのに。残念。
    NAIAのTerminal4は暇つぶし先ないから辛いっすよね。
    我が家はなるべくギリに行くようにしまーす(笑)

    ミニロックのアクティビティどれも楽しそうです〜〜。
    どれもこれも参加したくなっちゃいますね。
    旦那様も本当に楽しそう。
    ほんと、1日も早く行きたくなっております。

    今年のGWはどちらへ行かれるのかしら?
    もしエルニドにリピならご一緒できるかもですね!

    すずか

    ちょびれ

    ちょびれさん からの返信 2017/04/26 11:48:58
    RE: エルニド最高!→楽しんでいらしてください☆
    すずかさん

    こんにちわ♪ おお、エル二ドのミニロックにいらっしゃるのですか?
    ぢつは当初リぴも考えていて、パンガルシアン島に行きたいかなあと昨年思って
    いたのですが、なにせ、パンガルシアンはバカ高い!
    相方さんが、フィリピンでこの価格は勿体ない、ミニロックもう一度もいいけど
    一度行ってるから別の方面を考えよう〜ってことで。

    いつか、もう一度ミニロックには再訪したいです!あまりに楽しかったので旅行記も
    ハイテンションバージョンになっちゃいましたヽ(^o^)丿

    ラウンジですが、滞在中に仲良くなったご夫婦は早朝に到着してラウンジがあった
    そうです。時間帯なのか、はたまた我々が貧乏くじだったのかはいまだ不明ですが・・
    なので、もし朝ならラウンジに入ってまったりできるかもですよ♪
    絶対と言っていいほどdelayですから〜

    帰りのマニラ空港は本当に使えません、JALのターミナルだとちとマシになるようです
    よね〜フィリピン航空のターミナルはマヂ疲れました。

    お部屋にこだわりがあったりすると、へ?という感じになっちゃう程度の場所ですが
    快適ではありました。一番古いリゾートなんで仕方ないっす。
    お食事もここまで食材運んでるんだなあ・・・と温かい気持ちで食べてください(笑)
    まずくはないですよ〜普通です。

    アルコールは実費なので、ま、マニラでビールをスーツケースに詰め込んで行くと
    いいと思います。エアスイフトは重量制限あるんでなんなんですが、気持ちだけ
    手持ちあるといいよね〜☆

    我々はなんとか手筈がついたので、老後の資金を無視して(笑)モルジブに行ってきます。
    もう二度とイケナイだろうなあ・・・・

    楽しいGWを!

    ちょびれ
  • amachibiさん 2016/09/27 11:05:31
    はじめまして
    ちょびれさんこんにちは。
    初めて投稿します、「amachibi」と、申します。
    遅ればせながら、私のつたない旅行記にも起こし頂きましてありがとうございました。

    ちょびれさんの旅行記、以前に読ませていただいたとおもったのですが、
    サラット流してしまったようで、今回改めて読み直し、記憶を思い起こしてびっくりする事がたくさんありました。

    私たちは5/2にミニロック入りしたのでちょびれさんとはすれ違いのニアミスだったかと思うのですが、共有できる思い出がたくさんありました。

    その1、
    あの、元気なおばあちゃん!!  私達も2日間ご一緒しました。
    洞窟のエクスカーションなどでお話しさせて頂きました。
    素敵なご家族でした。

    その2、
    水上コテージ先端に滞在されていた日本のご夫婦!!
    ラグーンめぐりや、スネークアイランドでご一緒しました。
    最終日は一緒にディナータイムを楽しんでたくさんお喋りさせていただきました。たのしかったぁ。
    ご一緒した際に「前日お帰りになった日本の方から飲みきれなかったポーションのコーヒーをいかがですか?」とたくさん譲っていただきました。
    もしかして、、、そのコーヒーはちょびれさんの置き土産では??
    お酒があまり飲めない私達には大変助かりました。
    この場を借りて御礼申し上げます。

    ちょびれさんの旅行記を拝見してたら、心がエルニドに戻ってしましました。
    まだ旅行記も完成できず、お恥ずかしい限りですが思わずメールさせてもらいました。

    またどこかでニアミスあるかもしれませんね。
    その時はどうぞよろしくお願いします。

    ちょびれ

    ちょびれさん からの返信 2016/09/27 19:11:38
    RE:麗しのミニロック♪
    amachibiさん

    こんばんわ!旅行記を読んで頂いて書き込みもありがとうございました、amachibiさんの旅行記を読み逃げで〜ごめんなさい<m(__)m>

    入れ違いでミニロックにいらしたトラベラーさんがいらしたのにはびっくり
    して、懐かしく嬉しく旅行記拝見させて頂きました☆
    本当に本当に素晴らしい島でした! ちょいと行くまでに手間暇かかる場所
    だったので、長らく行くことを躊躇していたのですが、思い切って行って
    よかった!そう、心から思えます。
    あの海の色、魚影の濃い海の中、そしてハウスリーフの驚くほどの豊かさ
    、なかなかリゾートのそばでこれだけの環境の場所を東南アジアで見たことが無かったので、大興奮でした☆
    思い出すと胸キュン! いつかまた再訪出来たらいいなあ・・・

    そうでしたか!あの素敵なおばあちゃまとおじいちゃまとお話なさった
    のですね〜おじいちゃま共々前向きでそして可愛らしくて、自分も
    年を重ねてあんな風になりたいなあーって思いました。
    高齢のご両親を毎年シュノーケルにお連れしている息子さんにも頭が
    下がりました、お幸せですよね♪

    あは、水コテのご夫婦、本当に楽しいご夫婦でした!ダイバーさんなので
    いろんな海の話をたくさんお話して下さったり、お話が楽しくて時間の
    経つのも忘れてお話してしまいました、ポーション、
    使って下さったのですね!よかったあ(*^_^*)ミニロックを去る早朝
    にレセプションに託して帰国してしまったので、渡してくれたかなあ・・・
    と主人と話をしていたので、amachibiさんも使って下さったことを
    知って余計に嬉しかったです、こちらこそ教えて頂いてありがとうございましたヽ(^。^)ノ

    旅は一期一会かもしれませんが、世界のどこかで誰かとつながるって
    本当に素敵だと思います。また青い海に癒されに行きたい病が再燃
    しちゃいそうです♪


    ちょびれ
  • soniaさん 2016/07/25 18:59:59
    ミニロックのハウスリーフは最高♪
    遅ればせながらの2回分のまとめ読みでごめんよー!

    今回、ちょびちゃんの旅行記見て、ミニロックはアジアの中では素敵なリゾートってことを再確認しやした。
    アタシももぉー1回、行けるものなら行きたいな。

    でも私が行った当時とは、色んな部分が微妙に変わってる感じがするわ。
    飛行機もおっきくなったし、空港も舗装されたし、ミニロックのミーティングポイントも新しくなってる気がする。
    レセプションのあるあの建物も・・・改装した感じ???

    何より・・体重測定がなくなったのが一番嬉しい変化だけどね(笑)

    シュノーケリングはミニロックのハウスリーフが一番楽しいよね。
    我が家は毎日、少なからぬ時間をここで過ごしておりました。
    ジャック〜〜懐かしいー。

    ご主人も楽しまれたようで良かった良かった♪
    ミッキーマウスには笑わせてもらいました。
    お二人のラブラブ熱で、エルニドの海水温が2度くらい上がったらしいよ(笑)

    ちょびちゃんの念願だったミニロックの旅だもんね。
    またいつか、ちょびちゃんがあの小さなリゾートに戻れますように〜\(^o^)/

    sonia

    ちょびれ

    ちょびれさん からの返信 2016/07/25 19:31:05
    RE: あたしもそう思うよ♪
    soniaちゃん

    こんばんわ♪毎日あっつーいだぎゃー!→若い人はもはや言わないよね(笑)

    読んでくれてありがとうね!この週末だんなさんと話をしていて、今まで
    行った海外の海の中でどこか一番良かったか?ってね。
    んで、両名一致で!エルニド〜 という結果でごじゃりました(*^_^*)

    綺麗だろうとは想像していたが、想像以上に感動しました。エクスカーションで他のビーチにも行ったけど、絶対的にハウスリーフ!
    結局はハウスリーフで何時間も泳ぎ回りつつカヤックしてたよ(笑)
    決して派手なリゾートでも、ゴージャスなホテルでもなく、どちらかと
    言えば地味〜かもしれんが、テレビのない、そして必要最小限のアメニテイーと家具のナチュラルなお部屋が我々にはビンゴでした☆

    だって、ここは海を楽しむ場所だもんね!

    もう一度あそこに戻りたい、って昨日も言ってたけど、もうちょい費用が
    安ければなあ・・・まあね、行くのに手間も暇もかかる場所故仕方ない
    けど。ちまちまとへそくりして、もう一度行けたら最高だ!

    壊れまくっただんなとわたし(笑)特に彼がすっごく楽しかったらしく、
    珍しくいまだにエルニドの話をしてます。

    んー、やっぱ頑張ってC-カードかなあ・・・・そしたら一緒に潜りに
    行って下さいね☆

    あー、エルニド、新幹線で行けたらいいのに(爆)

    ちょびれ
  • たらよろさん 2016/05/25 19:51:55
    元気は気から・・・
    こんばんは、ちょびれさん

    78歳のおばあちゃん、、、
    凄いですね〜
    そして、そんなアクティブな場所に連れだす息子さんも凄い。

    今母親が膝の人工関節の手術で入院しているのですが、
    今86歳。。。
    やっぱり、内臓が元気でも足腰が弱くなると
    めっきり年老いてしまうし、どこにも行きたくなくなるし・・・
    いつまでも足腰元気でいろいろなところにお出かけできるって素晴らしいなぁ〜って思いました。

    フィリピン特有のおさかなさんとも戯れて、最高のロックアイランドでしたね〜
    次のバカンスまで、しばらく頑張らないとね〜♪

      たらよろ

    ちょびれ

    ちょびれさん からの返信 2016/05/26 04:22:25
    RE: 元気は気から・・・→これ、実感よね〜
    たらよろさん

    おはようございます♪ 旅行記最後までありがとうございました〜
    ねー、このおばあちゃま、笑顔がとってもラブリーな小さなおばあちゃま
    に、画像ないけど可愛いおじいちゃま。おいくつ位なのかしら?とお聞き
    して仰天、80手前〜って。あまりメジャーな場所じゃないし、どこから
    いらしたのかと思えばとっても遠くからなの。まずは国際線に乗るまで
    が時間かかっているはずの・・・そんなことをうかがってお話させて頂いて
    いたんだけど、スノーケルもカヤックも大好きだからずっと毎年来れるように頑張って水中ウオーキング続けているのよ♪にこっ。いいな〜そして
    息子さんが偉い! うちももうちょっとスパルタでいけば良かったかな、なんて今頃ちょいと後悔してます(苦笑)
    たらよろさんのお母さま、入院なさっていらっしゃるのね、膝かあ・・・
    足腰は体を支える要、すべてはここからなのよね。うちもこの1−2年で
    まったくダメになっちゃいました。家の中以外は車いすもしくは歩行器がないと歩けないので旅行にも歩行器を車に積み、車いすも積み、旅先でも
    車いすをお借りしてです。歩けなくなると気分もなかなかぱーっと晴れない
    ので何かと大変ですが・・・リハビリ始まってらっしゃるかしら、痛みが
    軽減してまたスムーズに歩けるようになられるのをお祈りします。

    エルニドは自然いっぱいのパラダイス、昨日も画像を眺めて一人思い出に
    浸ってました(*^_^*)

    ちょびれ
  • くろまめさん 2016/05/23 20:26:52
    本当に夢の世界だ〜☆
    こんばんは!
    楽しくってかわいい動物園へ先にお邪魔して来ました♪

    こちらは、まさに夢の国☆
    くろまめの想像を超える世界の旅行記で、第一話(連ドラ?)から、ほぇ〜〜♪っとぼーっとしながら写真を眺めておりました。

    きれいな海、青い海、本当に日本の海と繋がってるの?我が家の近所の海と繋がってるのよねぇ〜地球規模で言うと・・・失礼しました!エルニドに失礼よね。
    数々のお魚さんたちもここの海で生活できて幸せだろうなぁ〜もし、魚に生まれ変わったら日本海の荒海ではなく、こんな海でゆったりと漂っていたい・・・なぁんてくだらない事を考えてしまいました。
    お仕事お疲れ様のだんな様といろいろ(うふふ)お疲れのちょびオンニ!
    ストレスは青い海に流して来ましたか?

    マリンスポーツ未経験のくろまめ夫婦ですが、いつか行けるかな?
    イングリッシュも水着姿も×のくろまめより

    ちょびれ

    ちょびれさん からの返信 2016/05/23 21:01:30
    RE: 本当に夢の世界だ〜☆→夢よ覚めないで〜
    続けて読んでくれてありがとー、お待ちしてましたっ。この風景は今まで
    行った南の海の中ではぴか一でした。もっとも、世界にはもーっと素晴らしい絶景はたくさんあるんだろうが、我が家の海史上最高でした☆

    マニラからプロペラ機で飛ぶこと1時間20分、そこから船で45分、やっと到着するパラワン諸島の小さい可愛いミニロック島。
    画像みてわかると思うけど、島の前面にだけ施設が広がり、その他は手つかずなのですよ。なので、カヤックを出して海に出てくるっと回って反対側に行くとまた違った景色がのぞめます。もうね、やりだしたら止まらない夫婦なので〜いくよー!せーの!で右左右左と大声出しながら・・・あほだよね。でもそういう事も出来ちゃうぐらい、童心に帰り、やりたい事を思い切り出来てストレスなんか投げ捨ててきました♪
    テレビもない、夜は星空をぼけーっと眺めてビール飲む。
    こんなことが贅沢な時間でした。日々時間に追われ土日っていうくくりも
    ないからこの5日間は心から解放された貴重なオフでした☆
    ぜひともくろまめだんなさまと一緒に海デビューして!
    ここは心の洗濯出来ますよ〜

    ちょびれ
  • カメちゃんさん 2016/05/23 15:33:50
    極楽世界
    ちょびれさん
    まわりの景色も素晴らしいけど、海は静かで、透明度も高い!
    そんな島嶼群の中をカヤックをに乗って喜々として漕ぎ出すラブラブ夫婦(*^_^*)

    > さあ行くぞ、島の向こう側まで♪

    なんてまぁ、幸せなこと!!(^-^)
    元来、運動が苦手で横着育ちの私には、想いもつかない幸せの形です!!
    私が海に潜ったなんて、半世紀も昔に彼女への土産にとカニ獲った時しかないね(^_^;)

     > 岩のくぼみにひとが入れるように細工した場所を発見。

    こんなの、良くつくったモンだね。
    中国の絶壁に納めたお棺じゃないけど、現地の人は器用だねぇ〜(^^)
    海を楽しんでからいただくビールも美味しくて!(^^)!
    旦那様も超ご機嫌だね〜(^-^)

    ビックリしたのは、珊瑚を食べる魚がいること。
    ということは、粉末カルシウムだけでなく、いずれ「カルシウム豊富な珊瑚料理」が出てくるかもね(^o^)。

    ラゲン島にもお出掛けになったんだね。
    ラゲン島のコテージは茅葺き屋根でないので、ミニロック島のコテージのような「ローカル色」を感じにくいように思いました。そこはやっぱり、茅葺き屋根風にして「現地色」を出した方が良い感じがしました。


    海と料理とビールに花・・
    楽しいことが満載のミニロックアイランドのお話は、最高の極楽でのお話ですね。
    もう行ける身体ではないけど、クルーズに行く前に行けば良かったな〜と思いました(^_^;)

    それでは・・(^_^)/~
    カメちゃん

    ちょびれ

    ちょびれさん からの返信 2016/05/23 19:48:34
    RE: 極楽世界→まさに秘境です〜
    カメちゃん

    こんばんわ♪> お返事遅くなりました〜最後まで読んで頂いてありがとうございます!太陽の光に照らされて輝く海の美しさ、どこを見ても絶景
    でした。カヤック漕ぎすぎて腰を痛めた誰かさんでしたがやっと復活、
    やりすぎはいけませんね〜(笑)でも、この海見てると漕ぎ出して行けるとこまで行ってみたくなったんですよお。オール一本で進むカヤックは力も
    いるけど、波を読みながら漕いでいると自然の力を感じて人間なんてちっぽけだなーなんて思いました☆

    くぼみの竹細工の場所、最初なんだろなーって思ってたけどイワツバメがいるのでその巣を狙う場所かなと。高値で売れるそうなんで。

    お魚が集まっていったい何をしてるんだろう?って不思議でしたが、サンゴ
    を砕いて食べる習性があるのを知ってびっくり。誰かが砕くとサンゴが舞い上がりそれに群がってました。面白いよね〜( *´艸`)

    ラゲン島は比較的大きくてリゾートの施設も大きめ、確かに南の島っぽく
    ないフォレストルーム棟ですが、内部はとっても素敵なの。もしお部屋で
    過ごす時間が多いなら、こちらのほうが居心地はいいと思います。
    ほとんど海で過ごすなら絶対的にミニロックのほうが楽しい〜
    >
    明け方から夕暮れまで飽きることなく海を楽しんで、好きな時間に食事
    して、やっぱり主婦としては家事放棄が一番うれしいかな(笑)
    なーんも考えずに自然を満喫出来たこの時間、ずっと忘れないだろうな
    って思ってます(^^♪

    ちょびれ
  • NAMYさん 2016/05/22 14:33:17
    旦那様だけでなく副会長も???
     こんにちわ〜、副会長☆彡

     旦那様だけでなく、副会長も壊れてきました〜、ネズミポーズを決めて(笑)?

     なになに、副会長、ずっとエルニドに居たかった?生活費大丈夫でしょうか???もしや、ハウスキーパーで住み着くとか(笑)?
     
     動いた後のごはんはおいしいですよね〜、我が家と違い、リゾートを満喫できているのがうらやましいです。
     こっちはご飯が拷問のようでしたから。。。

     そして、空港で歌を歌ってくれてるおばちゃん、あれたぶん若いです。おばさん化してるだけで(笑)

     帰りはラウンジ使えてよかったですね〜、機内はどうでした?行きと同じくエアアジアもどき?

     この後はどこ行くのかな〜?

     NAMY

    ちょびれ

    ちょびれさん からの返信 2016/05/23 01:28:32
    RE: 旦那様だけでなく副会長も???→んだす
    NAMYさん

    またありがとさんです!ええ、壊れましたとも!思いっきり(爆)いいんです、ぶっ壊れても、楽しければ♪南の島では楽しくいなければイミないです
    もんね〜
    帰りたくないって本気で思ってましたよ、ハウスキーパーかあ・・・ミニロックでもおさんどんするのかあ・・・永遠に逃れられないサダメなのか?
    できればレセプショニストがいいです!それかショップ担当でも・・・
    あ、計算できないからだめだな、ドルだのペソだの・・。レート換算
    間違えそう〜
    自腹切って10日とかいたら破産しちゃいますって!テレビのない日々って
    どうなんだろ?って思っていたけど、テレビがないのはいい!
    精神的にもいい!静かでゆったり出来たから。
    心と体が疲れてきたら、こういう自然の中に身をおいて、ひねもす
    海三昧したら健康になれますね!ほんと。

    ジャックは思いのほか高速で泳ぎ回るのでびっくり。そこそこの子が
    股抜けしてった時にはビビりました。

    お食事は以前に比べた改善されていると前にいらした方がいってらっしゃいます。3−4日で飽きることはないぐらいのレベルでした。
    品数もこんな島にしては多かったし。
    はるばる食材を運んでくるのだから、十分です♪

    ちょびれ
  • レモングラスさん 2016/05/20 10:22:15
    新婚旅行みたい〜
    ちょびれさん、こんにちは

    もう楽しくてたまらないご主人の様子が微笑ましくて・・。
    よほど楽しかったんですね。なんだか可愛いって思っちゃった〜

    ほんとに夢の時間。
    カヤックで他には誰もいない2人だけの時間。これが新婚なら何するだろ?(笑)
    そんなシチュエーションって滅多にないよね。

    心から旅を楽しんでリラックスしてるご夫婦。うん、新婚旅行だ!

    カメちゃん。ちゃんと見えたよ〜自然のカメが見られるなんてすごい。
    ふかーい青。あんな青を見てみたいわ。

    ビーチアクティビティを存分に楽しんでいいな〜私もやってみたいんだけど経験ナシなの。海が怖くて膝くらいまでしか入れない。
    子供のころに溺れかかったトラウマがあるの。
    でも、パラマンのあの海なら克服できそう。

    海の青って同じ青でもいろんな色があるんだな。

    とても美しい楽しい、心温まる旅行記でした〜

    素敵!

                    レモングラス

    ちょびれ

    ちょびれさん からの返信 2016/05/20 12:20:59
    RE: 新婚旅行みたい〜→がははのは〜
    レモングラスさん

    こんにちわん♪読んでくださってありがとうございました! こっぱずかしい・・・赤いちゃんちゃんこ目前夫婦がはしゃいでるだけでございます^^; そうそう、珍しいんだよね、だんなさんがこれだけはしゃいでる姿って!エルニド行く前週も前々週も海外出張で、多分
    しぶしぶ妻に引かれて辺境まで行くんだろなあって思っていたので、予想外
    (笑)我が家は海外旅行の主導権は全部わたし、というより、計画しないと
    一生いけないので仕方なくだが・・・なので、行先がエルニドだとは言って
    一応画像は見せておいたが、真剣には見てなかった(ようなので)実際に
    到着してあまりの綺麗さに絶句してました♪
    今までの海でぴか一でした〜
    施設としてはエルニドリゾーツの中ではたぶん最古参なので古いし、決して
    広いお部屋でもないんだけども、その分海と目の前のハウスリーフが素晴らしく、ちょっと海に入るだけで熱帯魚水族館状態なのよ。
    確かに海でのトラウマがあると怖いかもしれないなあ・・・
    でもライフジャケット着てれば浮くから!ぜひレモンさんにも見て欲しい
    なあ。童心にかえれます(笑)

    ちょびれ
  • puyomushiさん 2016/05/19 12:56:57
    ミッキーポーズ
    こんにちは〜 ちょびれさん。

    ああ〜〜この旅行記の全て体験したはずなのに、記憶って悲しい。
    ずいぶんと忘れていました・・・

    あまりに素晴らしい景色の数々なので、思わず自分の旅行記もう1回読んでみた!
    もう、6年も前なんだね。
    でも、リゾートのジュースが無糖になったり、お料理の種類が改善されていたり
    体重測定がなくなっていたり!!
    うれしい変化はタンとあるも、この風景とジャックは健在です(^^♪

    あの風景の中をカヤックする無類のよろこび!
    御歳78歳でも、感動間違いなし(#^.^#)

    それはそうと、バンカボートのヘリにちょこなんと腰掛ける旦那さん、少年みたいだね。
    本当に楽しかったんだな〜って、私までうれしくなちゃいましたよ♪
    そしてそして、ミッキーポーズ!!
    もーーーっ、ハネムーン並みのショットね。

    来年の年賀状写真はこれで決まり〜〜☆

    そうそう、おとといの健康診断で半年前より体重8キロダウンでございました<m(__)m>
    自分のエルニドの旅行記を見て、今の自分のほうが痩せているのが不思議なくらい。
    さらに、6年くらい遡った体重に戻るまで、絶賛継続中です(^^)/

    puyo



    ちょびれ

    ちょびれさん からの返信 2016/05/19 14:37:31
    RE:祝!成果続行中!
    ぷよちゃん

    こんにちわん♪ だんなが飛びったったとほっとしたら来週から娘が出張で飛ぶから今パソない場所で仕事してるから航空券検索してくれと・・・
    仕方なく検索、ブッキング、支払いを代行〜親使いの荒い娘と相変わらず
    みんながばんらばんらの我が家です・・・

    まんず、8キロ!半年で!!コマーシャルに出れそうです(*^_^*)
    そりゃ、目の前のフレンチフライを3本で我慢出来る子はやれば出来る子
    なのだ〜飛ばしすぎないようにスローダウンしながらやってね。
    停滞期になってもそれは一時期だから〜階段を休みながら下るグラフに
    なるのが一番です♪応援してるぜ〜定期的にチェックの為お会いします!(笑)
    やはり運動量というのは一番のファクターだと思います。このエルニド旅
    の間規則正しく早朝ー夜早くの生活をして、一日少なくとも2時間はカヤックを漕ぎ、空き時間にスノーケルしてるとそりゃ体重は増えません。お金と時間に余裕があればずっとしていたかったでーす。わたくし、半年で8キロ
    痩せて3キロ戻りました(爆)キープするのは難しいのお・・・

    6年も経つのね〜ぷよちゃんとのお付き合いも長くなりましたね♪

    改善点が増えたのは喜ばしいこと、でも、エコを守る姿勢は変わっては
    いなかったよ。だからこそ6年経ってもあの海だと思います、企業努力
    だなー。

    ジャックと遊ぶなんて日常では考えられません。ご指摘のように主人が
    これだけはじけたのを見たのは人生初かも!それだけ解放感があった旅
    だと噛みしめてます。やっぱ、海はいいよね〜ヨーロッパにも行って
    みたいんだけど、どうしても南国の海の中から脱却できない。
    もう暫く赤いちゃんちゃんこ着るまではいいかな。

    旅行記作りながら夢の日々を思い出すと胸キュン!です。
    あ、スタッフに(ハネムーンか?)と聞かれたので、(いいや、34年経ってる
    からフルムーンだ)と答えたらバカ受けしました〜あは。

    ちょびれ

ちょびれさんのトラベラーページ

コメントを投稿する前に

十分に確認の上、ご投稿ください。 コメントの内容は攻撃的ではなく、相手の気持ちに寄り添ったものになっていますか?

サイト共通ガイドライン(利用上のお願い)

報道機関・マスメディアの方へ 画像提供などに関するお問い合わせは、専用のお問い合わせフォームからお願いいたします。

旅の計画・記録

マイルに交換できるフォートラベルポイントが貯まる
フォートラベルポイントって?

フィリピンで使うWi-Fiはレンタルしましたか?

フォートラベル GLOBAL WiFiなら
フィリピン最安 356円/日~

  • 空港で受取・返却可能
  • お得なポイントがたまる

フィリピンの料金プランを見る

フォートラベル公式LINE@

おすすめの旅行記や旬な旅行情報、お得なキャンペーン情報をお届けします!
QRコードが読み取れない場合はID「@4travel」で検索してください。

\その他の公式SNSはこちら/

PAGE TOP