宮古島旅行記(ブログ) 一覧に戻る
昨年初めて宮古を訪れ海の綺麗さに感動!<br />また来年も行こうねって事で今年も宮古島に行ってきました。<br /><br />台風の影響もなく毎日晴天♪<br />3日間シュノーケル三昧でした!

宮古ブルーが恋しくて・・・

32いいね!

2015/09/18 - 2015/09/21

1162位(同エリア4774件中)

0

114

クミクミ

クミクミさん

昨年初めて宮古を訪れ海の綺麗さに感動!
また来年も行こうねって事で今年も宮古島に行ってきました。

台風の影響もなく毎日晴天♪
3日間シュノーケル三昧でした!

旅行の満足度
4.5
同行者
友人
一人あたり費用
5万円 - 10万円
交通手段
レンタカー JALグループ
  • 伊丹→那覇到着!<br /><br />宮古行きの飛行機まで1時間あるので軽食。<br /><br />魚肉ソーセージ、ただただ辛い・・・

    伊丹→那覇到着!

    宮古行きの飛行機まで1時間あるので軽食。

    魚肉ソーセージ、ただただ辛い・・・

  • 飛行機遅れて14時過ぎ宮古島到着!<br /><br />疲れた〜!!

    飛行機遅れて14時過ぎ宮古島到着!

    疲れた〜!!

  • レンタカー借りて去年も利用した「レンタルハッピー1」に電話する。<br /><br />今からホテルに向かうのでシュノーケルセットをホテルに持ってきてほしいと言ったら今空港の近くだからレンタカーのショップで待っててとの事。<br /><br />すぐ来てくれました。道端でサイズ合わせる。<br /><br />返却はまた最終日にレンタカーショップに回収にきてくれる。便利♪<br /><br />7日間使いたい放題で1人2500円。ホントに安い!今年も使いまくるぞ〜っ!<br /><br />「レンタルハッピー1」 TEL:080-5195-3336

    レンタカー借りて去年も利用した「レンタルハッピー1」に電話する。

    今からホテルに向かうのでシュノーケルセットをホテルに持ってきてほしいと言ったら今空港の近くだからレンタカーのショップで待っててとの事。

    すぐ来てくれました。道端でサイズ合わせる。

    返却はまた最終日にレンタカーショップに回収にきてくれる。便利♪

    7日間使いたい放題で1人2500円。ホントに安い!今年も使いまくるぞ〜っ!

    「レンタルハッピー1」 TEL:080-5195-3336

  • そのまますぐにでも海へ行きたかったけど荷物をおろしたいので一旦ホテルへ。<br /><br />今年は市内にある「ホテルニュー丸勝」<br /><br />一瞬「えっ・・・」って思ったけどこの錆びついた廃屋ではなく、ホテルは奥に入った所。車は裏の駐車場に停める。

    そのまますぐにでも海へ行きたかったけど荷物をおろしたいので一旦ホテルへ。

    今年は市内にある「ホテルニュー丸勝」

    一瞬「えっ・・・」って思ったけどこの錆びついた廃屋ではなく、ホテルは奥に入った所。車は裏の駐車場に停める。

  • 昭和の匂いがプンプンするビジネスホテルって感じでしょうか?<br /><br />どっちも安いけど去年のホテルに比べると狭い。でも周りはご飯屋さんいっぱいで立地はいい♪<br /><br /><br />

    昭和の匂いがプンプンするビジネスホテルって感じでしょうか?

    どっちも安いけど去年のホテルに比べると狭い。でも周りはご飯屋さんいっぱいで立地はいい♪


  • 窓からの景色。<br /><br />・・・ですよねぇ〜・・・<br /><br />ベランダないから濡れた物乾かしにくいなぁ・・・<br /><br />早速水着に着替えてGO!GO!GO〜!!

    窓からの景色。

    ・・・ですよねぇ〜・・・

    ベランダないから濡れた物乾かしにくいなぁ・・・

    早速水着に着替えてGO!GO!GO〜!!

  • ホテルからは少々離れてるけどまずは去年2回も行った吉野海岸へ向かう。

    ホテルからは少々離れてるけどまずは去年2回も行った吉野海岸へ向かう。

  • 16時半頃、海到着!!<br /><br />誰もいない〜と思ったら・・・<br /><br />なんと朝に出ていた津波警報がまだ解除されていなかった。<br /><br />なので遊泳禁止??  こんなに穏やかなのに〜!!

    16時半頃、海到着!!

    誰もいない〜と思ったら・・・

    なんと朝に出ていた津波警報がまだ解除されていなかった。

    なので遊泳禁止??  こんなに穏やかなのに〜!!

  • でも少しだけ。20分だけ。<br /><br />

    でも少しだけ。20分だけ。

  • くまのみ〜♪<br /><br />透明度高しっ!!<br /><br />寒くてホントに少しで満足して帰りました。

    くまのみ〜♪

    透明度高しっ!!

    寒くてホントに少しで満足して帰りました。

  • サンエー寄ってホテル戻って大浴場へ。<br /><br />ホテル満室なのにご飯時のせいか誰もいない〜!<br /><br />部屋のお風呂は小さいしトイレも一緒でビチャビチャになるから毎晩ここで入りました。

    サンエー寄ってホテル戻って大浴場へ。

    ホテル満室なのにご飯時のせいか誰もいない〜!

    部屋のお風呂は小さいしトイレも一緒でビチャビチャになるから毎晩ここで入りました。

  • こんなんでも冷えた体があったまるなら満足だ。

    こんなんでも冷えた体があったまるなら満足だ。

  • お風呂出たらスッピンでGO!<br /><br />ホテル出たら店いっぱいで夕食は困らないと思ってたのに明日からシルバーウィークのせいか良さそうなお店はどこも満席。<br /><br />何件かまわって相席で入れた「眞丑」。<br /><br />お腹減りすぎで全部の写真はないけど中華料理が多くて、沖縄料理を食べたかった私達にはあんまり・・・でした。<br />

    お風呂出たらスッピンでGO!

    ホテル出たら店いっぱいで夕食は困らないと思ってたのに明日からシルバーウィークのせいか良さそうなお店はどこも満席。

    何件かまわって相席で入れた「眞丑」。

    お腹減りすぎで全部の写真はないけど中華料理が多くて、沖縄料理を食べたかった私達にはあんまり・・・でした。

  • 朝御飯は昨日サンエーで買っておいた大好きなジーマーミ豆腐♪

    朝御飯は昨日サンエーで買っておいた大好きなジーマーミ豆腐♪

  • 今日の午前は伊良部島へ(^▽^)<br /><br />今年出来たばかりの伊良部大橋。<br /><br />便利になりましたねぇ〜♪

    今日の午前は伊良部島へ(^▽^)

    今年出来たばかりの伊良部大橋。

    便利になりましたねぇ〜♪

  • 海綺麗のに柵で見えづらい・・・<br /><br />

    海綺麗のに柵で見えづらい・・・

  • 少し車を停めて景色を眺める。<br /><br />因みに今回の旅のお供はトヨタのVitz

    少し車を停めて景色を眺める。

    因みに今回の旅のお供はトヨタのVitz

  • まずは去年来て気に入った渡口の浜。<br /><br />ただただボーっと浮きに来たが時間のせいか去年より深く穏やかだが波がある。<br /><br />いつもなら全然気にしないで泳ぐけど周りに誰もいないし、台風の影響で波が高くなるかも・・・という中途半端な情報と少し前にここで溺れて亡くなった人がいるという昨日聞いたばかりの情報のせいで怖くて中に入れない・・・

    まずは去年来て気に入った渡口の浜。

    ただただボーっと浮きに来たが時間のせいか去年より深く穏やかだが波がある。

    いつもなら全然気にしないで泳ぐけど周りに誰もいないし、台風の影響で波が高くなるかも・・・という中途半端な情報と少し前にここで溺れて亡くなった人がいるという昨日聞いたばかりの情報のせいで怖くて中に入れない・・・

  • 昨日は津波警報解除前に海に入ったくせに超ビビリ・・・<br /><br />それくらいの方が安全か。<br /><br />ただただ黄昏る・・・

    昨日は津波警報解除前に海に入ったくせに超ビビリ・・・

    それくらいの方が安全か。

    ただただ黄昏る・・・

  • ついでに中ノ島ビーチはどうかな〜?と覗きにきたらオプショナルツアーの人達がシュノーケルしてたのでこれは安心!<br />泳いで行こう!!<br /><br />

    ついでに中ノ島ビーチはどうかな〜?と覗きにきたらオプショナルツアーの人達がシュノーケルしてたのでこれは安心!
    泳いで行こう!!

  • 強面の三線引いてたおっちゃんが「あそこ使いな 無料だ」というので有り難く利用させて頂いた。<br /><br />去年こんなサービスはなかったよね・・・?

    強面の三線引いてたおっちゃんが「あそこ使いな 無料だ」というので有り難く利用させて頂いた。

    去年こんなサービスはなかったよね・・・?

  • めちゃ綺麗〜!!<br /><br />波ない〜♪

    めちゃ綺麗〜!!

    波ない〜♪

  • いざっ!!

    いざっ!!

  • 魚の名前全然わからない〜。

    魚の名前全然わからない〜。

  • くまのみ〜。

    くまのみ〜。

  • タコだっ!!<br /><br />興奮!

    タコだっ!!

    興奮!

  • 追いかけたら岩の間にくっついて動かない。<br /><br />岩にでもなったつもりかっ!!

    追いかけたら岩の間にくっついて動かない。

    岩にでもなったつもりかっ!!

  • 何かの群れ。<br /><br />こちらも最初見た時はビックリしてビビッた・・・笑<br /><br />突っ込んでいっても綺麗に避けてくれた♪

    何かの群れ。

    こちらも最初見た時はビックリしてビビッた・・・笑

    突っ込んでいっても綺麗に避けてくれた♪

  • 上から絵。

    上から絵。

  • 浅瀬にも砂と同系色の魚が沢山。

    浅瀬にも砂と同系色の魚が沢山。

  • 体も冷えきってお昼になったので上がった。<br /><br />来た時よりも路駐車が増えていた。

    体も冷えきってお昼になったので上がった。

    来た時よりも路駐車が増えていた。

  • 宮古島に戻り、丸吉食堂へ。<br /><br />土曜の昼時、しかもシルバーウィーク初日のわりに5分位待てば入れた♪<br /><br />腹ペコだ・・・

    宮古島に戻り、丸吉食堂へ。

    土曜の昼時、しかもシルバーウィーク初日のわりに5分位待てば入れた♪

    腹ペコだ・・・

  • 去年宮古そばを食べたので今年はソーキそばにした。<br /><br />お友達は3枚肉そば。<br /><br />どれもうましっ!<br /><br />食べてたら待ちのお客さんが増えてきたのでいい時に来たもんだ〜。

    去年宮古そばを食べたので今年はソーキそばにした。

    お友達は3枚肉そば。

    どれもうましっ!

    食べてたら待ちのお客さんが増えてきたのでいい時に来たもんだ〜。

  • 「島cafe とぅんからや」の横にある「Tida」の雑貨を見にきた。<br /><br />ここ可愛いから見るだけでも楽しい♪

    「島cafe とぅんからや」の横にある「Tida」の雑貨を見にきた。

    ここ可愛いから見るだけでも楽しい♪

  • 続いて来間島にある長間浜ビーチへ。ここは初めて♪<br />くまのみマンションと言われる位沢山のくまのみがいるらしい。<br /><br />ここ行くの?って感じのさとうきび畑を越えた先にある。<br /><br />どんなビーチかドキドキ・・・<br /><br />ジュースの移動販売のお兄さんが前を通ると親切に「ここを出て右の方に目印のブイがあるのでその辺りにくまのみが沢山いますよ」とシュノーケルのポイントを教えてくれた。

    続いて来間島にある長間浜ビーチへ。ここは初めて♪
    くまのみマンションと言われる位沢山のくまのみがいるらしい。

    ここ行くの?って感じのさとうきび畑を越えた先にある。

    どんなビーチかドキドキ・・・

    ジュースの移動販売のお兄さんが前を通ると親切に「ここを出て右の方に目印のブイがあるのでその辺りにくまのみが沢山いますよ」とシュノーケルのポイントを教えてくれた。

  • あれ?白い砂浜は?ガイドブックの写真と違うぞ?クチコミと違うぞ?<br />場所がずれているのか??<br />岩場だぞ〜?<br /><br />ヌメヌメでヌルヌル滑る岩場をこけそうになりながら進む。<br />

    あれ?白い砂浜は?ガイドブックの写真と違うぞ?クチコミと違うぞ?
    場所がずれているのか??
    岩場だぞ〜?

    ヌメヌメでヌルヌル滑る岩場をこけそうになりながら進む。

  • いざっ!!<br /><br />荒波に揺られながら・・・(大げさ) 恐怖心と戦いながら突き進む!<br /><br /><br />目指すはポイント目印の浮きボール!<br /><br />浅瀬は濁っていたが進むにつれ透明度が・・・

    いざっ!!

    荒波に揺られながら・・・(大げさ) 恐怖心と戦いながら突き進む!


    目指すはポイント目印の浮きボール!

    浅瀬は濁っていたが進むにつれ透明度が・・・

  • ボールまで辿りつくもすぐには見つけられず・・・<br /><br />ボールも潮の関係で移動するので周辺を捜索していると・・・<br /><br />発見!!<br /><br />細かいオレンジがチラホラと・・・☆<br />

    ボールまで辿りつくもすぐには見つけられず・・・

    ボールも潮の関係で移動するので周辺を捜索していると・・・

    発見!!

    細かいオレンジがチラホラと・・・☆

  • まさに!!くまのみマンション!!<br /><br />ざっと数えただけでも40匹はいた!!<br /><br />潮の流れが若干速く、写真を撮る為にそこにとどまるのに必死だった。

    まさに!!くまのみマンション!!

    ざっと数えただけでも40匹はいた!!

    潮の流れが若干速く、写真を撮る為にそこにとどまるのに必死だった。

  • 満足。<br /><br />あとはただただ元の岩場まで流されればいいだけ。<br /><br />青い珊瑚。<br /><br />岩場を上がるとき波に邪魔されヨタヨタで漂流して辿り着いた人みたいにホント格好悪かった・・・笑<br /><br /><br />

    満足。

    あとはただただ元の岩場まで流されればいいだけ。

    青い珊瑚。

    岩場を上がるとき波に邪魔されヨタヨタで漂流して辿り着いた人みたいにホント格好悪かった・・・笑


  • 帰りにポイントを教えてくれたお兄さんの所でアリガトウついでに黒糖バナナシェイクを買った。<br /><br />め〜っちゃウマっっ♪<br /><br />バナナの果肉いっぱいで幸せ〜♪

    帰りにポイントを教えてくれたお兄さんの所でアリガトウついでに黒糖バナナシェイクを買った。

    め〜っちゃウマっっ♪

    バナナの果肉いっぱいで幸せ〜♪

  • 来間大橋を渡る前にタコ公園に寄り道。<br /><br />車停めてジャングルみたいな遊歩道を歩いてく。

    来間大橋を渡る前にタコ公園に寄り道。

    車停めてジャングルみたいな遊歩道を歩いてく。

  • タコ。<br /><br />なんだ・・・タコの上には上がれないのか・・・

    タコ。

    なんだ・・・タコの上には上がれないのか・・・

  • ついでにチョット調べて気になっていたタコのすぐ近くにあるプール状の入り江。<br /><br />ここを進む。

    ついでにチョット調べて気になっていたタコのすぐ近くにあるプール状の入り江。

    ここを進む。

  • ぉお〜!!<br /><br />プライベート感満載ww<br /><br />もう夕方で朝から濡れたままの私達は寒かったので膝くらいまで入っておしまい。<br />でも小さい魚がチラホラいました。

    ぉお〜!!

    プライベート感満載ww

    もう夕方で朝から濡れたままの私達は寒かったので膝くらいまで入っておしまい。
    でも小さい魚がチラホラいました。

  • ホテルに戻ってお風呂入ったら今夜は4トラでも評判の良かった「ぶんみゃあ」へ。  <br /><br />よし!歩いて行ける!!

    ホテルに戻ってお風呂入ったら今夜は4トラでも評判の良かった「ぶんみゃあ」へ。  

    よし!歩いて行ける!!

  • 満席。<br /><br />昨夜どこのお店もいっぱいだったので予約しときました♪正解です!

    満席。

    昨夜どこのお店もいっぱいだったので予約しときました♪正解です!

  • ここで食べたご飯はぜ〜んぶ美味しかった♪<br /><br />島らっきょの天ぷらにジーマーミ豆腐の揚げだしに麩チャンプルに宮古牛炙りの握りっ! 楽しくて美味しくて最高だ!!<br /><br />初めて飲んだミルク酒も気に入った!<br /><br />池間島の海人の伝統的な飲み方らしく、泡盛+練乳♪<br />飲みやすいから悪酔いに要注意です。

    ここで食べたご飯はぜ〜んぶ美味しかった♪

    島らっきょの天ぷらにジーマーミ豆腐の揚げだしに麩チャンプルに宮古牛炙りの握りっ! 楽しくて美味しくて最高だ!!

    初めて飲んだミルク酒も気に入った!

    池間島の海人の伝統的な飲み方らしく、泡盛+練乳♪
    飲みやすいから悪酔いに要注意です。

  • ラストの島唄ライブも終盤を向かえ大盛り上がり!<br /><br />踊る阿呆に見る阿呆。同じ阿呆なら踊らにゃ損損っ!!の精神で食べて飲んで踊って楽しい夜になりました♪

    ラストの島唄ライブも終盤を向かえ大盛り上がり!

    踊る阿呆に見る阿呆。同じ阿呆なら踊らにゃ損損っ!!の精神で食べて飲んで踊って楽しい夜になりました♪

  • 帰り道、ほろ酔いでまもる君に絡む。<br /><br />「会いたかったよ〜っ!!」

    帰り道、ほろ酔いでまもる君に絡む。

    「会いたかったよ〜っ!!」

  • 3日目、朝御飯は「島の駅みやこ」で試しに買ったさたぱんぴん。<br /><br />あたしはサーターアンダーギーの方が大好きです。

    3日目、朝御飯は「島の駅みやこ」で試しに買ったさたぱんぴん。

    あたしはサーターアンダーギーの方が大好きです。

  • 3日目、朝から砂山ビーチへ。<br /><br />去年は夕日を見に来たから今回は朝から見たらまた景色も違うかなぁ〜と・・・

    3日目、朝から砂山ビーチへ。

    去年は夕日を見に来たから今回は朝から見たらまた景色も違うかなぁ〜と・・・

  • うん!綺麗♪<br /><br />夕方より人も少ない。<br /><br />暑い・・・w

    うん!綺麗♪

    夕方より人も少ない。

    暑い・・・w

  • 島尻マングローブ。<br /><br />誰もいない。<br /><br />赤い長靴・・・誰の??

    島尻マングローブ。

    誰もいない。

    赤い長靴・・・誰の??

  • 想像以上に広く遊歩道も長い。<br /><br />暑い・・・ww

    想像以上に広く遊歩道も長い。

    暑い・・・ww

  • 西平安名崎に向かう途中にいた馬と牛。<br /><br />

    西平安名崎に向かう途中にいた馬と牛。

  • 西平安名崎到着。<br /><br />東平安名崎は去年夕日を見に行って見れなかった。<br />夕日を見るならこっちらしい。

    西平安名崎到着。

    東平安名崎は去年夕日を見に行って見れなかった。
    夕日を見るならこっちらしい。

  • 西平安名崎からの景色。

    西平安名崎からの景色。

  • 池間大橋と池間島。<br /><br />このブルーがいいねぇ〜

    池間大橋と池間島。

    このブルーがいいねぇ〜

  • 折角近くまできたし時間も余ったので雪塩製塩所。

    折角近くまできたし時間も余ったので雪塩製塩所。

  • 去年は外で売ってたけど今年は綺麗になった店内で販売されていた。

    去年は外で売ってたけど今年は綺麗になった店内で販売されていた。

  • また来れますように・・・

    また来れますように・・・

  • 続いて島尻港を目指すも道に迷った。<br /><br />少年に道を聞いたらチャリで案内してくれた。<br /><br />Tシャツのバックプリントの矢印が方向を示してくれているようだ。

    続いて島尻港を目指すも道に迷った。

    少年に道を聞いたらチャリで案内してくれた。

    Tシャツのバックプリントの矢印が方向を示してくれているようだ。

  • 島尻港に車を停め大神島までの往復チケット(670円)を買って11時の船に乗る。  <br />30人位しか乗れない小さな船だから以外にも満席。

    島尻港に車を停め大神島までの往復チケット(670円)を買って11時の船に乗る。  
    30人位しか乗れない小さな船だから以外にも満席。

  • 15分程で大神島到着。<br /><br />桟橋の下を除くと小魚の群れが。

    15分程で大神島到着。

    桟橋の下を除くと小魚の群れが。

  • 大神島は神様が宿る島としてパワースポットにもなっている。<br /><br />人口も30人程で子供はいないらしい。

    大神島は神様が宿る島としてパワースポットにもなっている。

    人口も30人程で子供はいないらしい。

  • まずは遠見台を目指す。<br /><br />遠見台は神が降りてくる場所とされているようです。

    まずは遠見台を目指す。

    遠見台は神が降りてくる場所とされているようです。

  • この階段がキツイ。<br /><br />そして暑い・・・w

    この階段がキツイ。

    そして暑い・・・w

  • 到着。<br /><br />360度海を見渡せます。<br /><br />写真を撮ってもらった人にあの岩で囲われている所からシュノーケルできると教えてもらいました。<br /><br />

    到着。

    360度海を見渡せます。

    写真を撮ってもらった人にあの岩で囲われている所からシュノーケルできると教えてもらいました。

  • 綺麗な景色ですが影が無い為長くは居てられません。<br /><br />海に入りにいきましょう。

    綺麗な景色ですが影が無い為長くは居てられません。

    海に入りにいきましょう。

  • 岩からヤシの木みたいなのが生えてる・・・

    岩からヤシの木みたいなのが生えてる・・・

  • この岩の間から出ると沢山魚がいるようです。<br /><br />

    この岩の間から出ると沢山魚がいるようです。

  • 海に入る時はちゃんと階段があります。<br /><br />囲いの中は子供も泳いでる位だから安心ですね。

    海に入る時はちゃんと階段があります。

    囲いの中は子供も泳いでる位だから安心ですね。

  • 青いのがいっぱいいます。

    青いのがいっぱいいます。

  • この写真では分かり辛いけど小魚の群れ。

    この写真では分かり辛いけど小魚の群れ。

  • 他の人に続いて少しだけ囲いを出てみました。<br /><br />そしたらくまのみ〜♪

    他の人に続いて少しだけ囲いを出てみました。

    そしたらくまのみ〜♪

  • う・うみ蛇〜!!!!<br /><br />焦った!!<br /><br />何もしなければ攻撃してこないと聞いたけど、めっちゃ寄ってくるし他の人の足に絡みつきそうになってた。<br /><br />怖っっ!!

    う・うみ蛇〜!!!!

    焦った!!

    何もしなければ攻撃してこないと聞いたけど、めっちゃ寄ってくるし他の人の足に絡みつきそうになってた。

    怖っっ!!

  • もっと囲いの外を進みたかったけど、島に来るのに荷物を減らす為フィンとライフジャケットを車に置いてきたからあまり冒険は出来ず。<br />足のつく範囲で楽しみました。<br /><br />13時の船で戻る予定だったしね☆

    もっと囲いの外を進みたかったけど、島に来るのに荷物を減らす為フィンとライフジャケットを車に置いてきたからあまり冒険は出来ず。
    足のつく範囲で楽しみました。

    13時の船で戻る予定だったしね☆

  • 防水カメラの時計が12時半だったのでそろそろ上がる事に。

    防水カメラの時計が12時半だったのでそろそろ上がる事に。

  • やぎさん。<br /><br /><br />ここにホースのついた水道があるので水を浴びる。

    やぎさん。


    ここにホースのついた水道があるので水を浴びる。

  • 慌てたけど結局カメラの時計はかなりすすんでいて時間が余ったので島に1つしかない食堂「おぷゆう食堂」で昼食を食べる事に。<br /><br />全身濡れたままなので外の席で。

    慌てたけど結局カメラの時計はかなりすすんでいて時間が余ったので島に1つしかない食堂「おぷゆう食堂」で昼食を食べる事に。

    全身濡れたままなので外の席で。

  • 島ダコを燻製にしたカーキダコ丼。<br /><br />味が濃い目で泳いだ後の空腹にはGood!!<br /><br />冷えたし吸い物もホッとする〜

    島ダコを燻製にしたカーキダコ丼。

    味が濃い目で泳いだ後の空腹にはGood!!

    冷えたし吸い物もホッとする〜

  • 1時までまだ少し時間があったのでダッシュでノッチと呼ばれるキノコ形の岩を探しに行く。<br /><br />その途中にあった白砂のビーチっぽいのん。

    1時までまだ少し時間があったのでダッシュでノッチと呼ばれるキノコ形の岩を探しに行く。

    その途中にあった白砂のビーチっぽいのん。

  • 結局めちゃ走ったけどノッチはまだ先の方だ・・・<br /><br />諦めて戻ろう。また来ればいい。<br /><br />まぁ古宇利島にあるハート岩みたいなもんだろう・・・と自分に言い聞かせながら・・・

    結局めちゃ走ったけどノッチはまだ先の方だ・・・

    諦めて戻ろう。また来ればいい。

    まぁ古宇利島にあるハート岩みたいなもんだろう・・・と自分に言い聞かせながら・・・

  • さよなら。<br /><br />大神島・・・<br /><br />

    さよなら。

    大神島・・・

  • 島尻港に戻ったら次は池間島へ。<br /><br />ネットで調べて気になっていたフナクスビーチ。

    島尻港に戻ったら次は池間島へ。

    ネットで調べて気になっていたフナクスビーチ。

  • ここ抜けていきました。<br /><br />皆がクチコミで書いてるブロックはわかりませんでした。<br /><br />ゴミはいっぱいでしたが。

    ここ抜けていきました。

    皆がクチコミで書いてるブロックはわかりませんでした。

    ゴミはいっぱいでしたが。

  • 穴場と言われている割には人がいました。<br /><br />でも海が綺麗でここも私のお気に入りビーチに登録しておきましょうw

    穴場と言われている割には人がいました。

    でも海が綺麗でここも私のお気に入りビーチに登録しておきましょうw

  • 岩をはさんで反対側はプライベート感がっ♪<br /><br />満ち潮の時には砂浜なくなるかもですが・・・w

    岩をはさんで反対側はプライベート感がっ♪

    満ち潮の時には砂浜なくなるかもですが・・・w

  • ここにも青い珊瑚。

    ここにも青い珊瑚。

  • ここは生きてるのか死んでるのか?わかりませんが小さい海月がいっぱいいてました。

    ここは生きてるのか死んでるのか?わかりませんが小さい海月がいっぱいいてました。

  • 帰りお腹が減ったので池間大橋の近くにある「すむばり」へ。

    帰りお腹が減ったので池間大橋の近くにある「すむばり」へ。

  • 私達は濡れたまま&足は砂だらけの為店内には入らず持ち帰りにしてもらいました。<br /><br />大神島からずっと濡れたままで寒い・・・

    私達は濡れたまま&足は砂だらけの為店内には入らず持ち帰りにしてもらいました。

    大神島からずっと濡れたままで寒い・・・

  • タコ丼。玉子でとじてる♪<br /><br />車で食べる。<br /><br />これはこれで美味しいけど泳いだ後の空腹時にはおぷゆう食堂のカーキダコ丼の方が味が濃い目で好きだったかも・・・

    タコ丼。玉子でとじてる♪

    車で食べる。

    これはこれで美味しいけど泳いだ後の空腹時にはおぷゆう食堂のカーキダコ丼の方が味が濃い目で好きだったかも・・・

  • 時間的にあともう1箇所いけるね〜ってなって最後の海は新城海岸へ。

    時間的にあともう1箇所いけるね〜ってなって最後の海は新城海岸へ。

  • 影の席を案内してくれたけど寒いので日向へ移動。<br />テーブルに湿ったバスタオルを広げてレッツゴー!!

    影の席を案内してくれたけど寒いので日向へ移動。
    テーブルに湿ったバスタオルを広げてレッツゴー!!

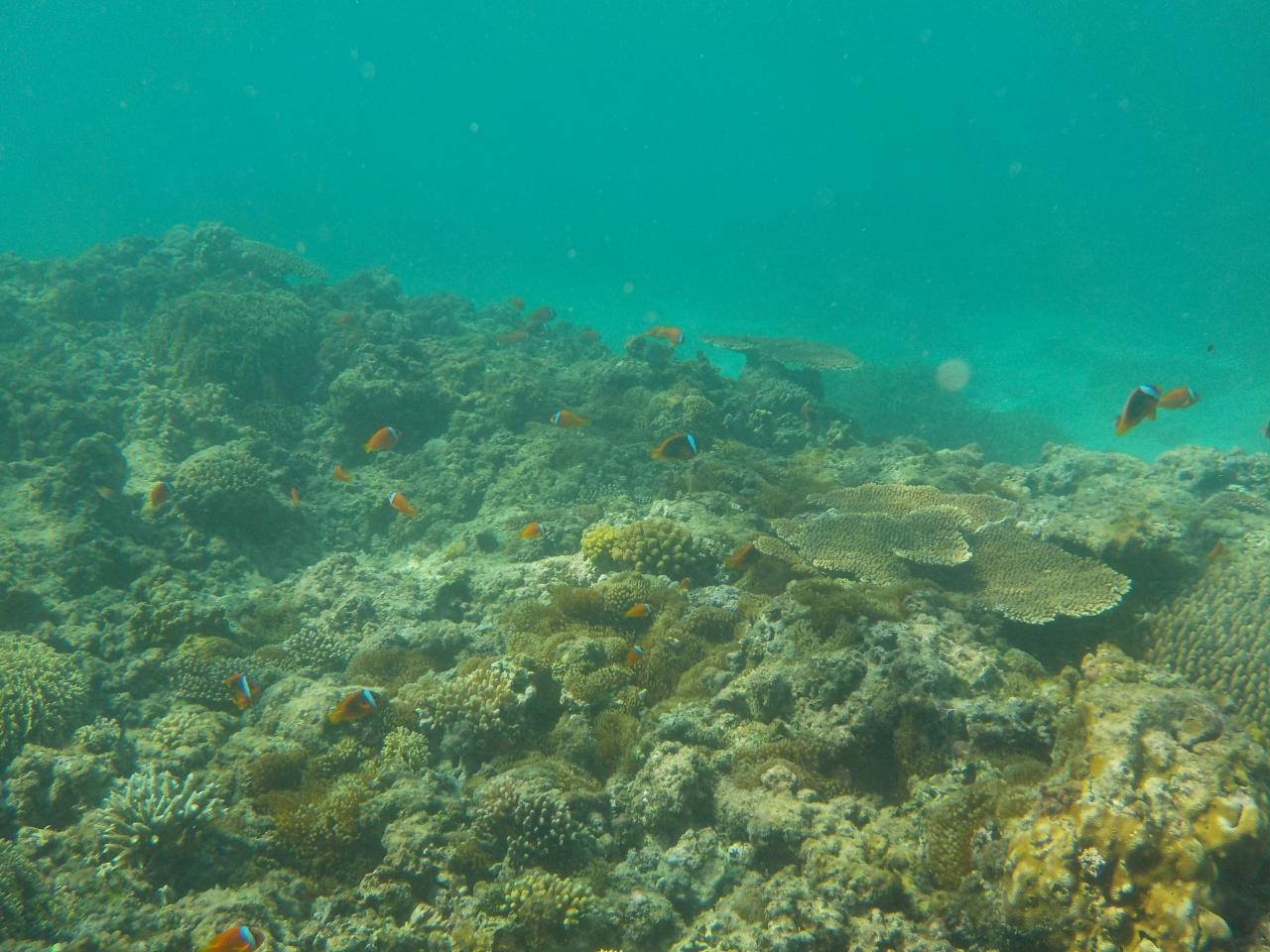
  • いたいた!新城海岸のくまのみ。<br /><br />ここはまだ浅い所にいるから写真が撮りやすい♪

    いたいた!新城海岸のくまのみ。

    ここはまだ浅い所にいるから写真が撮りやすい♪

  • くまのみに夢中になってるとコイツが邪魔しにくるので一応撮っといてあげた(笑)

    くまのみに夢中になってるとコイツが邪魔しにくるので一応撮っといてあげた(笑)

  • くまのみの写真撮るならここが1番だ〜<br /><br />

    くまのみの写真撮るならここが1番だ〜

  • 今夜の夕食はホテルから歩いてすぐの「さんまいや」<br /><br />昨夜「ぶんみゃあ」の帰りに寄って予約しといた。<br /><br />ドリンクも食べ物も300円均一。

    今夜の夕食はホテルから歩いてすぐの「さんまいや」

    昨夜「ぶんみゃあ」の帰りに寄って予約しといた。

    ドリンクも食べ物も300円均一。

  • 店内はCAFEみたいな感じ。<br />なんでも300円なんてうれし〜♪<br />しかもあまり期待してなかったけど美味しい♪<br />ジーマーミ豆腐の厚揚げやつぶ貝、ラフテー、ゴーヤチャンプル、グルクン串焼き他にも宮古牛の握りとかもありましたよ♪

    店内はCAFEみたいな感じ。
    なんでも300円なんてうれし〜♪
    しかもあまり期待してなかったけど美味しい♪
    ジーマーミ豆腐の厚揚げやつぶ貝、ラフテー、ゴーヤチャンプル、グルクン串焼き他にも宮古牛の握りとかもありましたよ♪

  • 帰りにコンビニで買ったシークワーサーティー。<br />沖縄限定かしら・・・?<br /><br />ん??<br />今日は9/20ですが賞味期限は明日ですか???(笑)<br /><br />お勤め品ですやん!!半額とかにならないんですか??(笑)

    帰りにコンビニで買ったシークワーサーティー。
    沖縄限定かしら・・・?

    ん??
    今日は9/20ですが賞味期限は明日ですか???(笑)

    お勤め品ですやん!!半額とかにならないんですか??(笑)

  • 最終日の朝御飯。<br /><br />なんかモチモチした食べ物・・・。<br /><br />リピは・・・ないね・・・。<br /><br />今日はもう荷物まとめてこのままレンタカー返して空港です(涙)

    最終日の朝御飯。

    なんかモチモチした食べ物・・・。

    リピは・・・ないね・・・。

    今日はもう荷物まとめてこのままレンタカー返して空港です(涙)

  • あたらす市場。<br /><br />通り道だったので少し覗く。

    あたらす市場。

    通り道だったので少し覗く。

  • レンタカー返して宮古島空港到着。<br /><br /><br />少し早く着いたのでここで休憩。

    レンタカー返して宮古島空港到着。


    少し早く着いたのでここで休憩。

  • さよなら。宮古島。<br /><br />沢山の癒しをありがとうっ♪

    さよなら。宮古島。

    沢山の癒しをありがとうっ♪

  • お土産☆<br /><br />あたらす市場で買ったバナナケーキ美味しかった♪<br /><br />あと島の駅みやこで去年も買った海ぶどう。沖縄本島に比べ、安い!<br />かぼちゃのサーターアンダーギーも大好きでリピートです♪

    お土産☆

    あたらす市場で買ったバナナケーキ美味しかった♪

    あと島の駅みやこで去年も買った海ぶどう。沖縄本島に比べ、安い!
    かぼちゃのサーターアンダーギーも大好きでリピートです♪

  • 楽しい時間はあっという間。<br /><br />また来れるように頑張ろう!!<br /><br />もしまた来れたら次は青の洞窟とか行きたいな・・・♪

    楽しい時間はあっという間。

    また来れるように頑張ろう!!

    もしまた来れたら次は青の洞窟とか行きたいな・・・♪

  • おまけ。<br /><br />数日後、大阪アメ村のまもる君。<br /><br />・・・ないわぁ〜・・・

    おまけ。

    数日後、大阪アメ村のまもる君。

    ・・・ないわぁ〜・・・

この旅行記のタグ

32いいね!

利用規約に違反している投稿は、報告する事ができます。 問題のある投稿を連絡する

コメントを投稿する前に

十分に確認の上、ご投稿ください。 コメントの内容は攻撃的ではなく、相手の気持ちに寄り添ったものになっていますか?

サイト共通ガイドライン(利用上のお願い)

報道機関・マスメディアの方へ 画像提供などに関するお問い合わせは、専用のお問い合わせフォームからお願いいたします。

旅の計画・記録

マイルに交換できるフォートラベルポイントが貯まる
フォートラベルポイントって?

フォートラベル公式LINE@

おすすめの旅行記や旬な旅行情報、お得なキャンペーン情報をお届けします!
QRコードが読み取れない場合はID「@4travel」で検索してください。

\その他の公式SNSはこちら/

タグから国内旅行記(ブログ)を探す

価格.com旅行・トラベルホテル・旅館を比較

PAGE TOP